Votre courriel a été envoyé.
Certaines informations ont été traduites automatiquement.
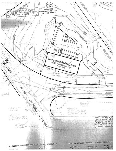
Faits saillants de l'investissement
- 3,57 Acres
- Zonage : I-2
- Hébergement : Édifice 9 000 SF
- Lot d'angle
- Façade : 725'
- I-91, sortie 37
Résumé de l'annonce
Faits sur la propriété
1 Lot disponible
Lot
| Prix | 293 862 $ CAD | Taille du lot | 3,57 AC |
| Prix par AC | 82 314,28 $ CAD |
| Prix | 293 862 $ CAD |
| Prix par AC | 82 314,28 $ CAD |
| Taille du lot | 3,57 AC |
Carte du bloc du lot 300-2006
Description
O, R&L Commercial a le plaisir de présenter 3,57 acres de terrain à vendre dans la zone I-2, à Old Windsor Road (carte, lot 300-2006) à Bloomfield, au CT. Le site a des services publics municipaux en bordure de la zone. Le zonage permet les utilisations suivantes avec un permis spécial : automobile, chenil, industriel, manufacturier, installations municipales, restaurants, vente au détail, entrepôt et fabrication. Les banques, les bureaux et les écoles sont autorisés par l'approbation du plan. La propriété peut accueillir un immeuble de 9 000 pi2.
Présenté par
40 W Dudley Town Rd
Hmm, il semble y avoir eu une erreur lors de l’envoi de votre message. Veuillez réessayer.
Merci! Votre message a été envoyé.


