Se Connecter/S’inscrire
Votre courriel a été envoyé.
39 Transport Lane Pine Island, NY 39 Transport Ln Terrain à louer de 0,67 acres • Ferme • Pine Island, NY 10969



Certaines informations ont été traduites automatiquement.
Faits saillants
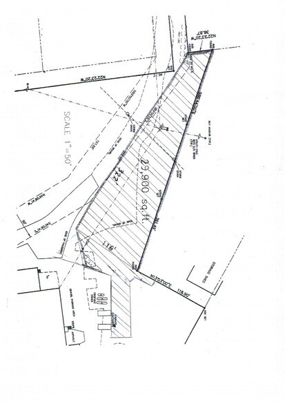
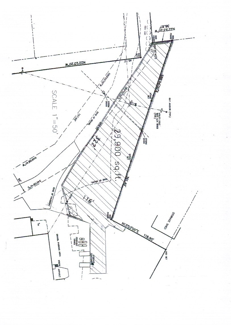
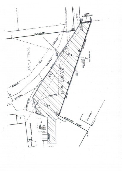
- Stationnement extérieur de 29 000 po/pi
- Zonage AI - Industriel agricole
- Parfait pour les entrepreneurs, les paysagistes, le camionnage et les métiers.
- 1,350 Sq/ft clean office
LOT Disponible
Afficher les taux de location en
| Taux de location |
|
Taille du lot | 0,67 AC |
| Durée du bail | Négociable |
| Taux de location | |
| Durée du bail | Négociable |
| Taille du lot | 0,67 AC |
Aperçu de la propriété
Jusqu'à 29 000 po/pi stationnement/rangement extérieur. Zone agricole, parfait pour paysagistes, entrepreneurs, métiers, camionnage, etc...
Faits sur la propriété
| Superficie totale disponible | 0,67 AC | Sous-type de propriété | Ferme |
| Type de propriété | Terrain | Utilisation proposée | Cour d’entreposage des entrepreneurs |
| Superficie totale disponible | 0,67 AC |
| Type de propriété | Terrain |
| Sous-type de propriété | Ferme |
| Utilisation proposée | Cour d’entreposage des entrepreneurs |
1 1
Impraticable à pied
10/100
Exceptionnellement facile d’accès en voiture
100/100
Assez praticable en vélo
20/100
1 de 8
Vidéos
Visite extérieure 3D Matterport
Visite 3D Matterport
Photos
Vue depuis la rue
Rue
Carte
1 de 1
Présenté par
39 Transport Lane Pine Island, NY | 39 Transport Ln
Vous êtes déjà membre? Connectez-vous
Hmm, il semble y avoir eu une erreur lors de l’envoi de votre message. Veuillez réessayer.
Merci! Votre message a été envoyé.
