Votre courriel a été envoyé.
Certaines informations ont été traduites automatiquement.
Faits saillants de l'investissement
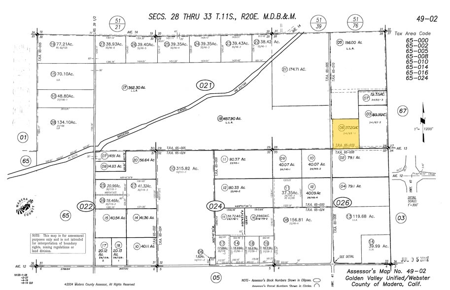
- 37.20± acres of land along Highway 41 corridor
- Strategic location between Fresno and Madera
- ARV-20 Agricultural Rural zoning (20-acre minimum parcels)
- Approximately 1,300+ feet of Highway 41 frontage
- Located within the Rio Mesa planning influence area
- Existing high-capacity irrigation water well
Résumé de l'annonce
The parcel is located at 41737 Avenue 13 in Madera County, providing convenient access to Fresno, Clovis, and the broader Central Valley agricultural and logistics markets. Highway 41 serves as a major north–south transportation corridor connecting the Fresno metropolitan area to Madera County, the Sierra foothills, and recreational destinations including Yosemite National Park. The property’s location along this corridor provides excellent accessibility while maintaining the rural agricultural character of the surrounding area.
The site consists of 37.20± acres (approximately 1,620,432 square feet) of level agricultural land currently classified under county records for nursery and horticultural use. The property is zoned ARV-20 (Agricultural Residential Valley – 20 Acre Minimum), a designation intended to preserve agricultural land while allowing rural residential development on larger parcels. This zoning supports a range of agricultural activities including nursery cultivation, horticulture production, row crops, specialty crops, agricultural support uses, and potential rural estate development, subject to buyer verification and applicable county regulations.
A key asset of the property is its high-capacity agricultural well infrastructure. The well is equipped with a 50 horsepower pump and 12-inch well casing with seven-stage pump bowls, capable of supporting significant irrigation demand. Equipment specifications indicate capacity approaching 900 gallons per minute at approximately 400 feet, with reported operational production exceeding 800 gallons per minute. Reliable water production at this level is a major operational advantage for intensive agricultural operations and enhances the property’s long-term agricultural value.
Beyond its agricultural productivity, the property benefits from its location within the broader planning framework of the Rio Mesa Area Plan, a long-range planning initiative guiding future land use and infrastructure planning in this portion of Madera County. While the parcel is currently designated for agricultural use, its inclusion within the Rio Mesa planning influence area enhances its appeal as a strategic land banking opportunity, particularly as population growth and development activity continue to expand northward from Fresno and Clovis.
The surrounding corridor is experiencing ongoing infrastructure improvements that further strengthen the property’s long-term investment profile. Planned and approved projects include State Route 41 widening, with construction anticipated to begin in 2026, which will improve regional mobility and traffic capacity along this major transportation route. Additional roadway improvements in the immediate vicinity include upgrades to Avenue 12 and connecting arterial routes, along with the development of Rio Mesa Boulevard, which will provide improved access throughout the corridor and support future regional development.
The property’s location along Highway 41 provides a combination of visibility, accessibility, and long-term strategic positioning that is increasingly attractive to both agricultural operators and land investors. The parcel’s relatively large size and level terrain allow for efficient agricultural operations today while also providing flexibility for future uses as the surrounding region evolves.
With strong water infrastructure, highway access, and positioning within a long-term planning corridor, the property represents an attractive opportunity for buyers seeking productive agricultural land, a nursery or horticulture site, or a strategic long-term hold within one of the Central Valley’s expanding growth areas.
Prospective buyers are encouraged to conduct independent due diligence regarding zoning, water production, soils, environmental conditions, infrastructure planning, and potential development opportunities with Madera County and other applicable agencies.
