Se Connecter/S’inscrire
Votre courriel a été envoyé.
Certaines informations ont été traduites automatiquement.
Résumé de l'annonce
This property is great for QSR! Owner will consider owner financing.
Faits sur la propriété
| Prix | 513 401 $ CAD | Utilisation proposée | Commercial |
| Type de vente | Investissement | Taille totale du lot | 0,09 AC |
| Nombre de lots | 1 | Nombre d’étages | 1 |
| Type de propriété | Terrain | Zone de développement économique |
Oui
|
| Sous-type de propriété | Terrain commercial | ||
| Zonage | PUD-CM - Communauté de Développement à Unité Planifiée | ||
| Prix | 513 401 $ CAD |
| Type de vente | Investissement |
| Nombre de lots | 1 |
| Type de propriété | Terrain |
| Sous-type de propriété | Terrain commercial |
| Utilisation proposée | Commercial |
| Taille totale du lot | 0,09 AC |
| Nombre d’étages | 1 |
| Zone de développement économique |
Oui |
| Zonage | PUD-CM - Communauté de Développement à Unité Planifiée |
1 Lot disponible
Lot
| Prix | 513 401 $ CAD | Taille du lot | 0,09 AC |
| Prix par AC | 5 590 962,03 $ CAD |
| Prix | 513 401 $ CAD |
| Prix par AC | 5 590 962,03 $ CAD |
| Taille du lot | 0,09 AC |
1 1
Impôts fonciers
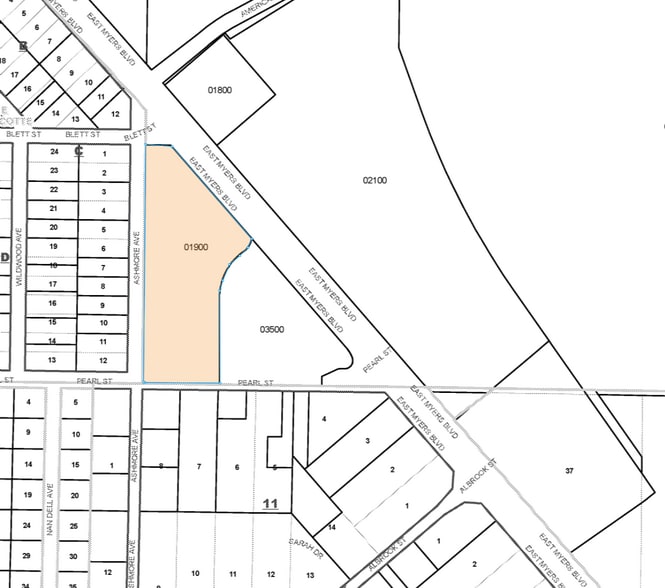
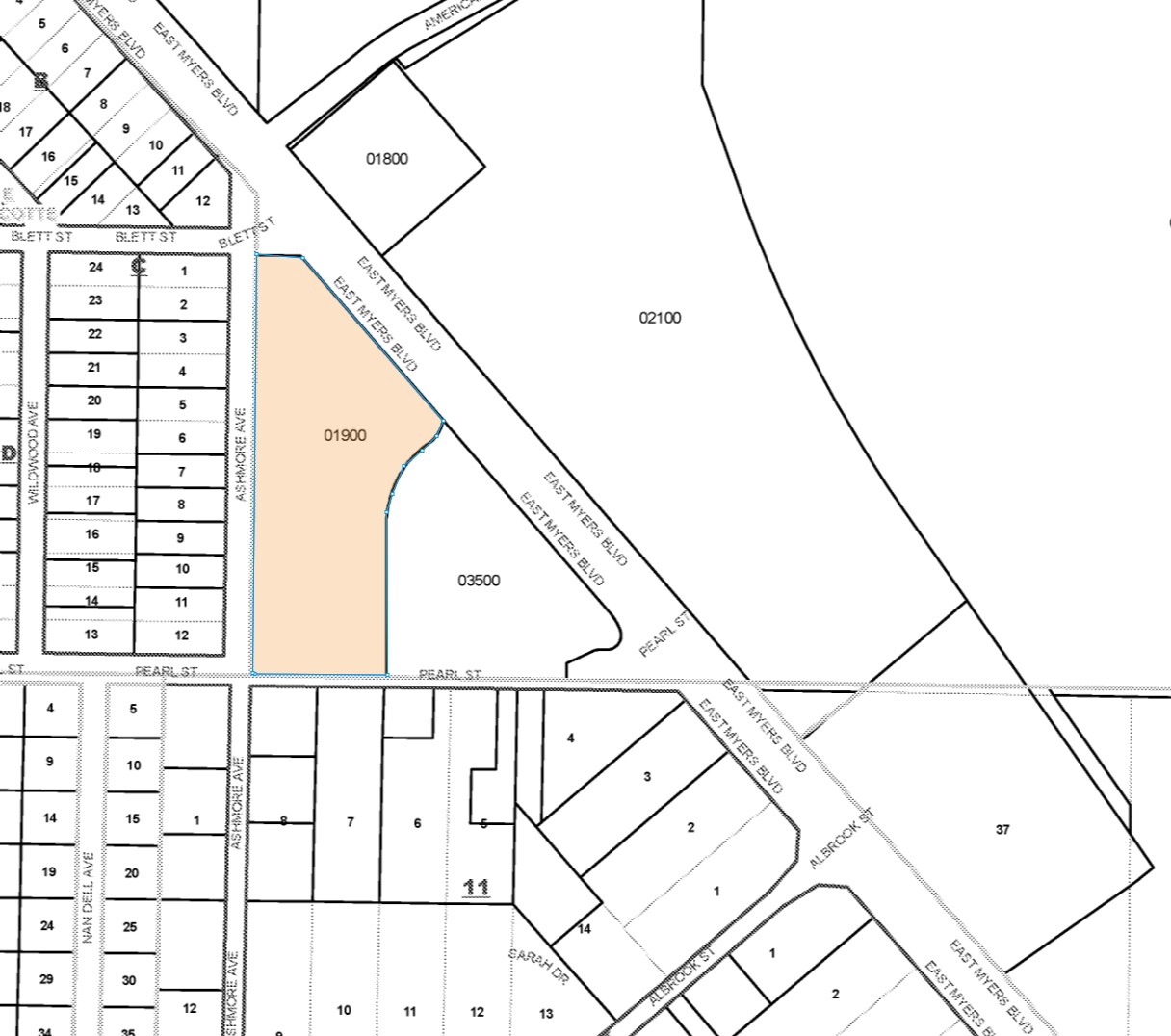
| Numéro de lot | 14-22-24-0002-000-01900 | Évaluation des bâtiments | 629 667 $ CAD |
| Évaluation du terrain | 1 005 324 $ CAD | Évaluation totale | 1 634 991 $ CAD |
Impôts fonciers
Numéro de lot
14-22-24-0002-000-01900
Évaluation du terrain
1 005 324 $ CAD
Évaluation des bâtiments
629 667 $ CAD
Évaluation totale
1 634 991 $ CAD
1 de 2
Vidéos
Visite extérieure 3D Matterport
Visite 3D Matterport
Photos
Vue depuis la rue
Rue
Carte
1 de 1
Présenté par
441 E Myers Blvd
Vous êtes déjà membre? Connectez-vous
Hmm, il semble y avoir eu une erreur lors de l’envoi de votre message. Veuillez réessayer.
Merci! Votre message a été envoyé.

