Se Connecter/S’inscrire
Votre courriel a été envoyé.
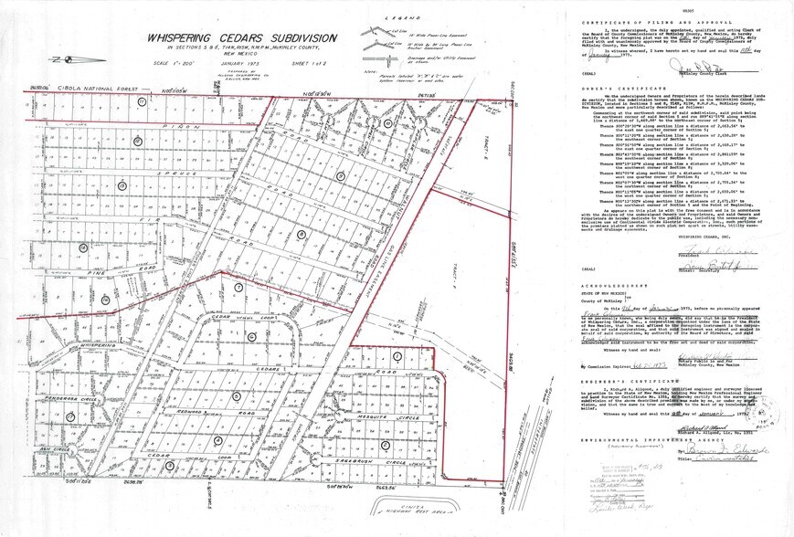
46 Whispering Cedars Rd - Whispering Cedar Subdivision - 201 Lots Lot • Résidentiel • 264 Acres • 545 704 $ CAD • Jamestown, NM 87347



Certaines informations ont été traduites automatiquement.
Faits saillants de l'investissement
- Cette belle propriété est bordée au sud et à l'est par la forêt nationale de Cibola et les monts Zuni.
- Easy access to excellent shopping and employment opportunities
- Conveniently located approximately 27 miles and only 30 minutes east of Gallup, New Mexico
- Straightforward route from I-40 to the Jamestown Exit 47 to Cedars Drive/Whispering Cedars Drive
Résumé de l'annonce
Excellentes vues. Subdivision plissée et non aménagée - 201 lots - 264,41 acres. Profitez d'un excellent accès attenant aux terrains aménagés existants, avec un itinéraire simple de l'I-40 à la sortie 47 de Jamestown jusqu'à Cedars Drive/Whispering Cedars Drive. La propriété commence par un grand terrain à l'est et au nord de la caserne de pompiers et va à l'ouest et parallèlement à la promenade Whispering Cedars. Ce lotissement plaqué et non aménagé est idéalement situé à environ 27 milles et à seulement 30 minutes à l'est de Gallup, au Nouveau-Mexique, assurant un accès facile à d'excellentes possibilités d'achat et d'emploi. Cette deuxième phase du lotissement, avec ses 201 lots et 2 parcelles de terrain sur 264,41 acres, présente une importante occasion de développement. La première phase a été achevée il y a plusieurs années, et la deuxième est prête à être élaborée. Cette belle propriété est bordée au sud et à l'est par la forêt nationale de Cibola et les monts Zuni. Les tribus amérindiennes locales, dont les Zuni, les Acoma et les Navajo, utilisent la région depuis des siècles. La forêt compte des cerfs, des wapitis, des ours, etc. Excellentes randonnées et camping. Excellente randonnée et camping.
Faits sur la propriété
| Prix | 545 704 $ CAD | Sous-type de propriété | Résidentiel |
| Type de vente | Investissement ou propriétaire utilisateur | Utilisation proposée | Développement familial unique |
| Nombre de lots | 1 | Taille totale du lot | 264,00 AC |
| Type de propriété | Terrain | ||
| Zonage | County - Comté de McKinley - Aucun zonage | ||
| Prix | 545 704 $ CAD |
| Type de vente | Investissement ou propriétaire utilisateur |
| Nombre de lots | 1 |
| Type de propriété | Terrain |
| Sous-type de propriété | Résidentiel |
| Utilisation proposée | Développement familial unique |
| Taille totale du lot | 264,00 AC |
| Zonage | County - Comté de McKinley - Aucun zonage |
1 Lot disponible
Lot
| Prix | 545 704 $ CAD | Taille du lot | 264,00 AC |
| Prix par AC | 2 067,06 $ CAD |
| Prix | 545 704 $ CAD |
| Prix par AC | 2 067,06 $ CAD |
| Taille du lot | 264,00 AC |
201 Lots sur 264,41 Acres. Prêt à se perfectionner. La phase 1, à l'est, a été élaborée. La phase 2 est plissée et non développée. Ces terrains ont un excellent accès pavé de l'Interstate 40 jusqu'à la phase 1, et ils sont boisés de pin, de pignon, de cèdre, etc.
1 1
Impraticable à pied
10/100
Exceptionnellement facile d’accès en voiture
90/100
Assez praticable en vélo
20/100
1 de 5
Vidéos
Visite extérieure 3D Matterport
Visite 3D Matterport
Photos
Vue depuis la rue
Rue
Carte
1 de 1
Présenté par
46 Whispering Cedars Rd - Whispering Cedar Subdivision - 201 Lots
Vous êtes déjà membre? Connectez-vous
Hmm, il semble y avoir eu une erreur lors de l’envoi de votre message. Veuillez réessayer.
Merci! Votre message a été envoyé.
