Se Connecter/S’inscrire
Votre courriel a été envoyé.
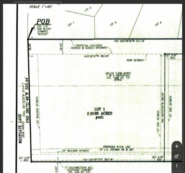
461 hwy 69 n - 2.82 acres on N LHS Drive/Hwy 287 Lot • Terrain commercial • 2,82 Acres • 1 653 000 $ CAD • Lumberton, TX 77657



Certaines informations ont été traduites automatiquement.
Faits saillants de l'investissement
- Circulation diurne intense sur la route principale N LHS et la route 90
- 18,875 VPD
- Survey Available
- +/- 355 ft of Hwy. 69 frontage
- Shared Access and Rear Access
- Within miles of Starbucks, Walmart, and other thriving businesses
Résumé de l'annonce
Options et modalités de financement disponibles sur demande.
Faits sur la propriété
| Prix | 1 653 000 $ CAD | Sous-type de propriété | Terrain commercial |
| Type de vente | Propriétaire utilisateur | Utilisation proposée | Commercial |
| Nombre de lots | 1 | Taille totale du lot | 2,82 AC |
| Type de propriété | Terrain | ||
| Zonage | C-2 | ||
| Prix | 1 653 000 $ CAD |
| Type de vente | Propriétaire utilisateur |
| Nombre de lots | 1 |
| Type de propriété | Terrain |
| Sous-type de propriété | Terrain commercial |
| Utilisation proposée | Commercial |
| Taille totale du lot | 2,82 AC |
| Zonage | C-2 |
1 Lot disponible
Lot 62293
| Prix | 1 653 000 $ CAD | Taille du lot | 2,82 AC |
| Prix par AC | 586 170,24 $ CAD |
| Prix | 1 653 000 $ CAD |
| Prix par AC | 586 170,24 $ CAD |
| Taille du lot | 2,82 AC |
Terrain d'angle de 0,282 acre avec environ 355 pieds de façade de la route 287/N LHS.
Description
Situé aux angles de l'autoroute 69 et de la voie Westgate.
1 1
Plutôt praticable à pied
30/100
Exceptionnellement facile d’accès en voiture
100/100
Assez praticable en vélo
30/100
Impôts fonciers
| Numéro de lot | 002069-000040 | Évaluation des bâtiments | 0 $ CAD |
| Évaluation du terrain | 98 353 $ CAD | Évaluation totale | 98 353 $ CAD |
Impôts fonciers
Numéro de lot
002069-000040
Évaluation du terrain
98 353 $ CAD
Évaluation des bâtiments
0 $ CAD
Évaluation totale
98 353 $ CAD
1 de 15
Vidéos
Visite extérieure 3D Matterport
Visite 3D Matterport
Photos
Vue depuis la rue
Rue
Carte
1 de 1
Présenté par
461 hwy 69 n - 2.82 acres on N LHS Drive/Hwy 287
Vous êtes déjà membre? Connectez-vous
Hmm, il semble y avoir eu une erreur lors de l’envoi de votre message. Veuillez réessayer.
Merci! Votre message a été envoyé.
