Se Connecter/S’inscrire
Votre courriel a été envoyé.
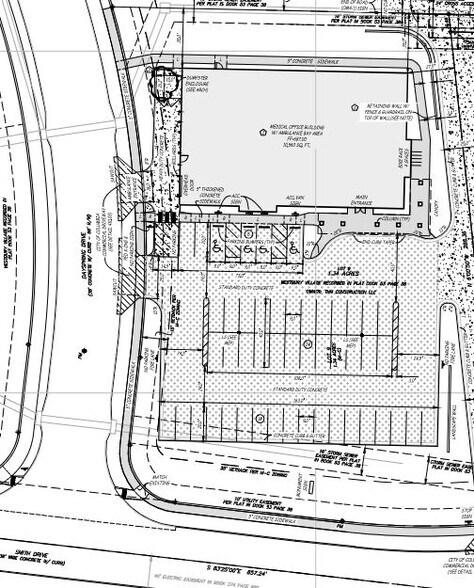
4421 Dayspring - Westbury Village Lot 9 - Medical Office Immeuble de 10 560 pi² • Soins de santé • À vendre 2 925 096 $ CAD • Columbia, MO 65203



Certaines informations ont été traduites automatiquement.
Résumé de l'annonce
Lot 9 located in the new Westbury Village on the southwest side of Columbia MO for Sale. Plans permitted by the City are 100% complete ready for construction. This lot is a Build to Suit for a Medical office that would be an ideal location for a hospital system with an ambulance bay, primary care clinic, or physical therapy clinic.
Faits sur la propriété
| Prix | 2 925 096 $ CAD | Taille du lot | 2,47 AC |
| Prix par lit | 2 925 096 $ CAD | État de la construction | En construction |
| Type de vente | Investissement ou propriétaire utilisateur | Taille du bâtiment | 10 560 pi² |
| Condition de vente | Construction sur mesure | Nbre de lits | 1 |
| Type de propriété | Soins de santé | Nombre d’étages | 1 |
| Classe d’immeuble | B | Année de construction | 2026 |
| Zonage | M-C - Commercial médical | ||
| Prix | 2 925 096 $ CAD |
| Prix par lit | 2 925 096 $ CAD |
| Type de vente | Investissement ou propriétaire utilisateur |
| Condition de vente | Construction sur mesure |
| Type de propriété | Soins de santé |
| Classe d’immeuble | B |
| Taille du lot | 2,47 AC |
| État de la construction | En construction |
| Taille du bâtiment | 10 560 pi² |
| Nbre de lits | 1 |
| Nombre d’étages | 1 |
| Année de construction | 2026 |
| Zonage | M-C - Commercial médical |
1 1
Assez praticable à pied
40/100
Très facile d’accès en voiture
80/100
Plutôt praticable en vélo
50/100
Impôts fonciers
| Numéro de lot | 16-412-00-04-003-00 | Évaluation des bâtiments | 0 $ CAD |
| Évaluation du terrain | 88 447 $ CAD | Évaluation totale | 88 447 $ CAD |
Impôts fonciers
Numéro de lot
16-412-00-04-003-00
Évaluation du terrain
88 447 $ CAD
Évaluation des bâtiments
0 $ CAD
Évaluation totale
88 447 $ CAD
1 de 5
Vidéos
Visite extérieure 3D Matterport
Visite 3D Matterport
Photos
Vue depuis la rue
Rue
Carte
1 de 1
Présenté par
4421 Dayspring - Westbury Village Lot 9 - Medical Office
Vous êtes déjà membre? Connectez-vous
Hmm, il semble y avoir eu une erreur lors de l’envoi de votre message. Veuillez réessayer.
Merci! Votre message a été envoyé.
