Se Connecter/S’inscrire
Votre courriel a été envoyé.
4503 Hazelburn Dr
Greensboro, NC 27405
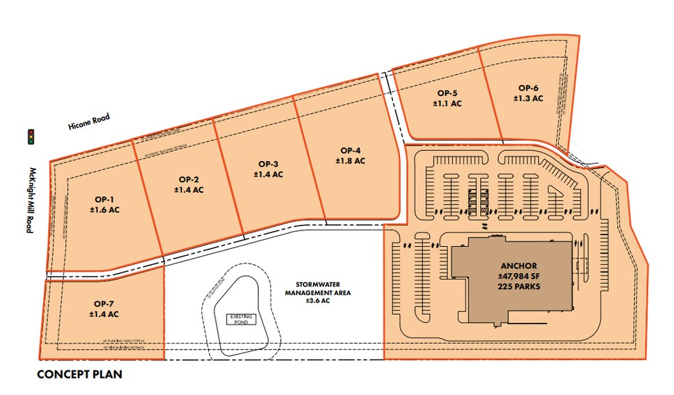
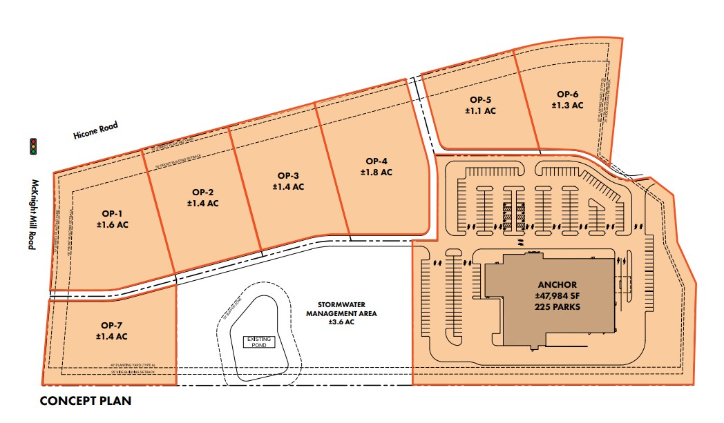
OP 7 · Terrain À louer
·
1,40 AC

Certaines informations ont été traduites automatiquement.
Faits saillants
- Rapidly growing residential and commercial trade area and is part of Guilford County’s Tier 1 Growth Plan
- Close proximity to the 2,000 acre Reedy Fork mixed-use development with 4,500 homes planned, under construction, and recently delivered
- Directly off of US-29 exit and 1 mile from newly constructed I-840 loop
- Minutes from the Browns Summit Industrial park, Bryan Park Soccer Complex and Proctor & Gamble manufacturing facility with nearly 600 employees
Faits sur la propriété
| Superficie totale disponible | 1,40 AC | Sous-type de propriété | Terrain commercial |
| Type de propriété | Terrain | Taille totale du lot | 1,40 AC |
| Superficie totale disponible | 1,40 AC |
| Type de propriété | Terrain |
| Sous-type de propriété | Terrain commercial |
| Taille totale du lot | 1,40 AC |
1 de 2
Vidéos
Visite extérieure 3D Matterport
Visite 3D Matterport
Photos
Vue depuis la rue
Rue
Carte
