Votre courriel a été envoyé.
3785 W International Speedway Blvd - 1.8 +/- Commercial Lot Lot • Terrain commercial • 1,8 Acres • 624 429 $ CAD • Daytona Beach, FL 32124

Certaines informations ont été traduites automatiquement.
FAITS SAILLANTS DE L'INVESTISSEMENT
- Très occupé Us 92 Emplacement
- 1.8 +/- Acres
- Emplacement de l'intersection
RÉSUMÉ DE L'ANNONCE
The site is well-suited for development as a gas station with convenience store and has previously been planned for a ±3,000 SF store with four modern MPDs (eight fueling positions) and the opportunity to secure a highly competitive fuel supply agreement with a major oil company. The site has many alternative commercial uses as well.
FAITS SUR LA PROPRIÉTÉ
1 LOT DISPONIBLE
Lot
| Prix | 624 429 $ CAD | Taille du lot | 1,80 AC |
| Prix par AC | 346 904,99 $ CAD |
| Prix | 624 429 $ CAD |
| Prix par AC | 346 904,99 $ CAD |
| Taille du lot | 1,80 AC |
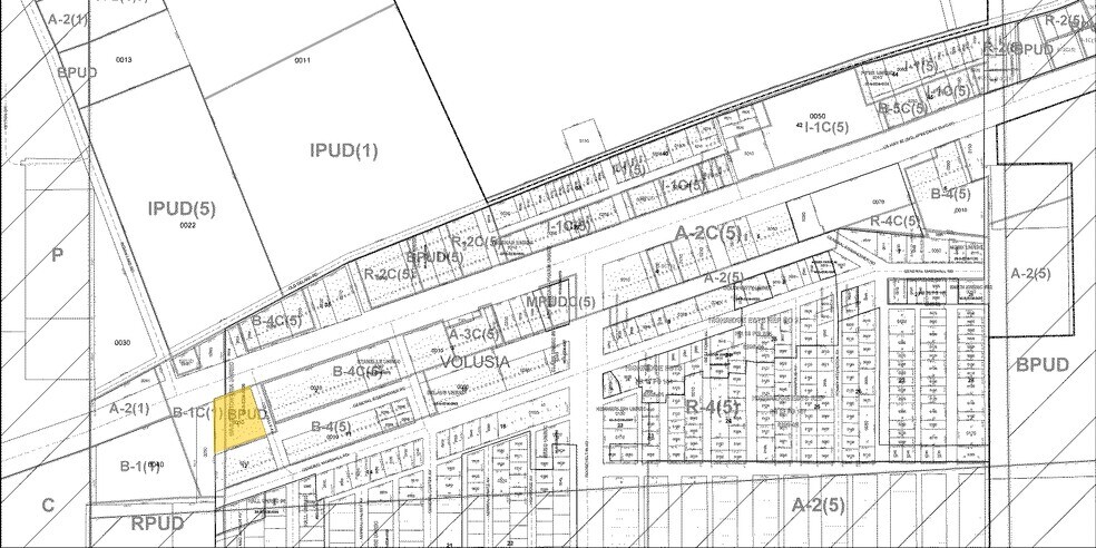
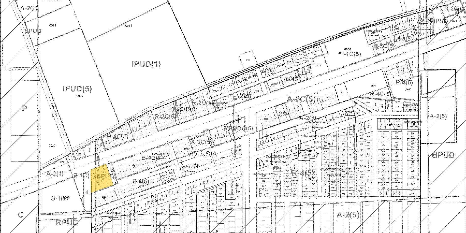
1,8 +/- Acres de propriété commerciale située à l'intersection de Colin Kelly et Us 92
DESCRIPTION
UNITÉ OPÉRATIONNELLE PLANIFIÉE DE BPUD DÉVELOPPEMENT [27] [ABROGÉ] I-1 CLASSIFICATION DE L'INDUSTRIE LÉGÈRE [28] But et intention : La Classification des industries légères I-1 vise à fournir suffisamment d'espace aux endroits appropriés pour les opérations industrielles engagées dans la fabrication, la réparation ou l'entreposage de produits manufacturés d'une nature telle que les sous-produits répréhensibles de l'activité (comme les odeurs, la fumée, la poussière, les ordures, les interférences électromagnétiques, le bruit supérieur à ce qui est habituel pour le chargement, le déchargement et la manutention des marchandises et des matériaux) ne soient pas des nuisances au-delà du lot où se trouve l'installation. Principaux usages et ouvrages autorisés : Dans la Classification des industries légères I-1, aucun local ne peut être utilisé, sauf pour les usages industriels suivants et leurs usages accessoires ou structures habituels : (Ord. no 98-25, § VII, 12-17-98) Fabricants de matériel agricole ou agricole. Fabricants d'aéronefs et de pièces d'aéronefs. Extrusion d'aluminium, fabricants de laminage. Fabricants d'automobiles, de camions, de remorques, de motocyclettes, de maisons mobiles, de logements manufacturés, de véhicules récréatifs et de bicyclettes. (Ord. no 84-1, § XXXVI, 3-8-84) Station-service automobile de type B. Fabricants de produits de boulangerie. Fabricants de paniers et paniers. Les fabricants de literie. Fabricants de boissons. Les forgerons. Fabricants de bateaux. Fabricants de boulons, d'écrous, de vis, de rondelles et de rivets. Fabricants de boîtes et de caisses. Les fabricants de composants de construction. Entreposage et vente de matériaux de construction. Garages d'autobus et ateliers de réparation. Les fabricants d'équipement d'affaires. Fabricants de boutons. Fabricants