Se Connecter/S’inscrire
Votre courriel a été envoyé.
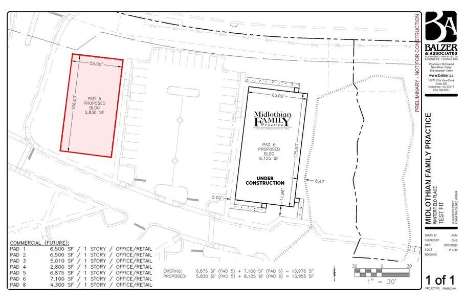
440 Winterplace Way - 440 Winterplace Way Lot • Terrain commercial • 0,77 Acres • Midlothian, VA 23113



Certaines informations ont été traduites automatiquement.
Faits sur la propriété
| Type de vente | Investissement | Sous-type de propriété | Terrain commercial |
| Nombre de lots | 1 | Utilisation proposée | |
| Type de propriété | Terrain | Taille totale du lot | 0,77 AC |
| Zonage | VC-PD | ||
| Type de vente | Investissement |
| Nombre de lots | 1 |
| Type de propriété | Terrain |
| Sous-type de propriété | Terrain commercial |
| Utilisation proposée | |
| Taille totale du lot | 0,77 AC |
| Zonage | VC-PD |
1 Lot disponible
Lot
| Taille du lot | 0,77 AC |
| Taille du lot | 0,77 AC |
Description
The corner outparcel at the main entrance to The Winterfield Place mixed-use development is pad ready for a new building. Prime for development of retail or office. The site supports a building size up to 5,830 SF. Excellent connectedness located one mile from SR 288, less than a 30 minute drive to Richmond and a one hour drive to Charlottesville. The site features medical office, retail, and 200 luxury apartment units.
1 1
1 de 4
Vidéos
Visite extérieure 3D Matterport
Visite 3D Matterport
Photos
Vue depuis la rue
Rue
Carte
1 de 1
Présenté par
440 Winterplace Way - 440 Winterplace Way
Vous êtes déjà membre? Connectez-vous
Hmm, il semble y avoir eu une erreur lors de l’envoi de votre message. Veuillez réessayer.
Merci! Votre message a été envoyé.
Votre message a été envoyé !
Activez votre compte LoopNet dès maintenant pour suivre les propriétés, recevoir des alertes en temps réel, gagner du temps sur vos demandes futures et bien plus encore.
