Se Connecter/S’inscrire
Votre courriel a été envoyé.
4135 Stetson Ave - Cawston & Stetson Lot • Terrain commercial • 18,21 Acres • 10 203 825 $ CAD • Hemet, CA 92545

Certaines informations ont été traduites automatiquement.
Résumé de l'annonce
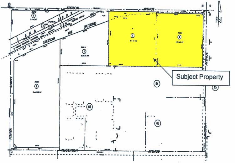
APN. 460-020-2007 ET 2008. Environ 18,21 acres bruts. Intersection signalée aux avenues Cawston et Stetson. Situé dans la forte zone commerciale émergente du sud-ouest de Hemet. Près du supercentre Wal-Mart, de Walgreens, de l'aéroport, d'autres. Zonage : potentiel de développement commercial - À vérifier par la Ville de Hemet.
SWC des avenues Cawston et Stetson.
SWC des avenues Cawston et Stetson.
Faits sur la propriété
| Prix | 10 203 825 $ CAD | Sous-type de propriété | Terrain commercial |
| Type de vente | Investissement ou propriétaire utilisateur | Utilisation proposée | Commercial |
| Nombre de lots | 1 | Taille totale du lot | 18,21 AC |
| Type de propriété | Terrain | Rues transversales | Cawston Ave |
| Zonage | C-2 - Commerciale | ||
| Prix | 10 203 825 $ CAD |
| Type de vente | Investissement ou propriétaire utilisateur |
| Nombre de lots | 1 |
| Type de propriété | Terrain |
| Sous-type de propriété | Terrain commercial |
| Utilisation proposée | Commercial |
| Taille totale du lot | 18,21 AC |
| Rues transversales | Cawston Ave |
| Zonage | C-2 - Commerciale |
1 Lot disponible
Lot
| Prix | 10 203 825 $ CAD | Taille du lot | 18,21 AC |
| Prix par AC | 560 341,84 $ CAD |
| Prix | 10 203 825 $ CAD |
| Prix par AC | 560 341,84 $ CAD |
| Taille du lot | 18,21 AC |
1 1
Assez praticable à pied
40/100
Exceptionnellement facile d’accès en voiture
90/100
Transports en commun limités
20/100
Assez praticable en vélo
30/100
Impôts fonciers
| Numéros de lot | Évaluation des bâtiments | 0 $ CAD | |
| Évaluation du terrain | 3 540 385 $ CAD | Évaluation totale | 3 540 385 $ CAD |
Impôts fonciers
Numéros de lot
Évaluation du terrain
3 540 385 $ CAD
Évaluation des bâtiments
0 $ CAD
Évaluation totale
3 540 385 $ CAD
1 de 2
Vidéos
Visite extérieure 3D Matterport
Visite 3D Matterport
Photos
Vue depuis la rue
Rue
Carte
1 de 1
Présenté par
4135 Stetson Ave - Cawston & Stetson
Vous êtes déjà membre? Connectez-vous
Hmm, il semble y avoir eu une erreur lors de l’envoi de votre message. Veuillez réessayer.
Merci! Votre message a été envoyé.