de bonbons. (Ord. no 84-1, § XXXVI, 3-8-84) Fabricants de papier carbone et de rubans encrés. Fabricants de tapis et de tapis. Les fabricants de gomme à mâcher. Fabricants de chocolat, de cacao et de produits connexes. Fabricants de cigares et de cigarettes. Nettoyage et teinture des vêtements, des chapeaux et des tapis. Entreposage et vente de charbon et de coke. Traitement du café, du thé et des épices. (Ord. no 84-1, § XXXVI, 3-8-84) Tours de communication d'une hauteur maximale de 70 pieds au-dessus du niveau du sol. (Ord. no 97-19, § II, 8-7-97) Traitement du lait condensé et évaporé. (Ord. no 84-1, § XXXVI, 3-8-84) Les fabricants de contenants. Atelier, entreposage et parc d'équipement de l'entrepreneur. Dépanneurs comptant plus de huit postes de service par îlot de distribution de carburant. (Ord. no 2004-20, § V, 12-16-04) Les fabricants de cosmétiques et de produits de toilette. Exploitation de crémères et de produits laitiers. Fabricants de ponceaux. Les fabricants de produits laitiers. Exposition et vente (au détail ou en gros) de produits ou de pièces fabriqués, assemblés ou utilisés par le fabricant, sur place. No 81-39, § XXVI, 11-19-81 ; Ord. no 90-34, § 39, 9-27-90) Usines de nettoyage à sec. Les fabricants de composants électriques. Services publics essentiels. Exonération des travaux d'excavation (voir le paragraphe 72-293 (15)) et/ou ceux qui sont conformes à la section 8 du Land Development Code of Volusia County [article III] et/ou aux procédures d'examen du plan final du site du présent article. (Ord. no 84-1, § III, 3-8-84 ; Ord. no 89-20, § VI, 6-20-89 ; Ord. no 90-34, § 39, 9-27-90) Les sites d'enfouissement exemptés (voir le paragraphe 72-293 (16)). (Ord. no 89-20, § VI, 6-20-89 ; Ord. no 90-34, § 39, 9-27-90) Exterminer les établissements. Transformation et entreposage des aliments du bétail et des semences. Institutions financières. Casernes de pompiers. (Ord. no 92-6, § XLII, 6-4-92) Les fabricants d'armes à feu. Bureaux et entrepôts flexibles. (Ord. no 2004-20, § V, 12-16-04) Les fabricants de produits alimentaires. Les manutentionnaires ou les transformateurs de fruits et de légumes. Finition de la fourrure. Fabricants de meubles. Ateliers de raccords de gaz ou de vapeur. Mélange et emballage des grains, mais pas la mouture. Serres. Fabricants de chauffage, de climatisation, de ventilation, de cuisinière, de réfrigérateurs. La vente, la location, l'entreposage (à l'exclusion des camions de récupération et des dépotoirs) ou les établissements de services. (Ord. no 2004-20, § V, 12-16-04) Héliplaquettes. Professions à domicile, catégorie A (voir les articles 72 à 283). (Ord. no 86-16, § X, 10-23-86) Usines de bas et de bas. Fabricants de glace. École de formation professionnelle industrielle. Insecticides, fongicides, désinfectants et composés chimiques industriels et domestiques connexes (mélange seulement). Fer, fabricants de produits