Se Connecter/S’inscrire
Votre courriel a été envoyé.
380 Lake Erin Dr - Lake Erin Estate Second Addition Lot • Résidentiel • 22 Acres • 3 052 764 $ CAD • Green Isle, MN 55338


Certaines informations ont été traduites automatiquement.
FAITS SAILLANTS DE L'INVESTISSEMENT
- Few lots connected to lake Erin
- other lots have access to lake in 100 feet
RÉSUMÉ DE L'ANNONCE
Shovel-ready for immediate development
Potential for phased buildout or full-scale project
Family-friendly community with limited housing inventory
High potential for appreciation in a low-competition market. 41 approved residential lots
Zoned Residential. City water & sewer available. TIFF approved . ROI is 40% over the period of 3 years. Close to Twin cities
Potential for phased buildout or full-scale project
Family-friendly community with limited housing inventory
High potential for appreciation in a low-competition market. 41 approved residential lots
Zoned Residential. City water & sewer available. TIFF approved . ROI is 40% over the period of 3 years. Close to Twin cities
BILAN FINANCIER (PRO FORMA - 2025) Cliquez ici pour accéder à |
ANNUEL (CAD) | ANNUEL PAR AC (CAD) |
|---|---|---|
| Revenu de location brut |
-
|
-
|
| Autres revenus |
$99,999
|
$9.99
|
| Perte due à l’inoccupation |
-
|
-
|
| Revenu brut effectif |
$99,999
|
$9.99
|
| Taxes |
$99,999
|
$9.99
|
| Dépenses d’exploitation |
$99,999
|
$9.99
|
| Total des dépenses |
$99,999
|
$9.99
|
| Revenu net d’exploitation |
$99,999
|
$9.99
|
BILAN FINANCIER (PRO FORMA - 2025) Cliquez ici pour accéder à
| Revenu de location brut (CAD) | |
|---|---|
| Annuel | - |
| Annuel par AC | - |
| Autres revenus (CAD) | |
|---|---|
| Annuel | $99,999 |
| Annuel par AC | $9.99 |
| Perte due à l’inoccupation (CAD) | |
|---|---|
| Annuel | - |
| Annuel par AC | - |
| Revenu brut effectif (CAD) | |
|---|---|
| Annuel | $99,999 |
| Annuel par AC | $9.99 |
| Taxes (CAD) | |
|---|---|
| Annuel | $99,999 |
| Annuel par AC | $9.99 |
| Dépenses d’exploitation (CAD) | |
|---|---|
| Annuel | $99,999 |
| Annuel par AC | $9.99 |
| Total des dépenses (CAD) | |
|---|---|
| Annuel | $99,999 |
| Annuel par AC | $9.99 |
| Revenu net d’exploitation (CAD) | |
|---|---|
| Annuel | $99,999 |
| Annuel par AC | $9.99 |
FAITS SUR LA PROPRIÉTÉ
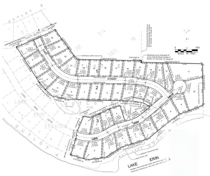
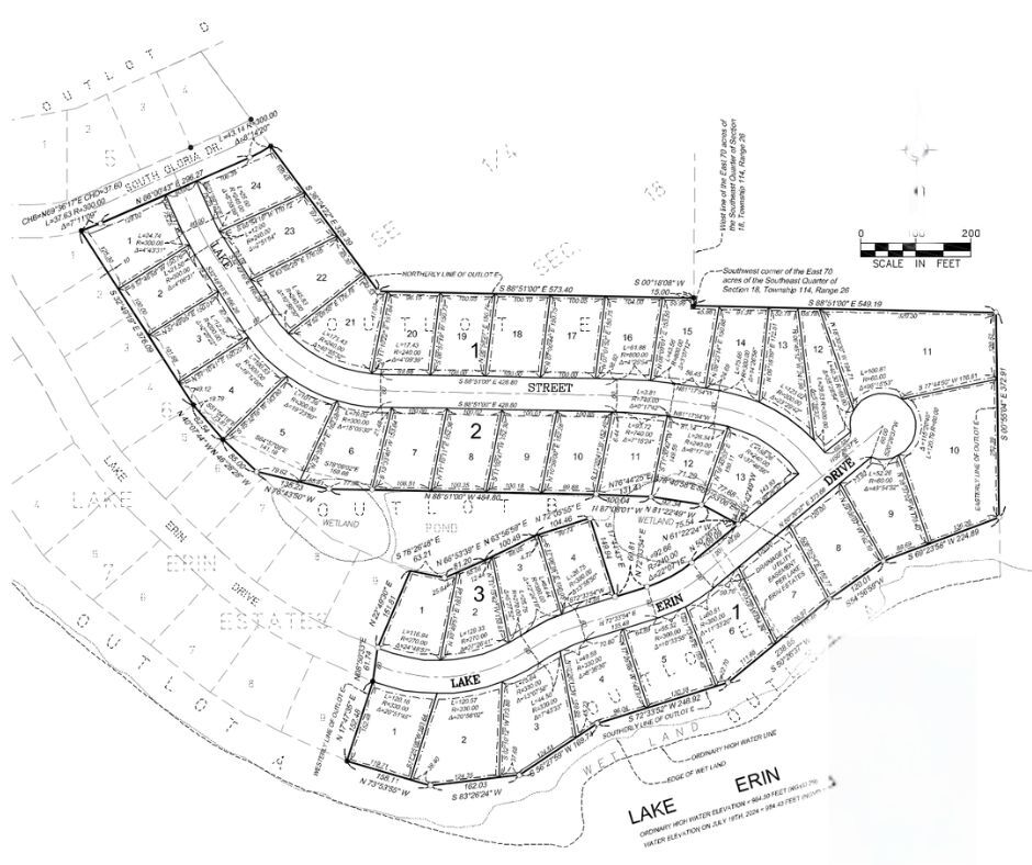
1 LOT DISPONIBLE
Lot 1-41
| Prix | 3 052 764 $ CAD | Taille du lot | 22,00 AC |
| Prix par AC | 138 762,00 $ CAD |
| Prix | 3 052 764 $ CAD |
| Prix par AC | 138 762,00 $ CAD |
| Taille du lot | 22,00 AC |
Lakefront Development – 41 Lots on Lake Erin | Green Isle, MN All lots offer direct lake access, electricity, and road infrastructure. Ideal for builders, developers, or investors. Residential zoned and TIFF approved
1 1
1 de 3
VIDÉOS
VISITE EXTÉRIEURE 3D MATTERPORT
VISITE 3D MATTERPORT
PHOTOS
VUE DEPUIS LA RUE
RUE
CARTE
1 de 1
Présenté par
380 Lake Erin Dr - Lake Erin Estate Second Addition
Vous êtes déjà membre? Connectez-vous
Hmm, il semble y avoir eu une erreur lors de l’envoi de votre message. Veuillez réessayer.
Merci! Votre message a été envoyé.
