Se Connecter/S’inscrire
Votre courriel a été envoyé.
Certaines informations ont été traduites automatiquement.
Faits saillants de l'investissement
- Utilities and curb cuts already in place
Résumé de l'annonce
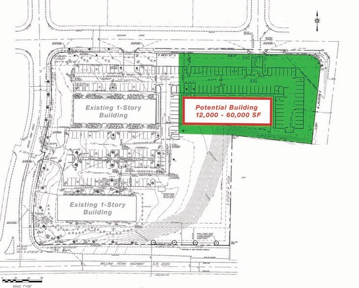
Entièrement approuvé pour un bâtiment d'un seul étage de 12 000 PF avec un potentiel de construction jusqu'à cinq étages totalisant 60 000 PF
Faits sur la propriété
| Type de vente | Investissement | Sous-type de propriété | Terrain commercial |
| Nombre de lots | 1 | Utilisation proposée | Bureau |
| Type de propriété | Terrain | Taille totale du lot | 1,40 AC |
| Zonage | OB - Bureau avec superposition d'amélioration commerciale | ||
| Type de vente | Investissement |
| Nombre de lots | 1 |
| Type de propriété | Terrain |
| Sous-type de propriété | Terrain commercial |
| Utilisation proposée | Bureau |
| Taille totale du lot | 1,40 AC |
| Zonage | OB - Bureau avec superposition d'amélioration commerciale |
1 Lot disponible
Lot
| Taille du lot | 1,40 AC |
| Taille du lot | 1,40 AC |
1 1
Assez praticable à pied
40/100
Exceptionnellement facile d’accès en voiture
100/100
Transports en commun limités
30/100
Plutôt praticable en vélo
40/100
1 de 4
Vidéos
Visite extérieure 3D Matterport
Visite 3D Matterport
Photos
Vue depuis la rue
Rue
Carte
1 de 1
Présenté par
4317 Easton Ave
Vous êtes déjà membre? Connectez-vous
Hmm, il semble y avoir eu une erreur lors de l’envoi de votre message. Veuillez réessayer.
Merci! Votre message a été envoyé.



