Se Connecter/S’inscrire
Votre courriel a été envoyé.
Certaines informations ont été traduites automatiquement.
Faits saillants de l'investissement
- Excellent pour de nombreux types d'utilisation professionnelle ou de bureau.
Résumé de l'annonce
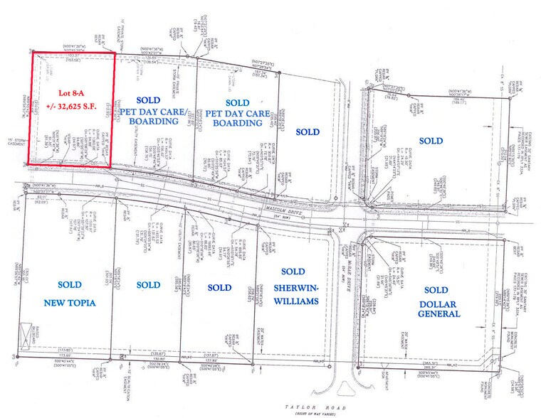
Cette propriété est située sur Malcolm Drive, juste au sud du chemin Vaughn. Il reste un (1) lot commercial. Excellent pour de nombreux types d'utilisation professionnelle ou de bureau.
Faits sur la propriété
1 Lot disponible
Lot
| Prix | 268 587 $ CAD | Taille du lot | 0,75 AC |
| Prix par AC | 358 593,61 $ CAD |
| Prix | 268 587 $ CAD |
| Prix par AC | 358 593,61 $ CAD |
| Taille du lot | 0,75 AC |
Prix de vente - $6.00/S.F. - +/- 32,625 S.F.
Impôts fonciers
| Numéros de lot | Évaluation des bâtiments | 330 246 $ CAD | |
| Évaluation du terrain | 48 670 $ CAD | Évaluation totale | 378 915 $ CAD |
Impôts fonciers
Numéros de lot
Évaluation du terrain
48 670 $ CAD
Évaluation des bâtiments
330 246 $ CAD
Évaluation totale
378 915 $ CAD
1 de 4
Vidéos
Visite extérieure 3D Matterport
Visite 3D Matterport
Photos
Vue depuis la rue
Rue
Carte
Présenté par
3730 Malcolm Dr
Vous êtes déjà membre? Connectez-vous
Hmm, il semble y avoir eu une erreur lors de l’envoi de votre message. Veuillez réessayer.
Merci! Votre message a été envoyé.
Votre message a été envoyé !
Activez votre compte LoopNet dès maintenant pour suivre les propriétés, recevoir des alertes en temps réel, gagner du temps sur vos demandes futures et bien plus encore.




