Se Connecter/S’inscrire
Votre courriel a été envoyé.
3859 W Nichols St
Springfield, MO 65803
Terrain À vendre
·
4,15 AC


Certaines informations ont été traduites automatiquement.
Faits saillants de l'investissement
- West Springfield industrial corridor location.
- Flexible development opportunity for owner-user or investor.
- Suitable for manufacturing, warehouse, or service uses (subject to approvals).
Résumé de l'annonce
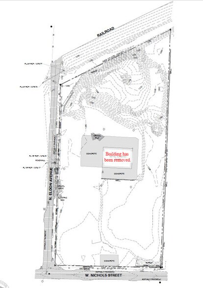
This parcel offers a flexible development opportunity for industrial users, subject to airport overlay (Zone 3) requirements. The zoning supports a broad range of manufacturing, warehouse, and industrial service uses, making it well-suited for owner-users or investors seeking west-side industrial land. Additional site details such as acreage, utilities, and dimensions would further refine development potential. There is not a building on the land. Buyer to verify zoning with City. Zoning for the City will be updated as of April 7, 2026.
Faits sur la propriété
| Type de vente | Propriétaire utilisateur | Sous-type de propriété | Terrain commercial |
| Nombre de lots | 1 | Taille totale du lot | 4,15 AC |
| Type de propriété | Terrain | Zone de développement économique |
Oui
|
| Zonage | General Manufacturing | ||
| Type de vente | Propriétaire utilisateur |
| Nombre de lots | 1 |
| Type de propriété | Terrain |
| Sous-type de propriété | Terrain commercial |
| Taille totale du lot | 4,15 AC |
| Zone de développement économique |
Oui |
| Zonage | General Manufacturing |
1 Lot disponible
Lot
| Prix | 294 638 $ CAD | Taille du lot | 4,15 AC |
| Prix par AC | 70 997,14 $ CAD |
| Prix | 294 638 $ CAD |
| Prix par AC | 70 997,14 $ CAD |
| Taille du lot | 4,15 AC |
4.15 acre industrial land in West Springfield near major transportation hubs such as airport, railroad, and major roadways.
Description
3859 W Nichols St is located on the west side of Springfield in an industrial corridor just north of primary commercial routes. The property benefits from proximity to other manufacturing and service users, with efficient access across the west and north Springfield submarkets. Its position supports industrial operations requiring convenient citywide connectivity.
1 de 8
Vidéos
Visite extérieure 3D Matterport
Visite 3D Matterport
Photos
Vue depuis la rue
Rue
Carte
