Votre courriel a été envoyé.
4501 Auth Pl 77 700 pi² d'espace disponible • Industriel • Marlow Heights, MD 20746

Certaines informations ont été traduites automatiquement.
FAITS SAILLANTS
- Situé juste à côté du Beltway et à seulement un pâté de maisons de la station de métro Branch Ave, offrant une accessibilité inégalée.
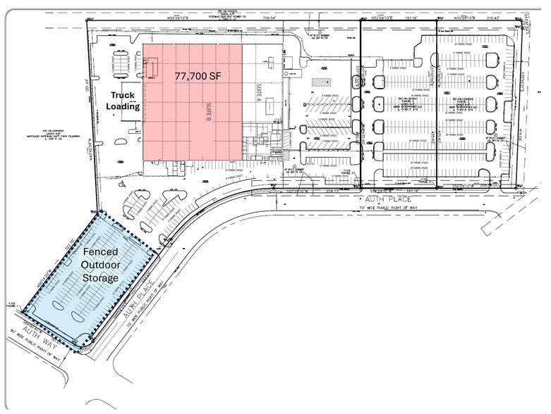
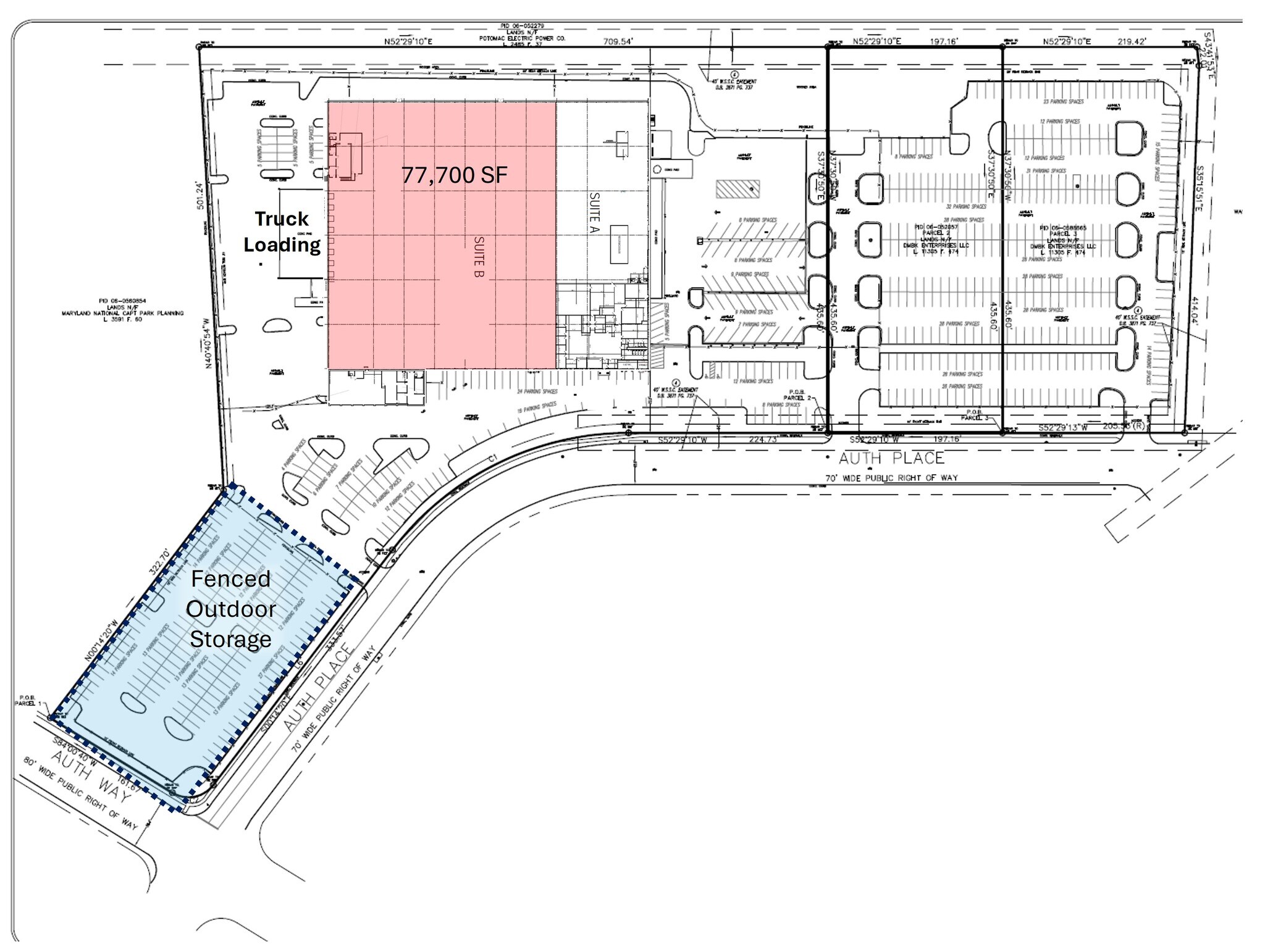
- Court pour camions de 130 pieds clôturé, éclairé et sécurisé pour une maniabilité et une sécurité optimales du véhicule.
