Se Connecter/S’inscrire
Votre courriel a été envoyé.
Certaines informations ont été traduites automatiquement.
FAITS SUR LA PROPRIÉTÉ
| Type de vente | Investissement | Sous-type de propriété | Terrain commercial |
| Nombre de lots | 1 | Utilisation proposée | |
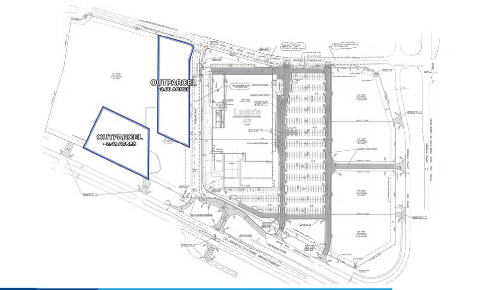
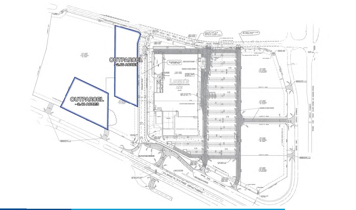
| Type de propriété | Terrain | Taille totale du lot | 5,08 AC |
| Type de vente | Investissement |
| Nombre de lots | 1 |
| Type de propriété | Terrain |
| Sous-type de propriété | Terrain commercial |
| Utilisation proposée | |
| Taille totale du lot | 5,08 AC |
1 LOT DISPONIBLE
Lot
| Taille du lot | 5,08 AC |
| Taille du lot | 5,08 AC |
1 1
Impôts fonciers
| Numéro de lot | 33-05-38-0-004-004.003 | Évaluation des bâtiments | 2 450 127 $ CAD |
| Évaluation du terrain | 717 605 $ CAD | Évaluation totale | 3 167 732 $ CAD |
Impôts fonciers
Numéro de lot
33-05-38-0-004-004.003
Évaluation du terrain
717 605 $ CAD
Évaluation des bâtiments
2 450 127 $ CAD
Évaluation totale
3 167 732 $ CAD
1 de 2
VIDÉOS
VISITE EXTÉRIEURE 3D MATTERPORT
VISITE 3D MATTERPORT
PHOTOS
VUE DEPUIS LA RUE
RUE
CARTE
1 de 1
Présenté par
4401 Rangeline Rd - Lowe's Outparcel E
Vous êtes déjà membre? Connectez-vous
Hmm, il semble y avoir eu une erreur lors de l’envoi de votre message. Veuillez réessayer.
Merci! Votre message a été envoyé.

