Se Connecter/S’inscrire
Votre courriel a été envoyé.
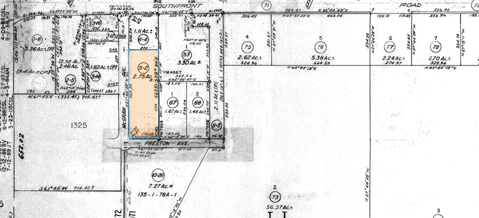
461 McGraw Ave
Livermore, CA 94551
Terrain À louer


Certaines informations ont été traduites automatiquement.
Faits saillants
- Fenced and rocked yard space suitable for secure storage or outdoor operations.
- Flexible leasing options include both short-term and long-term agreements.
- Multiple gated entrances and exits allow for convenient access and maneuverability.
- Immediate access to I-580 and excellent connectivity to I-680 and the Greater Bay Area.
Aperçu de la propriété
This industrial yard offers ±1.00 to ±2.75 acres of fenced and rocked land in Livermore, CA, designed for businesses requiring secure outdoor storage or operational flexibility. The site features multiple gated entrances and exits, enabling efficient traffic flow and easy access for large vehicles or equipment. Available immediately, the land provides a versatile solution for tenants seeking short- or long-term lease options.
Faits sur la propriété
| Superficie totale disponible | 2,75 AC | Type de propriété | Terrain |
| Min. divisible | 1,00 AC | Sous-type de propriété | Terrain industriel |
| Superficie totale disponible | 2,75 AC |
| Min. divisible | 1,00 AC |
| Type de propriété | Terrain |
| Sous-type de propriété | Terrain industriel |
1 de 5
Vidéos
Visite extérieure 3D Matterport
Visite 3D Matterport
Photos
Vue depuis la rue
Rue
Carte
