Se Connecter/S’inscrire
Votre courriel a été envoyé.
4457 Freedom Rd - NEW PRICE! Apartments or townhomes! Lot • Terrain commercial • 5,02 Acres • 1 711 712 $ CAD • Kissimmee, FL 34746



Certaines informations ont été traduites automatiquement.
Faits saillants de l'investissement
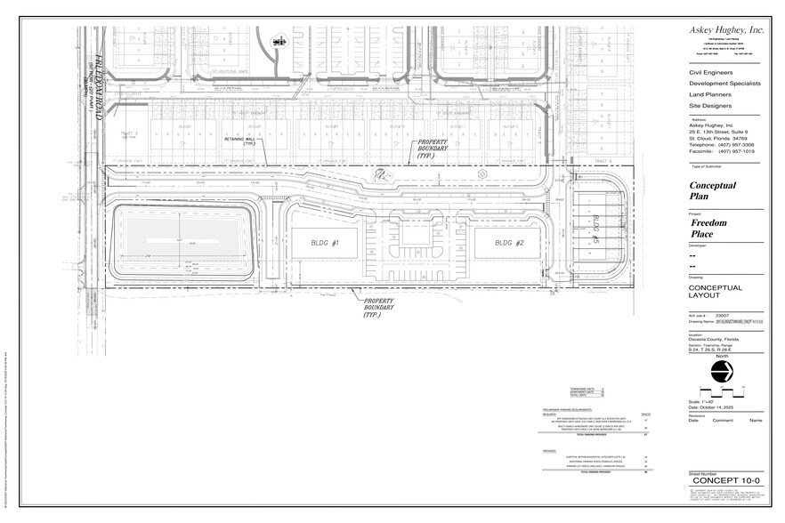
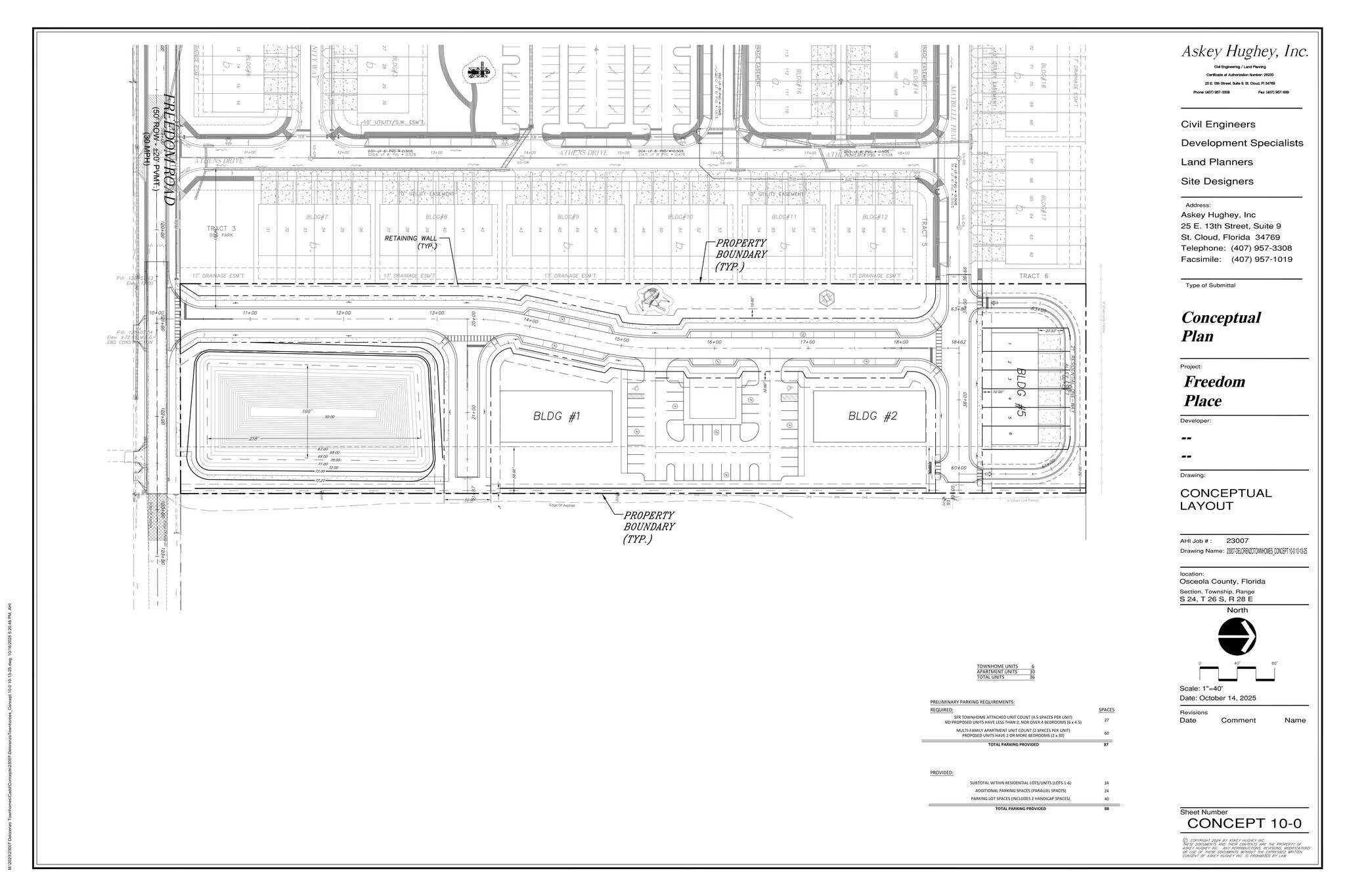
- NEW PRICE! New apartment configuration w/ 36 units under existing zoning. Or shovel-ready project with 27 units.
