Se Connecter/S’inscrire
Votre courriel a été envoyé.
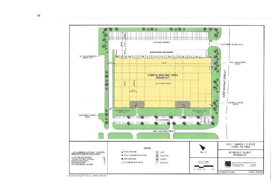
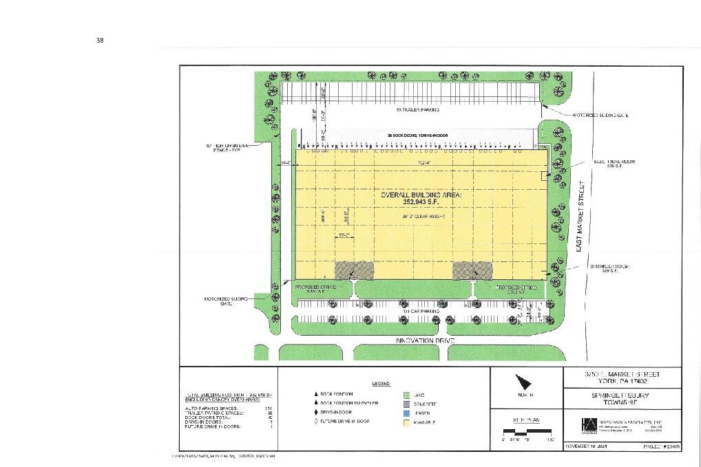
3750 E Market St 252 943 pi² Vacant Industriel Immeuble York, PA 17402 À vendre

Certaines informations ont été traduites automatiquement.
FAITS SAILLANTS DE L'INVESTISSEMENT
- Located in Central Pennsylvania‘s I-83 Corridor, just 29 miles south of Harrisburg
- 131 parking spaces
- Nearby Interstates 83, 81, 78 and PA Route 30 provide access to major Northeast Corridor cities
- Two drive in doors
RÉSUMÉ DE L'ANNONCE
3750 E. Market Street is a proposed industrial development ideally located in Central Pennsylvania's I-83 Corridor. This location draws from an excellent labor pool and offers easy highway access to major Northeast cities.
FAITS SUR LA PROPRIÉTÉ
COMMODITÉS
- Affichage
SERVICES PUBLICS
- Éclairage
- Gaz - Naturel
- Eau
- Égout
- Chauffage - Électricité
DISPONIBILITÉ DES ESPACES
- ESPACE
- TAILLE
- UTILISATION DE L’ESPACE
- ÉTAT
- DISPONIBLE
- 1er Ét. - 1
- 252 943 pi²
- Industriel
- -
- Févr. 2028
| Espace | Taille | Utilisation de l’espace | État | Disponible |
| 1er Ét. - 1 | 252 943 pi² | Industriel | - | Févr. 2028 |
1er Ét. - 1
| Taille |
| 252 943 pi² |
| Utilisation de l’espace |
| Industriel |
| État |
| - |
| Disponible |
| Févr. 2028 |
1 1
Impôts fonciers
| Numéro de lot | 46-000-JJ-0046.00-00000 | Évaluation des bâtiments | 2 476 $ CAD |
| Évaluation du terrain | 1 064 615 $ CAD | Évaluation totale | 1 067 092 $ CAD |
Impôts fonciers
Numéro de lot
46-000-JJ-0046.00-00000
Évaluation du terrain
1 064 615 $ CAD
Évaluation des bâtiments
2 476 $ CAD
Évaluation totale
1 067 092 $ CAD
1 de 2
VIDÉOS
VISITE EXTÉRIEURE 3D MATTERPORT
VISITE 3D MATTERPORT
PHOTOS
VUE DEPUIS LA RUE
RUE
CARTE
1 de 1
Présenté par
3750 E Market St
Vous êtes déjà membre? Connectez-vous
Hmm, il semble y avoir eu une erreur lors de l’envoi de votre message. Veuillez réessayer.
Merci! Votre message a été envoyé.
