Votre courriel a été envoyé.
4201 France Rd Lot • Terrain industriel • 11,28 Acres • 4 670 682 $ CAD • New Orleans, LA 70126



Certaines informations ont été traduites automatiquement.
Faits saillants de l'investissement
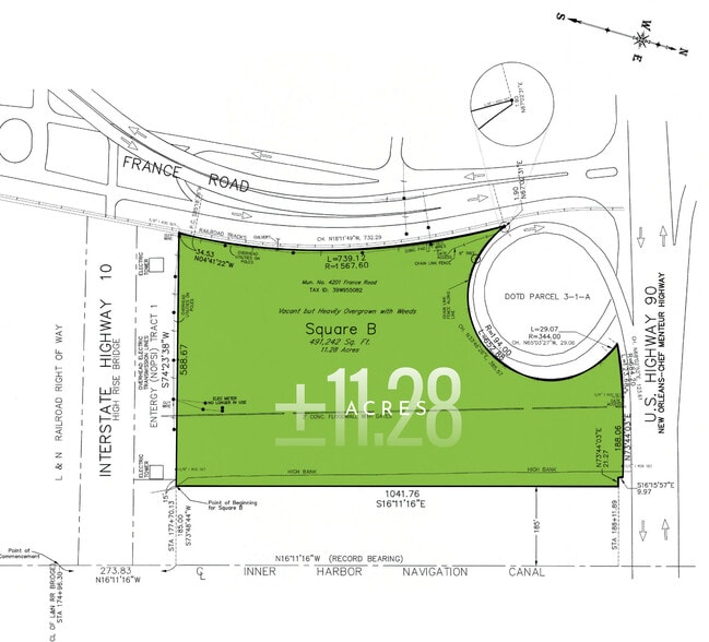
- Size: ±11.28 Acres (stabilized compacted and filled) with 1,040 LF of water frontage
- Rail: Active NOPB rail line intersecting property
- Location: Positioned on the Inner Harbor Navigational Canal (IHNC) within Port of New Orleans Inner Harbor
- Zoned HI- Heavy Industrial and barge accessible
- Topography: Industrial ready— suitable for laydown, storage and build-to-suit development
Résumé de l'annonce
Faits sur la propriété
1 Lot disponible
Lot
| Prix | 4 670 682 $ CAD | Taille du lot | 11,28 AC |
| Prix par AC | 414 177,69 $ CAD |
| Prix | 4 670 682 $ CAD |
| Prix par AC | 414 177,69 $ CAD |
| Taille du lot | 11,28 AC |
11.28 acres zoned heavy inudstrial 1,040 LF water frontage on inner harbor navigational canal Stabilized, compacted and filled Barge-depth water frontage with rail integration and immediate interstate access
Description
4201 France Road is a rare, stabilized, compacted and filled ±11.28 acre industrial site with 1,040 LF of water frontage. The site is strategically positioned on the Inner Harbor Navigational Canal (IHNC) within the Port of New Orleans Inner Harbor. As one of the few privately owned tracts in this port district, the heavy industrial zoned site provides a rare mix of barge-depth water frontage, rail integration, and immediate interstate access allowing for key permitted uses such as, heavy manufacturing, storage and distribution, industrial services, logistics and transload, rail and other maritime-dependent industrial operations . The site benefits from a 5.5 mile navigational canal connecting the Mississippi River to Lake Pontchartrain creating unique benefits optimizing waterborne freight, barge access, rail operations, and regional trucking. Size: ±11.28 Acres (stabilized compacted and filled) with 1,040 LF of water frontage Zoned HI- Heavy Industrial and barge accessible Rail: Active NOPB rail line intersecting property Topography: Industrial ready— suitable for laydown, storage and build-to-suit development Location: Positioned on the Inner Harbor Navigational Canal (IHNC) within Port of New Orleans Inner Harbor, direct access to Industrial Canal, Intracoastal Waterway, Mississippi River and Lake Pontchartrain
Impôts fonciers
| Numéro de lot | 3-9W-9-550-82 | Évaluation des bâtiments | 0 $ CAD |
| Évaluation du terrain | 100 995 $ CAD | Évaluation totale | 100 995 $ CAD |
Impôts fonciers
Présenté par
4201 France Rd
Hmm, il semble y avoir eu une erreur lors de l’envoi de votre message. Veuillez réessayer.
Merci! Votre message a été envoyé.