- Water and sewer extended down Freedom Rd, no lift station or force main required for sanitary. Engineering, soil tests, environmental tests completed.
- Site Development Plan approved by Osceola County, engineering CAD plans available, SFWMD ERP issued.
- Located off highly desirable Ham Brown Rd. Freedom Road upgraded with curbs, gutters, and sidewalks.
Résumé de l'annonce
NEW PRICE! New apartment configuration w/ 36 units under existing zoning. Or shovel-ready townhome project with 27 units.
Site Development Plan approved by Osceola County, engineering CAD plans available, SFWMD ERP issued.
Water and sewer extended down Freedom Rd, no lift station or force main required for sanitary.
Engineering, soil tests, environmental tests completed and available.
Located off highly desirable Ham Brown Rd. Freedom Road upgraded with curbs, gutters, and sidewalks.
Site Development Plan approved by Osceola County, engineering CAD plans available, SFWMD ERP issued.
Water and sewer extended down Freedom Rd, no lift station or force main required for sanitary.
Engineering, soil tests, environmental tests completed and available.
Located off highly desirable Ham Brown Rd. Freedom Road upgraded with curbs, gutters, and sidewalks.
Faits sur la propriété
| Prix | 1 711 712 $ CAD | Sous-type de propriété | Terrain commercial |
| Type de vente | Investissement ou propriétaire utilisateur | Taille totale du lot | 5,02 AC |
| Nombre de lots | 1 | Nombre d’étages | 1 |
| Type de propriété | Terrain | ||
| Zonage | R-2M | ||
| Prix | 1 711 712 $ CAD |
| Type de vente | Investissement ou propriétaire utilisateur |
| Nombre de lots | 1 |
| Type de propriété | Terrain |
| Sous-type de propriété | Terrain commercial |
| Taille totale du lot | 5,02 AC |
| Nombre d’étages | 1 |
| Zonage | R-2M |
1 Lot disponible
Lot
| Prix | 1 711 712 $ CAD | Taille du lot | 5,02 AC |
| Prix par AC | 340 978,58 $ CAD |
| Prix | 1 711 712 $ CAD |
| Prix par AC | 340 978,58 $ CAD |
| Taille du lot | 5,02 AC |
Impôts fonciers
| Numéro de lot | 24-26-28-2650-000B-0100 | Évaluation des bâtiments | 141 098 $ CAD |
| Évaluation du terrain | 304 723 $ CAD | Évaluation totale | 445 821 $ CAD |
Impôts fonciers
Numéro de lot
24-26-28-2650-000B-0100
Évaluation du terrain
304 723 $ CAD
Évaluation des bâtiments
141 098 $ CAD
Évaluation totale
445 821 $ CAD
1 de 7
Vidéos
Visite extérieure 3D Matterport
Visite 3D Matterport
Photos
Vue depuis la rue
Rue
Carte
Présenté par
4457 Freedom Rd - NEW PRICE! Apartments or townhomes!
Vous êtes déjà membre? Connectez-vous
Hmm, il semble y avoir eu une erreur lors de l’envoi de votre message. Veuillez réessayer.
Merci! Votre message a été envoyé.
Votre message a été envoyé !
Activez votre compte LoopNet dès maintenant pour suivre les propriétés, recevoir des alertes en temps réel, gagner du temps sur vos demandes futures et bien plus encore.

