Se Connecter/S’inscrire
Votre courriel a été envoyé.
4609 N US 1 - High-Exposure Commercial Lot on US-1 Lot • Terrain commercial • 1,82 Acres • 885 430 $ CAD • Fort Pierce, FL 34946



Certaines informations ont été traduites automatiquement.
Faits saillants de l'investissement
- Former auto dealership lot plus two vacant commercial parcels – currently vacant and ready for redevelopment
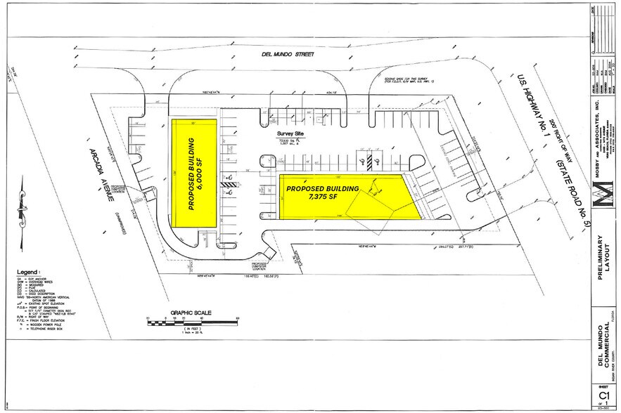
- Proposed site plans for two new commercial buildings: 6,000 SF & 7,375 SF
- Minutes from Treasure Coast International Airport and Business Park
- Zoned General Commercial (GC) – suitable for retail, office, medical, or service uses
- Excellent visibility with convenient access to Indrio Road and I-95
Résumé de l'annonce
This offering features three adjacent parcels along US Highway 1 and Del Mundo Street in Fort Pierce, FL, comprising a former auto dealership lot and two vacant commercial lots. The site is currently vacant, presenting a blank canvas for redevelopment or immediate repositioning.
The property supports a wide range of uses, including retail, office, medical, and service-oriented operations.
Exceptional visibility and convenient access to major transportation routes, including Indrio Road connecting directly to the I-95 ramp.
Minutes from the Treasure Coast International Airport and Business Park, within a rapidly growing area highlighted by the planned Coconut Cove development to the north.
Proposed site plans are available, illustrating the potential for two new commercial buildings measuring 6,000 SF and 7,375 SF, providing a strong investment opportunity for developers or investors seeking a high-visibility commercial site.
The property supports a wide range of uses, including retail, office, medical, and service-oriented operations.
Exceptional visibility and convenient access to major transportation routes, including Indrio Road connecting directly to the I-95 ramp.
Minutes from the Treasure Coast International Airport and Business Park, within a rapidly growing area highlighted by the planned Coconut Cove development to the north.
Proposed site plans are available, illustrating the potential for two new commercial buildings measuring 6,000 SF and 7,375 SF, providing a strong investment opportunity for developers or investors seeking a high-visibility commercial site.
Faits sur la propriété
1 Lot disponible
Lot
| Prix | 885 430 $ CAD | Taille du lot | 1,82 AC |
| Prix par AC | 486 500,01 $ CAD |
| Prix | 885 430 $ CAD |
| Prix par AC | 486 500,01 $ CAD |
| Taille du lot | 1,82 AC |
Three adjacent parcels along US Highway 1 and Del Mundo Street in Fort Pierce, FL, comprising a former auto dealership lot and two vacant commercial lots.
1 1
1 de 4
Vidéos
Visite extérieure 3D Matterport
Visite 3D Matterport
Photos
Vue depuis la rue
Rue
Carte
1 de 1
Présenté par
4609 N US 1 - High-Exposure Commercial Lot on US-1
Vous êtes déjà membre? Connectez-vous
Hmm, il semble y avoir eu une erreur lors de l’envoi de votre message. Veuillez réessayer.
Merci! Votre message a été envoyé.
Votre message a été envoyé !
Activez votre compte LoopNet dès maintenant pour suivre les propriétés, recevoir des alertes en temps réel, gagner du temps sur vos demandes futures et bien plus encore.