Faits sur la propriété
1 Lot disponible
Lot
| Prix | 7 672 276 $ CAD | Taille du lot | 37,20 AC |
| Prix par AC | 206 243,99 $ CAD |
| Prix | 7 672 276 $ CAD |
| Prix par AC | 206 243,99 $ CAD |
| Taille du lot | 37,20 AC |
37.2± acres of level agricultural land along the Highway 41 corridor in Madera County. Zoned ARV-20 with a high-capacity well producing 800+ GPM. Located within the Rio Mesa planning influence area offering strong agricultural use today and long-term
Description
Mountain Valley Properties is pleased to present a rare opportunity to acquire 37.20± acres located directly along the Highway 41 corridor in Madera County, California. The property is situated at 41737 Avenue 13 and offers significant frontage along one of the Central Valley’s most important north–south transportation routes connecting Fresno, Madera, and Yosemite. This strategic corridor location places the property within an area experiencing continued infrastructure investment and long-term regional growth pressure from the expanding Fresno metropolitan area. Large acreage parcels with substantial highway frontage are increasingly scarce along Highway 41, making this offering an attractive opportunity for investors seeking long-term appreciation through land banking or future development positioning. The parcel consists of approximately 37.20 deeded acres (1,620,432 square feet) and is currently utilized for agricultural purposes. The property is zoned ARV-20 (Agricultural Rural District), which supports a variety of agricultural uses as well as rural residential development with a minimum parcel size of twenty acres. This zoning designation allows for continued agricultural operations while providing long-term flexibility as the surrounding corridor evolves over time. One of the most compelling features of the property is its direct frontage along Highway 41, providing strong visibility and strategic positioning along a major regional transportation route. Highway frontage properties are typically among the first to benefit from long-term corridor growth as infrastructure improvements and population expansion drive increased development interest. The property includes established agricultural infrastructure, including an existing high-capacity irrigation well. The well is equipped with a 12-inch well casing, a 50 horsepower pump, and seven-stage pump bowls designed to support agricultural irrigation. Equipment specifications indicate potential pumping capacity of up to approximately 900 gallons per minute at 400 feet, with reported production exceeding 800 gallons per minute (buyer to verify). This infrastructure allows the property to remain productive for agricultural use while investors hold the land for long-term appreciation. The parcel is located within the Rio Mesa planning influence area, a regional planning corridor intended to guide long-term growth between Fresno and Madera. Public infrastructure investments and corridor improvements in the surrounding area are steadily improving accessibility and increasing development interest along Highway 41. Recent and planned infrastructure improvements contributing to corridor growth include roadway upgrades along Highway 41 as well as improvements to nearby east-west connectors such as Avenue 12 and Rio Mesa Boulevard. Signalized intersections and roadway enhancements are improving access and mobility throughout the corridor, reinforcing Highway 41’s role as a major transportation spine for the region. In addition to its strategic location and highway frontage, the property offers relatively low holding costs, making it well-suited for investors pursuing a land-banking strategy. The 2025 assessed value for the property is approximately $420,581, with total property taxes estimated at approximately $7,968 annually, providing a manageable carrying cost relative to the parcel’s corridor positioning and long-term upside. The surrounding region continues to experience population growth and development pressure as the Fresno metropolitan area expands northward toward Madera. Highway 41 serves as a primary commuter and transportation corridor between these markets, making properties with large acreage and direct frontage increasingly attractive to investors seeking strategic land positions within the path of growth. Large contiguous parcels with substantial highway frontage are becoming increasingly difficult to find in the Central Valley, particularly along major corridors connecting major population centers. The size, location, and frontage characteristics of this property create a unique opportunity for investors seeking to acquire land with strong long-term potential in a region experiencing continued infrastructure improvements and economic expansion. The property offers multiple potential strategies for investors, including continued agricultural use, long-term land banking, rural residential positioning consistent with current zoning, or future participation in corridor development as infrastructure and planning initiatives evolve. With 37.20± acres, direct Highway 41 frontage, agricultural infrastructure already in place, and a strategic position within a regional growth corridor, this property represents a compelling opportunity to acquire a substantial land holding along one of the Central Valley’s most important transportation routes. Mountain Valley Properties invites qualified investors, land developers, and agricultural operators to explore the long-term potential of this strategically located Highway 41 corridor property. For additional information regarding the property, zoning, infrastructure, or investment potential, please contact the listing broker.
Impôts fonciers
| Numéro de lot | 049-021-006 | Évaluation des bâtiments | 15 464 $ CAD |
| Évaluation du terrain | 556 009 $ CAD | Évaluation totale | 571 473 $ CAD |
Impôts fonciers
Présenté par
41737 Avenue 13
Hmm, il semble y avoir eu une erreur lors de l’envoi de votre message. Veuillez réessayer.
Merci! Votre message a été envoyé.

