Se Connecter/S’inscrire
Votre courriel a été envoyé.
Certaines informations ont été traduites automatiquement.
Résumé de l'annonce
The subject property is located at 3924 S. Dogwood Ave in El Centro, CA. It is less than one mile south of I-8, approximately 4 miles south of downtown El Centro, and approximately 8 miles north of the border.
The subject property consists of approximately 14 acres within the City of El Centro. The property was recently annexed into the City and now has a zoning and land use designation of multi-family residential. The subject property has potential for a 350-unit apartment building just north of the border
The subject property consists of approximately 14 acres within the City of El Centro. The property was recently annexed into the City and now has a zoning and land use designation of multi-family residential. The subject property has potential for a 350-unit apartment building just north of the border
Faits sur la propriété
1 Lot disponible
Lot
| Prix | 2 573 250 $ CAD | Taille du lot | 14,00 AC |
| Prix par AC | 183 803,58 $ CAD |
| Prix | 2 573 250 $ CAD |
| Prix par AC | 183 803,58 $ CAD |
| Taille du lot | 14,00 AC |
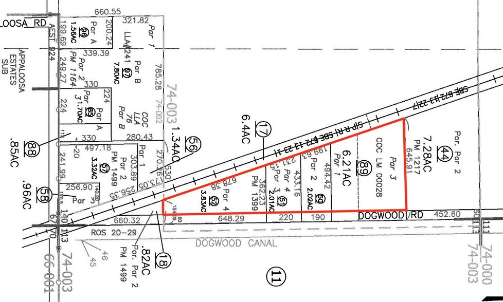
054-390-089 6.21 Acres 054-390-050 1.94 Acres 054-390-051 2.01 Acres 054-390-052 3.83 Acres TOTAL 13.99 Acres
Assez praticable à pied
40/100
Exceptionnellement facile d’accès en voiture
100/100
Assez praticable en vélo
30/100
Impôts fonciers
| Numéros de lot | Évaluation des bâtiments | 527 223 $ CAD | |
| Évaluation du terrain | 103 546 $ CAD | Évaluation totale | 630 769 $ CAD |
Impôts fonciers
Numéros de lot
Évaluation du terrain
103 546 $ CAD
Évaluation des bâtiments
527 223 $ CAD
Évaluation totale
630 769 $ CAD
1 de 4
Vidéos
Visite extérieure 3D Matterport
Visite 3D Matterport
Photos
Vue depuis la rue
Rue
Carte
Présenté par
3924 S Dogwood Rd
Vous êtes déjà membre? Connectez-vous
Hmm, il semble y avoir eu une erreur lors de l’envoi de votre message. Veuillez réessayer.
Merci! Votre message a été envoyé.




