Se Connecter/S’inscrire
Votre courriel a été envoyé.
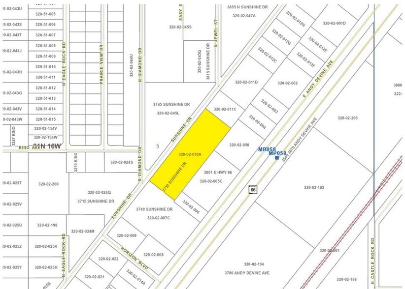
3750 Sunshine Dr
Kingman, AZ 86409
Terrain À vendre
·
4,02 AC


Certaines informations ont été traduites automatiquement.
Faits saillants de l'investissement
- 1 pâté de maisons de l'avenue Andy Devine (route 66)
- Situé à 1 mile de l'I-40
Résumé de l'annonce
Ce terrain industriel de 4,02 acres avec des services publics jusqu'au site est maintenant disponible à la vente situé à seulement 1 pâté de maisons de l'avenue Andy Devine (route 66) et à 1 mille près de l'I-40.
Faits sur la propriété
1 Lot disponible
Lot
| Prix | 547 320 $ CAD | Taille du lot | 4,02 AC |
| Prix par AC | 136 149,25 $ CAD |
| Prix | 547 320 $ CAD |
| Prix par AC | 136 149,25 $ CAD |
| Taille du lot | 4,02 AC |
4.02 Acre de terrain industriel avec services publics jusqu'au site
1 de 4
Vidéos
Visite extérieure 3D Matterport
Visite 3D Matterport
Photos
Vue depuis la rue
Rue
Carte
