Se Connecter/S’inscrire
Votre courriel a été envoyé.
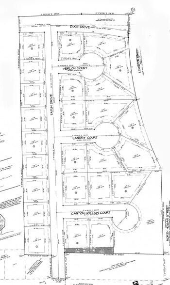
419 N Hogan St - 419 N HOGAN, HOLLAND - Harvest Meadow Estates Lot • Résidentiel • 9,9 Acres • 2 549 063 $ CAD • Holland, TX 76534



Certaines informations ont été traduites automatiquement.
Faits saillants de l'investissement
- Prime location within Holland City Limits
- 25 lots - 0.2-0.3 acres each
- Completed development
Résumé de l'annonce
This prime location subdivision is available for builders to build out or sell individual lots off. Located right by the Holland First Baptist Church, within Holland City Limits, neighboring FM 1123 on one side and residential Hogan St on the other side. To be completed with all development stages in the coming months, it will be READY TO BUILD. What an opportunity to skip the grunt work of development! All underground utilities are in, electricity plan with Oncor in production and road construction currently also in progress. Open to offers! Holland, TX is a highly sought-after small town with a 5-star rated school system! For a copy of the full engineered plat packet, please reach out to laurenmynarcik@gmail.com.
Faits sur la propriété
| Prix | 2 549 063 $ CAD | Type de propriété | Terrain |
| Type de vente | Investissement ou propriétaire utilisateur | Sous-type de propriété | Résidentiel |
| Condition de vente | Ventes de portefeuille | Taille totale du lot | 9,90 AC |
| Nombre de lots | 1 | ||
| Zonage | Residential - Residential neighborhood | ||
| Prix | 2 549 063 $ CAD |
| Type de vente | Investissement ou propriétaire utilisateur |
| Condition de vente | Ventes de portefeuille |
| Nombre de lots | 1 |
| Type de propriété | Terrain |
| Sous-type de propriété | Résidentiel |
| Taille totale du lot | 9,90 AC |
| Zonage | Residential - Residential neighborhood |
1 Lot disponible
Lot
| Prix | 2 549 063 $ CAD | Taille du lot | 9,90 AC |
| Prix par AC | 257 481,07 $ CAD |
| Prix | 2 549 063 $ CAD |
| Prix par AC | 257 481,07 $ CAD |
| Taille du lot | 9,90 AC |
Located at 419 NORTH Hogan St, Holland. 25 lot subdivision, fully developed, near completion in the coming months. Lots range from 0.2-0.35ac per lot. Flat terrain. Within city limits of Holland, TX. On City of Holland water and sewer.
Description
A0887BC R WILLS, 6, ACRES 6.82 (property description inaccurate because property is actually 9.9ac)
1 1
Plutôt praticable à pied
20/100
Très facile d’accès en voiture
80/100
Assez praticable en vélo
30/100
Impôts fonciers
| Numéro de lot | 42172 | Évaluation des bâtiments | 0 $ CAD |
| Évaluation du terrain | 1 747 $ CAD | Évaluation totale | 1 747 $ CAD |
Impôts fonciers
Numéro de lot
42172
Évaluation du terrain
1 747 $ CAD
Évaluation des bâtiments
0 $ CAD
Évaluation totale
1 747 $ CAD
1 de 7
Vidéos
Visite extérieure 3D Matterport
Visite 3D Matterport
Photos
Vue depuis la rue
Rue
Carte
1 de 1
Présenté par
Anchor Realty
419 N Hogan St - 419 N HOGAN, HOLLAND - Harvest Meadow Estates
Vous êtes déjà membre? Connectez-vous
Hmm, il semble y avoir eu une erreur lors de l’envoi de votre message. Veuillez réessayer.
Merci! Votre message a été envoyé.