ornementaux. Tricotage, tissage, impression, finition des textiles et des fibres en articles textiles. Blanchisseries et services de linge. Les fabricants de produits en cuir (à l'exclusion des opérations de tannage). Ateliers de machinerie et d'usinage. Produits de viande (pas d'abattage). Entreprises de déménagement et d'entreposage. Fabricants de clous, d'agrafes, de pointes et d'agrafes. Activités de divertissement en plein air (voir les articles 10-31 et suivants, article II, Code des ordonnances du comté de Volusia). (Ord. no 2002-22, § XIV, 11-7-02) Parfums et savons parfumés (préparation seulement). Exterminateurs de ravageurs. Produits pharmaceutiques, médicaments (composés composés seulement). Les fabricants de matériel de planification et de menuiserie. Fabricants de produits en plastique (production secondaire). (Ord. no 90-34, § 39, 9-27-90) Dépôt, procédé électrolytique. Approvisionnement en plomberie. Impression, édition et gravure. Parcs et aires récréatives appartenant à l'État. (Ord. no 92-6, § XLII, 6-4-92) Puits d'approvisionnement en eau publics ou réglementés. (Ord. no 92-6, § XLII, 6-4-92) Établissements de réparation, de nettoyage et de rinçage des radiateurs. Centre de collecte de recyclage. (Ord. no 90-34, § 39, 9-27-90) Station de transfert de recyclage. (Ord. no 92-6, § XLII, 6-4-92) Établissement de recherche et développement. (Ord. no 2004-20, § V, 12-16-04) Restaurants de types A et B, lorsqu'ils sont contenus dans la structure industrielle principale. Scieries. Les fabricants de balances et de chambres fortes. Fabricants de produits en tôle. Atelier d'enseigne et de peinture. Station de transfert des déchets solides. (Ord. no 92-6, § XLII, 6-4-92) Ateliers d'outillage, de matrice et de jauge. Gares de triage, voies d'évitement et terminaux. Constructeurs de remorques, de chariots et de chariots. Terminaux pour camions ou transbordements de marchandises. (Ord. no 82-20, § XI, 12-9-82) Arrêts de camions. Entreposage de camions, d'automobiles, de bateaux, de véhicules récréatifs mobiles et d'abris, de motocyclettes et de remorques. (Ord. no 92-6, § XLII, 6-4-92) Entrepôts. Ateliers de soudage ou de brasage. Les maisons de gros et les distributeurs. Fabricants de produits du bois. Les cours d'entrepreneurs généraux engagés dans la construction ou la construction lourde. Fabricants de fils, de fils et de cordages. Librairies pour adultes (voir le paragraphe 72-290 (1). (Ord. no 92-6, § XLII, 6-4-92) Théâtres pour adultes (voir le paragraphe 72-290 (1). (Ord. no 92-6, § XLII, 6-4-92).
Impôts fonciers
| Numéro de lot | 6206-01-01-0010 | Évaluation des bâtiments | 0 $ CAD |
| Évaluation du terrain | 250 285 $ CAD | Évaluation totale | 250 285 $ CAD |
Impôts fonciers
Présenté par
3785 W International Speedway Blvd - 1.8 +/- Commercial Lot
Hmm, il semble y avoir eu une erreur lors de l’envoi de votre message. Veuillez réessayer.
Merci! Votre message a été envoyé.