- L'ensemble de l'installation est doté d'un éclairage à DEL éconergétique, ce qui améliore la visibilité et réduit les coûts opérationnels.
- Équipé de 8 quais de chargement entièrement entretenus et d'une porte d'entrée supplémentaire pour des opérations efficaces.
- La hauteur libre de 24 pi permet un stockage flexible et des configurations opérationnelles.
- 1,3 acre d'espace d'entreposage extérieur pavé, rayé, éclairé et clôturé pour plus de flexibilité.
CARACTÉRISTIQUES
TOUS LES ESPACES DISPONIBLES(1)
Afficher les taux de location en
- ESPACE
- TAILLE
- TERME
- TAUX DE LOCATION
- UTILISATION DE L’ESPACE
- ÉTAT
- DISPONIBLE
Opportunity to lease 77,700 SF, plus 2 acres of outside storage. Space includes 8 loading docks+ Drive-in. 130' +/- truck court. 35'w x 50'd column spacing, 24' clear ceilings, 1/1000 SF parking ratio in addition to outside storage
- Comprend 1 800 pi² d’espace de bureau dédié
- Espace en excellent état
- 8 docks
- 1 accès plain-pied
- 8 quais de chargement
| Espace | Taille | Terme | Taux de location | Utilisation de l’espace | État | Disponible |
| 1er étage | 77 700 pi² | 2-10 ans | Sur demande Sur demande Sur demande Sur demande | Industriel | construction complète | Maintenant |
1er étage
| Taille |
| 77 700 pi² |
| Terme |
| 2-10 ans |
| Taux de location |
| Sur demande Sur demande Sur demande Sur demande |
| Utilisation de l’espace |
| Industriel |
| État |
| construction complète |
| Disponible |
| Maintenant |
1er étage
| Taille | 77 700 pi² |
| Terme | 2-10 ans |
| Taux de location | Sur demande |
| Utilisation de l’espace | Industriel |
| État | construction complète |
| Disponible | Maintenant |
Opportunity to lease 77,700 SF, plus 2 acres of outside storage. Space includes 8 loading docks+ Drive-in. 130' +/- truck court. 35'w x 50'd column spacing, 24' clear ceilings, 1/1000 SF parking ratio in addition to outside storage
- Comprend 1 800 pi² d’espace de bureau dédié
- 1 accès plain-pied
- Espace en excellent état
- 8 quais de chargement
- 8 docks
APERÇU DE LA PROPRIÉTÉ
Le 4501 Auth Place à Marlow Heights, dans le Maryland, offre une installation industrielle exceptionnellement bien située avec 77 000 pi2 d'espace disponible, y compris un vaste entrepôt de 75 185 pi2 et un espace de bureaux de 1 815 pi2. La propriété dispose d'une généreuse hauteur claire de 24 pieds et d'un éclairage LED moderne, assurant un environnement de travail lumineux et efficace. Doté de 8 quais de chargement entièrement équipés, d'une porte d'entrée et d'un terrain de transport sécurisé de 130 pieds, il offre des capacités logistiques et opérationnelles sans faille. L'aire d'entreposage extérieure de 1,3 acre est pavée, clôturée et bien éclairée, ce qui ajoute à la polyvalence de la propriété. Situé juste à côté du Beltway et à un pâté de maisons de la station de métro Branch Ave, il offre une excellente connectivité, à seulement 7 milles du centre-ville de DC et d'Alexandria, et à 16 milles d'Arlington, avec un accès facile à la zone DMV plus large et à Baltimore.
FAITS SUR L’INSTALLATION ENTREPÔT
Présenté par
4501 Auth Pl
Hmm, il semble y avoir eu une erreur lors de l’envoi de votre message. Veuillez réessayer.
Merci! Votre message a été envoyé.



