Se Connecter/S’inscrire
Votre courriel a été envoyé.
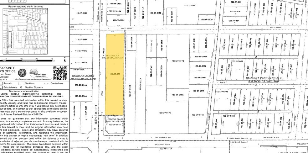
4221 S 16th St - 16th & Broadway Land Lot • Terrain commercial • 1,18 Acres • 1 094 079 $ CAD • Phoenix, AZ 85040



Certaines informations ont été traduites automatiquement.
RÉSUMÉ DE L'ANNONCE
Terrain à vendre
Visibilité exceptionnelle
Accès facile
Visibilité exceptionnelle
Accès facile
FAITS SUR LA PROPRIÉTÉ Sous contrat
| Prix | 1 094 079 $ CAD | Sous-type de propriété | Terrain commercial |
| Type de vente | Investissement | Utilisation proposée | Commercial |
| Nombre de lots | 1 | Taille totale du lot | 1,18 AC |
| Type de propriété | Terrain | Zone de développement économique |
Oui
|
| Zonage | C-G; C-3 | ||
| Prix | 1 094 079 $ CAD |
| Type de vente | Investissement |
| Nombre de lots | 1 |
| Type de propriété | Terrain |
| Sous-type de propriété | Terrain commercial |
| Utilisation proposée | Commercial |
| Taille totale du lot | 1,18 AC |
| Zone de développement économique |
Oui |
| Zonage | C-G; C-3 |
1 LOT DISPONIBLE
Lot 1
| Prix | 1 094 079 $ CAD | Taille du lot | 1,18 AC |
| Prix par AC | 927 185,50 $ CAD |
| Prix | 1 094 079 $ CAD |
| Prix par AC | 927 185,50 $ CAD |
| Taille du lot | 1,18 AC |
Zonage C-3 Trafic élevé et visibilité Utilisations potentielles multiples
DESCRIPTION
Grand terrain Accès facile Circulation et visibilité élevées
1 1
Impôts fonciers
| Numéro de lot | 122-39-085 | Évaluation des bâtiments | 0 $ CAD |
| Évaluation du terrain | 0 $ CAD | Évaluation totale | 49 438 $ CAD |
Impôts fonciers
Numéro de lot
122-39-085
Évaluation du terrain
0 $ CAD
Évaluation des bâtiments
0 $ CAD
Évaluation totale
49 438 $ CAD
1 de 13
VIDÉOS
VISITE EXTÉRIEURE 3D MATTERPORT
VISITE 3D MATTERPORT
PHOTOS
VUE DEPUIS LA RUE
RUE
CARTE
1 de 1
Présenté par
4221 S 16th St - 16th & Broadway Land
Vous êtes déjà membre? Connectez-vous
Hmm, il semble y avoir eu une erreur lors de l’envoi de votre message. Veuillez réessayer.
Merci! Votre message a été envoyé.
