Se Connecter/S’inscrire
Votre courriel a été envoyé.
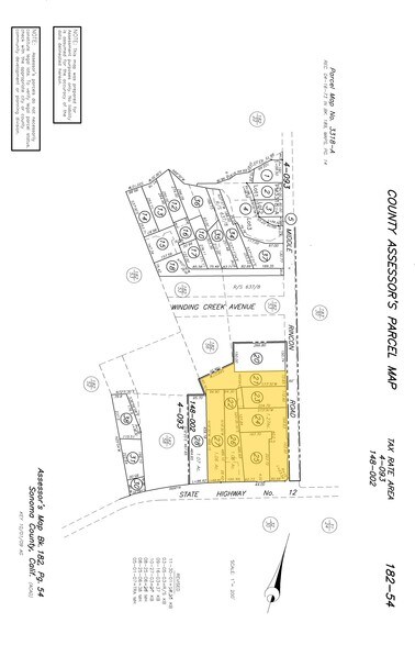
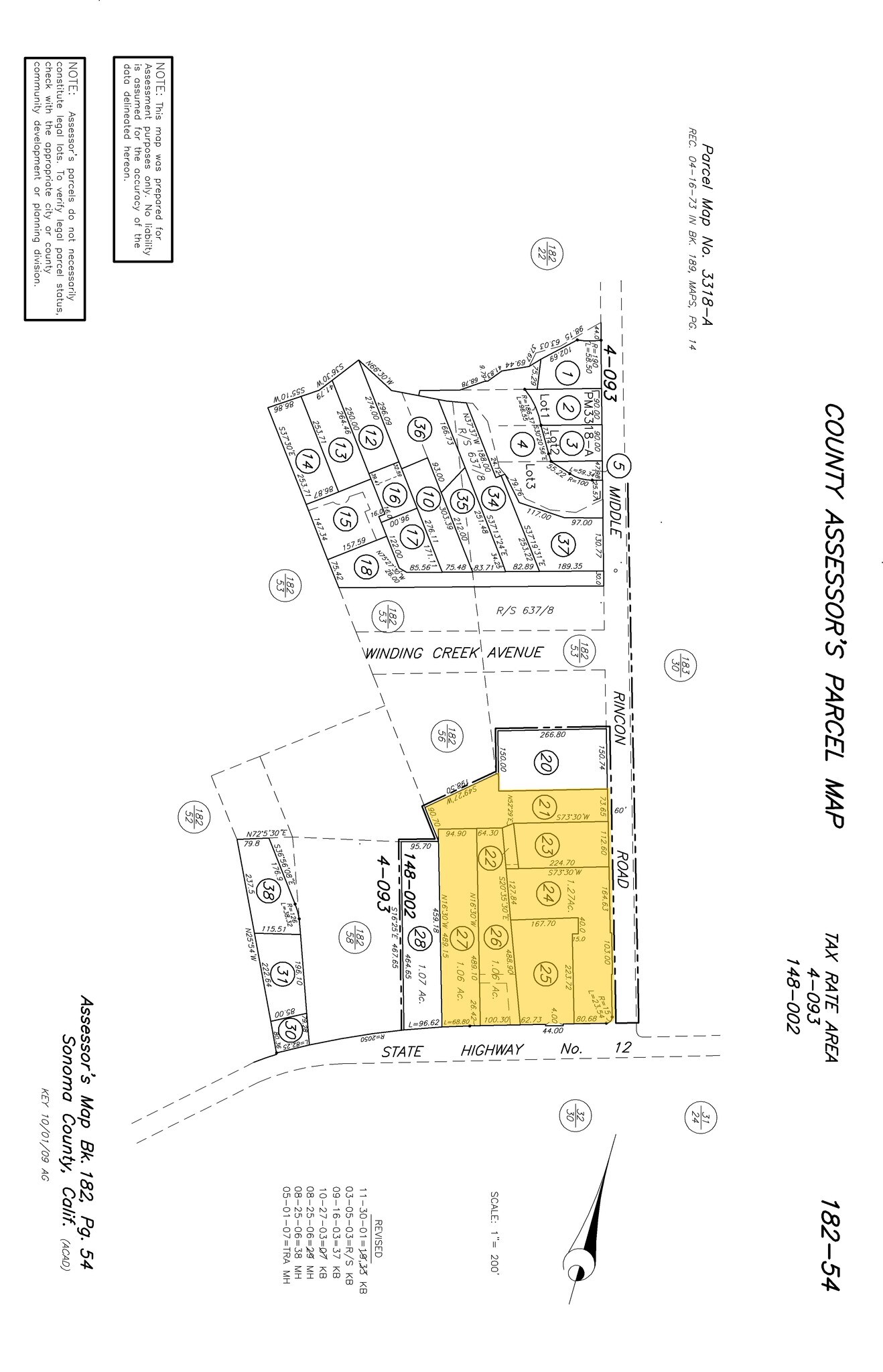
43 Middle Rincon Rd
Santa Rosa, CA 95409
Terrain À vendre
·
5,35 AC

Certaines informations ont été traduites automatiquement.
Faits saillants de l'investissement
- Ideally suited for townhouse or multifamily development or a mix of either with a commercial component.
- ±2.72 Acres Zoned R-1-6 (Low Density Residential)
- High traffic location with strong demographics
- ±2.63 Acres Zoned CG (General Commercial)
- Frontage on both Sonoma Highway and Middle Rincon Road
- Four Schools within 1.2 miles of the property
Faits sur la propriété
| Type de vente | Investissement | Sous-type de propriété | Terrain commercial |
| Nombre de lots | 1 | Utilisation proposée | Commerce de détail |
| Type de propriété | Terrain | Taille totale du lot | 5,35 AC |
| Zonage | C2 | ||
| Type de vente | Investissement |
| Nombre de lots | 1 |
| Type de propriété | Terrain |
| Sous-type de propriété | Terrain commercial |
| Utilisation proposée | Commerce de détail |
| Taille totale du lot | 5,35 AC |
| Zonage | C2 |
1 Lot disponible
Lot
| Taille du lot | 5,35 AC |
| Taille du lot | 5,35 AC |
±5.35 Acre Development Opportunity in Santa Rosa, CA
Impôts fonciers
| Numéros de lot | Évaluation des bâtiments | 397 570 $ CAD | |
| Évaluation du terrain | 7 020 102 $ CAD | Évaluation totale | 7 417 672 $ CAD |
Impôts fonciers
Numéros de lot
Évaluation du terrain
7 020 102 $ CAD
Évaluation des bâtiments
397 570 $ CAD
Évaluation totale
7 417 672 $ CAD
1 de 2
Vidéos
Visite extérieure 3D Matterport
Visite 3D Matterport
Photos
Vue depuis la rue
Rue
Carte
