Votre courriel a été envoyé.
3907 Highway 290 Hwy - 16.157 AC Bastrop County - Paige Lot • Terrain commercial • 16,15 Acres • 1 647 555 $ CAD • Paige, TX 78659



Certaines informations ont été traduites automatiquement.
FAITS SAILLANTS DE L'INVESTISSEMENT
- Aucune restriction, Dimensions - Enquête téléchargée, appelez le courtier (Sepi) pour la ligne directrice de tarification
- Situé à Paige, TX, dans le comté de Bastrop en plein essor. Deux accès crossover en 290 pour un accès facile.
- Proximité - 20 minutes en voiture - de l'immeuble SpaceX, qui est un bâtiment de plus d'un demi-million de pieds carrés.
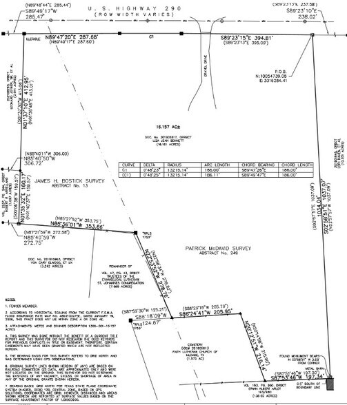
- Situé sur l'autoroute 290 en direction est, à l'intersection des routes 290 et 2104 à Paige, au Texas. Situé à 40 milles des limites de la ville d'Austin
- Proximité - 20 minutes en voiture - À plus de 500 acres de développement de studios hollywoodiens qui amèneront Hollywood au Texas.
- Proximité - 20 minutes en voiture - du développement de l'entreprise Bing.
RÉSUMÉ DE L'ANNONCE
Numéro de taxe 8712035 et 30598
Ville de Paige, comté de Bastrop
Taille du terrain selon l'arpentage 703 798/Arpentage sf 16.157 AC
Description légale ABS A249 MCDAVID, PATRICK,16 ACRES
FAITS SUR LA PROPRIÉTÉ
| Prix | 1 647 555 $ CAD | Sous-type de propriété | Terrain commercial |
| Type de vente | Investissement | Utilisation proposée | |
| Nombre de lots | 1 | Taille totale du lot | 16,15 AC |
| Type de propriété | Terrain |
| Prix | 1 647 555 $ CAD |
| Type de vente | Investissement |
| Nombre de lots | 1 |
| Type de propriété | Terrain |
| Sous-type de propriété | Terrain commercial |
| Utilisation proposée | |
| Taille totale du lot | 16,15 AC |
1 LOT DISPONIBLE
Lot
| Prix | 1 647 555 $ CAD | Taille du lot | 16,15 AC |
| Prix par AC | 102 015,79 $ CAD |
| Prix | 1 647 555 $ CAD |
| Prix par AC | 102 015,79 $ CAD |
| Taille du lot | 16,15 AC |
DESCRIPTION
Aucune restriction Dimensions - Enquête téléchargée Appelez le courtier (Sepi) pour obtenir des lignes directrices sur les prix Situé sur l'autoroute 290 en direction est, à l'intersection des routes 290 et 2104, à Paige, au Texas. Situé à 40 milles des limites de la ville d'Austin situé à Paige, TX, dans le comté de Booming Bastrop Deux accès crossover en 290 pour un accès facile. Proximité - 20 minutes en voiture - Jusqu'à plus de 500 acres de développement de studios hollywoodiens qui amèneront Hollywood au Texas. Proximité - 20 minutes en voiture - de l'immeuble SpaceX, qui est un bâtiment de plus d'un demi-million de pieds carrés. Proximité - 20 minutes en voiture - du développement de la société Bing. Plus de 16 acres sans restriction avec une largeur de 850 pi et plus sur la route 290 avec une voie de virage de 450 pi réservée. Excellent site pour le développement, l'utilisation mixte, la vente au détail des arrêts de camions, les parcs de véhicules de réanimation, le parc de maisons mobiles, les hôtels, les espaces commerciaux, résidentiels, de stockage et d'entreposage. Entrée - sortie Entrée commerciale construite et permise avec 450 pieds de voie de virage réservée pour la propriété. L'eau et l'électricité sont disponibles à proximité de la face avant de la propriété, Une partie de la propriété a été construite avec un remblai routier à partir de 290 et compactée. 3 000 verges de la base routière de la route 290 sont stockées sur la propriété également pour les terrains et les routes. Le site du pavé est compacté sur la façade ouest de la propriété.
Impôts fonciers
| Numéro de lot | 30598 | Évaluation des bâtiments | 0 $ CAD |
| Évaluation du terrain | 919 909 $ CAD | Évaluation totale | 919 909 $ CAD |
Impôts fonciers
Présenté par
3907 Highway 290 Hwy - 16.157 AC Bastrop County - Paige
Hmm, il semble y avoir eu une erreur lors de l’envoi de votre message. Veuillez réessayer.
Merci! Votre message a été envoyé.
