Votre courriel a été envoyé.
40 Sea Pave Rd - Entitled Site Ready to Build Lot • Terrain industriel • 1,03 Acres • 250 470 $ CAD • South Windsor, CT 06074



Certaines informations ont été traduites automatiquement.
RÉSUMÉ DE L'ANNONCE
FAITS SUR LA PROPRIÉTÉ Sous contrat
1 LOT DISPONIBLE
Lot
| Prix | 250 470 $ CAD | Taille du lot | 1,03 AC |
| Prix par AC | 243 174,76 $ CAD |
| Prix | 250 470 $ CAD |
| Prix par AC | 243 174,76 $ CAD |
| Taille du lot | 1,03 AC |
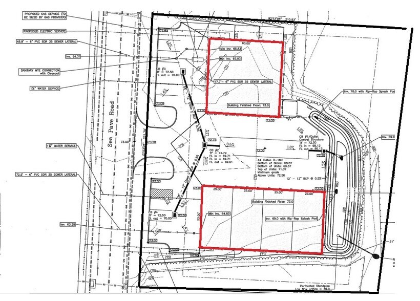
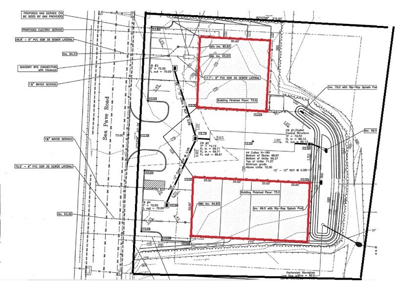
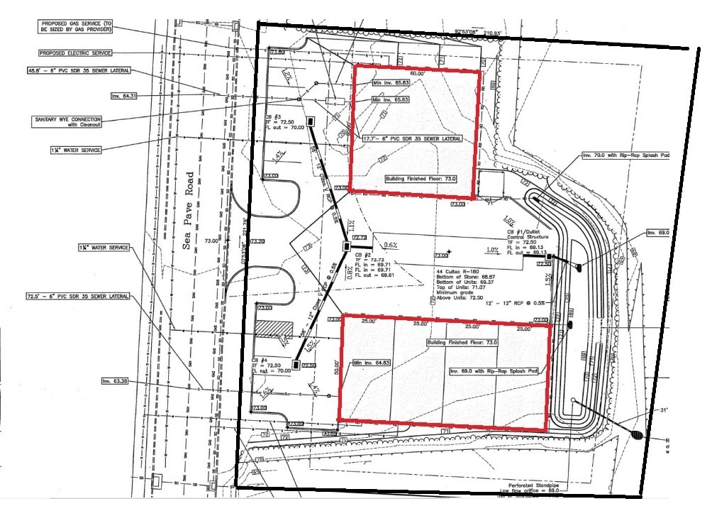
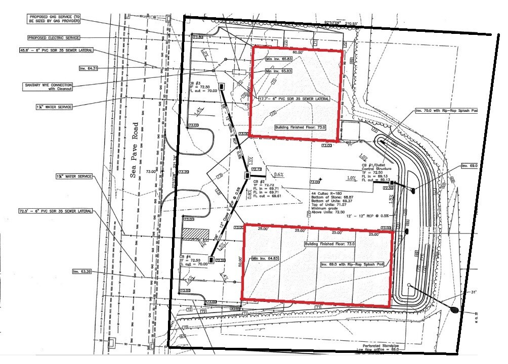
Terrain de seulement 150 000$ non amélioré à la discrétion des vendeurs. Site autorisé pour la construction de deux bâtiments industriels, 5 000 et 3 600 p2, soit un total de 8 600 p2. Tel que proposé. Coût des terrains et des bâtiments plus 15 % estimatifs améliorés de 1 400 000$. Livraison au plus tard le 2e trimestre 2025.
DESCRIPTION
La parcelle consiste en une parcelle de 1,03 acre approuvée pour l'aménagement de deux bâtiments industriels, un bâtiment de 5 000 pieds carrés et un second de 3 600 pieds carrés. L'intention des propriétaires est de vendre le terrain ou de financer et de construire les bâtiments en tant que bâtiments métalliques à travée transparente avec au moins une porte battante et une porte pour homme par 1 000 pieds carrés. Les bâtiments sont conçus pour des coûts d'exploitation et d'acquisition à faible coût. Les bâtiments peuvent être livrés sous forme de coque brute avec toilettes ou être aménagés avec plus d'améliorations. Les éléments optionnels comprennent : l'aménagement de bureaux, le refroidissement du bureau, les planchers chauffants, les fenêtres, les murs finis, les planchers finis, les plafonds finis et plus encore. Le budget et la portée des travaux pour les immeubles proposés sont sujets à négociation. Le site fait actuellement l'objet d'un arpentage pour résoudre le remblayage partiel d'un ancien propriétaire sans permis, ce qui doit être réglé rapidement. La livraison du bâtiment et du terrain finis est prévue pour mars 2025, plus ou moins. Veuillez appeler/écrire pour explorer avec Kenneth R. Labbe, courtier immobilier associé, Pyramid Real Estate Group, - Cell.860-891-8551, Desk Direct - 203-391-6805, Réception et messagerie vocale - 203-348-8566 poste 805, Courriel - klabbe@pyramidregroup.com
Impôts fonciers
| Numéro de lot | SWIN-000007-000018-000005 | Évaluation des bâtiments | 0 $ CAD |
| Évaluation du terrain | 110 346 $ CAD | Évaluation totale | 110 346 $ CAD |
Impôts fonciers
Présenté par
40 Sea Pave Rd - Entitled Site Ready to Build
Hmm, il semble y avoir eu une erreur lors de l’envoi de votre message. Veuillez réessayer.
Merci! Votre message a été envoyé.

