Votre courriel a été envoyé.
Certaines informations ont été traduites automatiquement.
Faits sur la propriété
| Type de vente | Investissement ou propriétaire utilisateur | Sous-type de propriété | Terrain commercial |
| Nombre de lots | 1 | Utilisation proposée | Commercial |
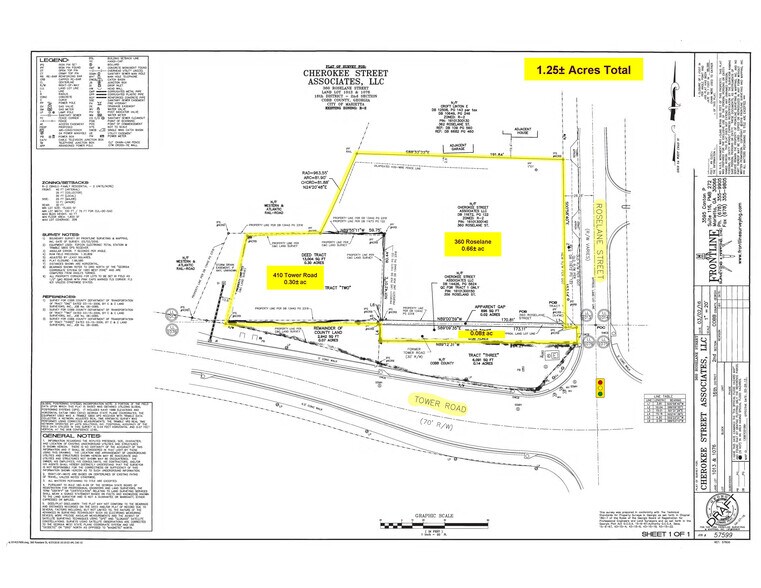
| Type de propriété | Terrain | Taille totale du lot | 1,25 AC |
| Zonage | OI - Bureaux Industriels | ||
| Type de vente | Investissement ou propriétaire utilisateur |
| Nombre de lots | 1 |
| Type de propriété | Terrain |
| Sous-type de propriété | Terrain commercial |
| Utilisation proposée | Commercial |
| Taille totale du lot | 1,25 AC |
| Zonage | OI - Bureaux Industriels |
1 Lot disponible
Lot
| Taille du lot | 1,25 AC |
| Taille du lot | 1,25 AC |
1,25 ± ac total, situé à l'angle nord-ouest de Tower Rd et Roselane St. À distance de marche du centre médical régional Wellstar Kennestone. Site idéal pour le prochain bâtiment important de bureaux médicaux desservant le centre médical régional Wellst-Kennestone.
Description
1.25 ± ac total, situé au coin nord-ouest du chemin Tower et de la rue Roselane est à distance de marche du centre médical régional Wellstar Kennestone. Site idéal pour le prochain édifice médical important pour desservir le centre médical régional WellstKennestone. Le site est commercialisé sans prix d'inscription.
Impôts fonciers
| Numéro de lot | 16-1013-0-014-0 | Évaluation des bâtiments | 0 $ CAD |
| Évaluation du terrain | 60 449 $ CAD | Évaluation totale | 60 449 $ CAD |
Impôts fonciers
Présenté par
410 Tower Road
Hmm, il semble y avoir eu une erreur lors de l’envoi de votre message. Veuillez réessayer.
Merci! Votre message a été envoyé.



