Se Connecter/S’inscrire
Votre courriel a été envoyé.
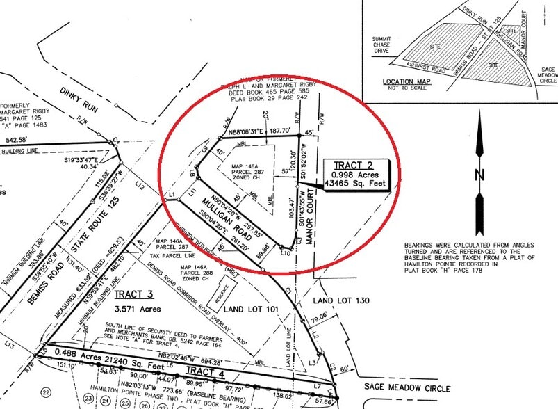
4300 Bemiss - Bemiss Rd & Mulligan 1-acre Lot Lot • Terrain commercial • 0,99 Acres • 536 714 $ CAD • Valdosta, GA 31605



Certaines informations ont été traduites automatiquement.
Faits saillants de l'investissement
- Près d'un acre complet, lot commercial d'angle, corridor ou artère principal du chemin Bemiss, 372 pi de façade routière totale.
Résumé de l'annonce
Excellent terrain commercial en coin avec une coupe médiane très importante sur le chemin Bemiss très fréquenté. Entre Valdosta et Moody AFB. Bonne taille et bonne empreinte, zonage C-H, façade abondante (372 pi) sur deux routes, eau et égout du comté à proximité, trafic élevé (24 600 par jour), beaucoup de toits et de commerces tout autour, et plus encore à venir. Beaucoup de nouvelles activités commerciales sont en cours dans ce sous-marché en plein essor. Taxes estimées. Adresse estimée. Plante jointe - Partie 2.
Bilan financier (Réel - 2025) |
Annuel (CAD) | Annuel par AC (CAD) |
|---|---|---|
| Taxes |
2 216 $
|
2 238,54 $
|
| Dépenses d’exploitation |
-
|
-
|
| Total des dépenses |
2 216 $
|
2 238,54 $
|
Bilan financier (Réel - 2025)
| Taxes (CAD) | |
|---|---|
| Annuel | 2 216 $ |
| Annuel par AC | 2 238,54 $ |
| Dépenses d’exploitation (CAD) | |
|---|---|
| Annuel | - |
| Annuel par AC | - |
| Total des dépenses (CAD) | |
|---|---|
| Annuel | 2 216 $ |
| Annuel par AC | 2 238,54 $ |
Faits sur la propriété
1 Lot disponible
Lot
| Prix | 536 714 $ CAD | Taille du lot | 0,99 AC |
| Prix par AC | 542 135,51 $ CAD |
| Prix | 536 714 $ CAD |
| Prix par AC | 542 135,51 $ CAD |
| Taille du lot | 0,99 AC |
Terrain d'angle commercial de 0,998 acre avec une façade routière totale de 372 pi.
1 1
Plutôt praticable à pied
30/100
Exceptionnellement facile d’accès en voiture
90/100
Assez praticable en vélo
20/100
Impôts fonciers
| Numéro de lot | 0146A-288 | Évaluation totale | 95 900 $ CAD |
| Évaluation du terrain | 95 900 $ CAD | Impôts annuels | 2 216 $ CAD |
| Évaluation des bâtiments | 0 $ CAD | Année d’imposition | 2025 |
Impôts fonciers
Numéro de lot
0146A-288
Évaluation du terrain
95 900 $ CAD
Évaluation des bâtiments
0 $ CAD
Évaluation totale
95 900 $ CAD
Impôts annuels
2 216 $ CAD
Année d’imposition
2025
1 de 7
Vidéos
Visite extérieure 3D Matterport
Visite 3D Matterport
Photos
Vue depuis la rue
Rue
Carte
1 de 1
Présenté par
4300 Bemiss - Bemiss Rd & Mulligan 1-acre Lot
Vous êtes déjà membre? Connectez-vous
Hmm, il semble y avoir eu une erreur lors de l’envoi de votre message. Veuillez réessayer.
Merci! Votre message a été envoyé.
