Votre courriel a été envoyé.
Unit 320 and 330 401 S. Chitalpa St., Unit 320 and 330 2 000–4 000 pi² d'espace disponible • Flex • 4 étoiles • Leander, TX 78641



Certaines informations ont été traduites automatiquement.
Faits saillants
- Fully HVAC separated from Office & Warehouse for efficiency
- Brand NEW
- 2 reserved parking spaces per unit, and additional spaces on 2 sides
- Easy Access
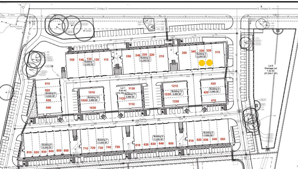
- Unit 320 and 330 are adjacent units in building 3
Caractéristiques
Tous les espaces disponibles(2)
Afficher les taux de location en
- Espace
- Taille
- Terme
- Taux de location
- Utilisation de l’espace
- Aménagement
- Disponible
• 2000 sq ft (~1500 sq ft (62x24) warehouse space with high 21’ ceiling; ~500 sq ft - office, private restroom & lobby/reception.) • 12x12 motorized rear warehouse overhead rollup door with remote, side door. • Sealed concrete floors. 1st floor. 3-phase 150 Amps. • Fully air conditioned – Office & Warehouse conditioned separately for efficiency. • Easy access to 183A, Crystall Falls Parkway, Bryson Ridge Trail - with access to suburbs of Leander, Liberty Hill, Georgetown, and Cedar Park. • Perfect for SMB, Man Cave etc. • All sides masonry, Foam Insulation, LED Lighting, Emergency Lighting, fire rated walls, 2 reserved parking spaces and shared parking spaces on two sides • City Sewer and Water • BRAND NEW, COMPLETELY BUILT-OUT, Available May 2026 • Address: 401 S. Chitalpa St., Unit 320, Leander TX 78641 • Move in requires first and last month’s rent, minimum 2M$ renters’ insurance • Willing to Negotiate
- Le taux de location ne comprend pas les services publics, les services de bâtiment ou les dépenses immobilières.
- Espace en excellent état
- Salle de bains privée
- Hauts plafonds
- Plafond exposé
- fully sep. HVAC, NEW, easyAccess
- Comprend 500 pi² d’espace de bureau dédié
- Air central et chauffage
- Cote de rendement énergétique - A
- CVCA disponible après les heures de travail
- Détecteur de fumée
• 2000 sq ft (~1500 sq ft (62x24) warehouse space with high 21’ ceiling; ~500 sq ft - office, private restroom & lobby/reception.) • 12x12 motorized rear warehouse overhead rollup door with remote, side door. • Sealed concrete floors. 1st floor. 3-Phase 150 Amps. • Fully air conditioned – Office & Warehouse conditioned separately for efficiency. • Easy access to 183A, Crystall Falls Parkway, Bryson Ridge Trail - with access to suburbs of Leander, Liberty Hill, Georgetown, and Cedar Park. • Perfect for SMB. Man Cave etc. • All sides masonry, Foam Insulation, LED Lighting, Emergency Lighting, fire rated walls, two reserved parking spaces and shared parking spaces on 2 sides. • City Sewer and Water. • BRAND NEW, COMPLETELY BUILT-OUT, Available May 2026 • Move in requires first and last month’s rent, minimum 2M$ renters’ insurance per unit • Address: 401 S. Chitalpa St., Unit 330, Leander TX 78641 • Willing to Negotiate.
- Le taux de location ne comprend pas les services publics, les services de bâtiment ou les dépenses immobilières.
- Espace en excellent état
- Salle de bains privée
- Hauts plafonds
- Détecteur de fumée
- Comprend 500 pi² d’espace de bureau dédié
- Air central et chauffage
- Cote de rendement énergétique - A
- CVCA disponible après les heures de travail
- fully sep. HVAC, NEW, easyAccess
| Espace | Taille | Terme | Taux de location | Utilisation de l’espace | Aménagement | Disponible |
| 1er étage - 320 | 2 000 pi² | Négociable | 24,60 $ CAD/pi²/an 2,05 $ CAD/pi²/mois 49 210 $ CAD/an 4 101 $ CAD/mois | Flex | construction complète | 2026-05-01 |
| 1er étage - 330 | 2 000 pi² | Négociable | 24,60 $ CAD/pi²/an 2,05 $ CAD/pi²/mois 49 210 $ CAD/an 4 101 $ CAD/mois | Flex | construction complète | 2026-05-01 |
1er étage - 320
| Taille |
| 2 000 pi² |
| Terme |
| Négociable |
| Taux de location |
| 24,60 $ CAD/pi²/an 2,05 $ CAD/pi²/mois 49 210 $ CAD/an 4 101 $ CAD/mois |
| Utilisation de l’espace |
| Flex |
| Aménagement |
| construction complète |
| Disponible |
| 2026-05-01 |
1er étage - 330
| Taille |
| 2 000 pi² |
| Terme |
| Négociable |
| Taux de location |
| 24,60 $ CAD/pi²/an 2,05 $ CAD/pi²/mois 49 210 $ CAD/an 4 101 $ CAD/mois |
| Utilisation de l’espace |
| Flex |
| Aménagement |
| construction complète |
| Disponible |
| 2026-05-01 |
