Se Connecter/S’inscrire
Votre courriel a été envoyé.
40692 US-280 Hwy Lot • Terrain commercial • 1 Acre • 1 157 105 $ CAD • Sylacauga, AL 35151


Certaines informations ont été traduites automatiquement.
Résumé de l'annonce
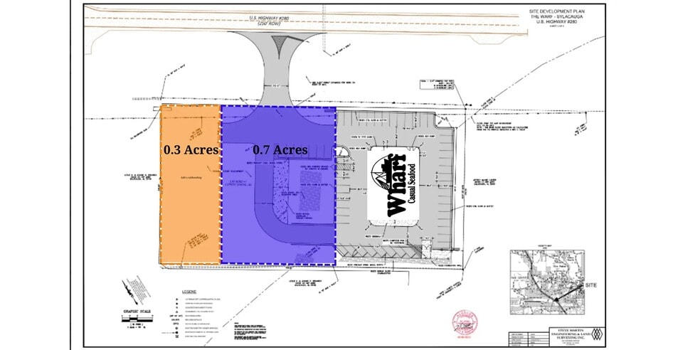
Rejoignez Wharf Casual Seafood le long de la route 280 très fréquentée à Sylacauga. 21 424 voitures passent chaque jour. Zone résidentielle et commerciale en pleine croissance. L'asphalte doit être achevé comme indiqué dans le plan du site.
Faits sur la propriété
| Prix | 1 157 105 $ CAD | Type de propriété | Terrain |
| Type de vente | Investissement | Sous-type de propriété | Terrain commercial |
| Nombre de lots | 1 | Taille totale du lot | 1,00 AC |
| Zonage | COM 3 | ||
| Prix | 1 157 105 $ CAD |
| Type de vente | Investissement |
| Nombre de lots | 1 |
| Type de propriété | Terrain |
| Sous-type de propriété | Terrain commercial |
| Taille totale du lot | 1,00 AC |
| Zonage | COM 3 |
1 Lot disponible
Lot
| Prix | 1 157 105 $ CAD | Taille du lot | 1,00 AC |
| Prix par AC | 1 157 104,99 $ CAD |
| Prix | 1 157 105 $ CAD |
| Prix par AC | 1 157 104,99 $ CAD |
| Taille du lot | 1,00 AC |
Il y a 3 options : 450 000$ pour 0,3 +/- acre sur le côté ouest de la propriété 600 000$ pour 0,7 +/- acres au milieu de la propriété 850 000$ pour 1,0 +/- acre (les deux parcelles combinées) La propriété restante est Wharf Casual Seafood
1 1
Impôts fonciers
| Numéro de lot | 28-07-26-1-000-025.000 | Évaluation des bâtiments | 0 $ CAD |
| Évaluation du terrain | 62 892 $ CAD | Évaluation totale | 62 892 $ CAD |
Impôts fonciers
Numéro de lot
28-07-26-1-000-025.000
Évaluation du terrain
62 892 $ CAD
Évaluation des bâtiments
0 $ CAD
Évaluation totale
62 892 $ CAD
1 de 3
Vidéos
Visite extérieure 3D Matterport
Visite 3D Matterport
Photos
Vue depuis la rue
Rue
Carte
1 de 1
Présenté par
40692 US-280 Hwy
Vous êtes déjà membre? Connectez-vous
Hmm, il semble y avoir eu une erreur lors de l’envoi de votre message. Veuillez réessayer.
Merci! Votre message a été envoyé.
Votre message a été envoyé !
Activez votre compte LoopNet dès maintenant pour suivre les propriétés, recevoir des alertes en temps réel, gagner du temps sur vos demandes futures et bien plus encore.
