Se Connecter/S’inscrire
Votre courriel a été envoyé.
Certaines informations ont été traduites automatiquement.
Faits saillants de l'investissement
- Exposition élevée, emplacement dans un coin dur
- Heart of Carmichael, emplacement souhaitable
Résumé de l'annonce
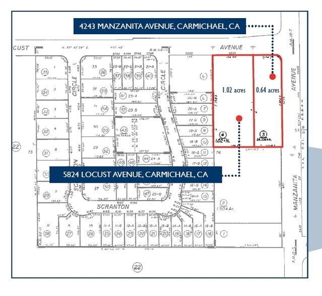
Situées stratégiquement dans un coin dur pour une exposition maximale, ces parcelles se trouvent à l'épicentre de Carmichael, un endroit très recherché pour son dynamisme communautaire et son potentiel commercial. Les services publics humides et secs sont facilement disponibles sur place, ce qui simplifie le processus de développement et réduit les coûts initiaux d'infrastructure
Faits sur la propriété
| Type de vente | Investissement | Sous-type de propriété | Terrain commercial |
| Nombre de lots | 1 | Utilisation proposée | Commercial |
| Type de propriété | Terrain | Taille totale du lot | 1,66 AC |
| Zonage | LC - Commercial limité | ||
| Type de vente | Investissement |
| Nombre de lots | 1 |
| Type de propriété | Terrain |
| Sous-type de propriété | Terrain commercial |
| Utilisation proposée | Commercial |
| Taille totale du lot | 1,66 AC |
| Zonage | LC - Commercial limité |
1 Lot disponible
Lot
| Taille du lot | 1,66 AC |
| Taille du lot | 1,66 AC |
Description
Utilitaires humides et secs disponibles
1 1
Walk Score®
Très pratique à pied (75)
Bike Score®
Très cyclable (74)
Impôts fonciers
| Numéro de lot | 230-0710-003 | Évaluation des bâtiments | 51 068 $ CAD |
| Évaluation du terrain | 129 073 $ CAD | Évaluation totale | 180 142 $ CAD |
Impôts fonciers
Numéro de lot
230-0710-003
Évaluation du terrain
129 073 $ CAD
Évaluation des bâtiments
51 068 $ CAD
Évaluation totale
180 142 $ CAD
1 de 4
Vidéos
Visite extérieure 3D Matterport
Visite 3D Matterport
Photos
Vue depuis la rue
Rue
Carte
1 de 1
Présenté par
4243 Manzanita Ave
Vous êtes déjà membre? Connectez-vous
Hmm, il semble y avoir eu une erreur lors de l’envoi de votre message. Veuillez réessayer.
Merci! Votre message a été envoyé.
Votre message a été envoyé !
Activez votre compte LoopNet dès maintenant pour suivre les propriétés, recevoir des alertes en temps réel, gagner du temps sur vos demandes futures et bien plus encore.