1er étage - 320
| Taille | 2 000 pi² |
| Terme | Négociable |
| Taux de location | 24,60 $ CAD/pi²/an |
| Utilisation de l’espace | Flex |
| Aménagement | construction complète |
| Disponible | 2026-05-01 |
• 2000 sq ft (~1500 sq ft (62x24) warehouse space with high 21’ ceiling; ~500 sq ft - office, private restroom & lobby/reception.) • 12x12 motorized rear warehouse overhead rollup door with remote, side door. • Sealed concrete floors. 1st floor. 3-phase 150 Amps. • Fully air conditioned – Office & Warehouse conditioned separately for efficiency. • Easy access to 183A, Crystall Falls Parkway, Bryson Ridge Trail - with access to suburbs of Leander, Liberty Hill, Georgetown, and Cedar Park. • Perfect for SMB, Man Cave etc. • All sides masonry, Foam Insulation, LED Lighting, Emergency Lighting, fire rated walls, 2 reserved parking spaces and shared parking spaces on two sides • City Sewer and Water • BRAND NEW, COMPLETELY BUILT-OUT, Available May 2026 • Address: 401 S. Chitalpa St., Unit 320, Leander TX 78641 • Move in requires first and last month’s rent, minimum 2M$ renters’ insurance • Willing to Negotiate
- Le taux de location ne comprend pas les services publics, les services de bâtiment ou les dépenses immobilières.
- Comprend 500 pi² d’espace de bureau dédié
- Espace en excellent état
- Air central et chauffage
- Salle de bains privée
- Cote de rendement énergétique - A
- Hauts plafonds
- CVCA disponible après les heures de travail
- Plafond exposé
- Détecteur de fumée
- fully sep. HVAC, NEW, easyAccess
1er étage - 330
| Taille | 2 000 pi² |
| Terme | Négociable |
| Taux de location | 24,60 $ CAD/pi²/an |
| Utilisation de l’espace | Flex |
| Aménagement | construction complète |
| Disponible | 2026-05-01 |
• 2000 sq ft (~1500 sq ft (62x24) warehouse space with high 21’ ceiling; ~500 sq ft - office, private restroom & lobby/reception.) • 12x12 motorized rear warehouse overhead rollup door with remote, side door. • Sealed concrete floors. 1st floor. 3-Phase 150 Amps. • Fully air conditioned – Office & Warehouse conditioned separately for efficiency. • Easy access to 183A, Crystall Falls Parkway, Bryson Ridge Trail - with access to suburbs of Leander, Liberty Hill, Georgetown, and Cedar Park. • Perfect for SMB. Man Cave etc. • All sides masonry, Foam Insulation, LED Lighting, Emergency Lighting, fire rated walls, two reserved parking spaces and shared parking spaces on 2 sides. • City Sewer and Water. • BRAND NEW, COMPLETELY BUILT-OUT, Available May 2026 • Move in requires first and last month’s rent, minimum 2M$ renters’ insurance per unit • Address: 401 S. Chitalpa St., Unit 330, Leander TX 78641 • Willing to Negotiate.
- Le taux de location ne comprend pas les services publics, les services de bâtiment ou les dépenses immobilières.
- Comprend 500 pi² d’espace de bureau dédié
- Espace en excellent état
- Air central et chauffage
- Salle de bains privée
- Cote de rendement énergétique - A
- Hauts plafonds
- CVCA disponible après les heures de travail
- Détecteur de fumée
- fully sep. HVAC, NEW, easyAccess
Aperçu de la propriété
• 2000 sq ft (~1500 sq ft (62x24) warehouse space with high 21’ ceiling; ~500 sq ft - office, private restroom & lobby/reception.) • 12x12 motorized rear warehouse overhead rollup door with remote, side door. • Sealed concrete floors. 1st floor. 3-phase 150 Amps. • Fully air conditioned – Office & Warehouse conditioned separately for efficiency. • Easy access to 183A, Crystall Falls Parkway, Bryson Ridge Trail - with access to suburbs of Leander, Liberty Hill, Georgetown, and Cedar Park. • Perfect for SMB, Man Cave etc. • All sides masonry, Foam Insulation, LED Lighting, Emergency Lighting, fire rated walls, 2 reserved parking spaces and shared parking spaces on two sides • City Sewer and Water • BRAND NEW, COMPLETELY BUILT-OUT, Available May 2026 • Address: 401 S. Chitalpa St., Units 320 and 330, Leander TX 78641 • Move in requires first and last month’s rent, minimum 2M$ renters’ insurance per unit • Willing to Negotiate
Faits sur la propriété
Présenté par
Analytics Advisory Group
Unit 320 and 330 | 401 S. Chitalpa St., Unit 320 and 330
Hmm, il semble y avoir eu une erreur lors de l’envoi de votre message. Veuillez réessayer.
Merci! Votre message a été envoyé.






