Votre courriel a été envoyé.
Certaines informations ont été traduites automatiquement.
Faits saillants de l'investissement
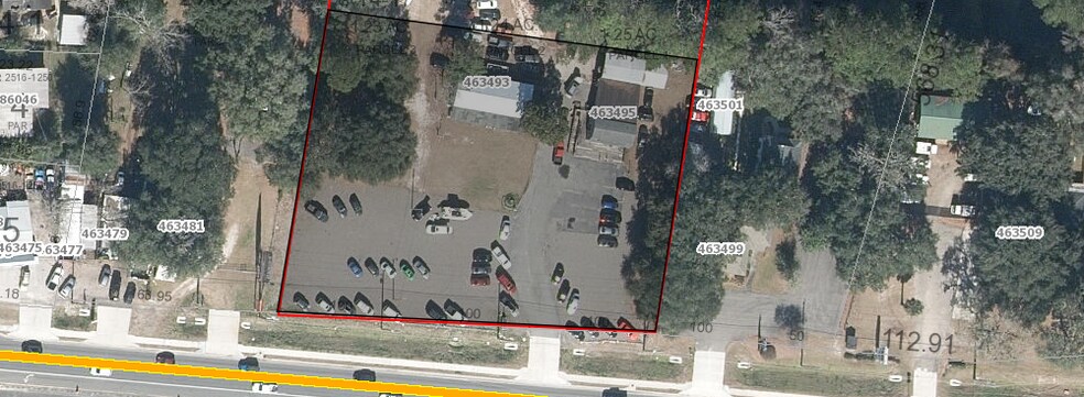
- 292 pi de façade le long de la route State 200 !
- Trafic quotidien annuel moyen de 45 500 !
Faits sur la propriété
1 Lot disponible
Lot
| Prix | 2 188 111 $ CAD | Taille du lot | 3,72 AC |
| Prix par AC | 588 201,80 $ CAD |
| Prix | 2 188 111 $ CAD |
| Prix par AC | 588 201,80 $ CAD |
| Taille du lot | 3,72 AC |
Description
Cette propriété exceptionnelle à zonage Commercial Général ouvre un monde de possibilités pour les entrepreneurs et les propriétaires d'entreprises. La désignation de zonage polyvalente permet une vaste gamme d'activités commerciales, ce qui en fait une occasion attrayante pour diverses entreprises. Que vous rêviez d'établir un établissement de vente au détail à fort trafic, un concessionnaire automobile ou la plupart des autres activités commerciales, cette propriété peut répondre à vos aspirations. L'emplacement stratégique de la propriété près des principaux itinéraires de transport et des commodités essentielles assure un afflux constant de clients potentiels, ce qui en fait une destination attrayante pour les entreprises qui cherchent à s'établir ou à élargir leur portée. Sa désignation de zonage polyvalente permet l'adaptabilité et la croissance future, ce qui en fait une occasion attrayante pour une variété d'entreprises. Adoptez les possibilités illimitées de croissance et de réussite à long terme au 463493 State Road 200. Ne manquez pas cette occasion inégalée d'obtenir une propriété commerciale qui offre à la fois l'emplacement et la flexibilité du zonage commercial général, ce qui en fait une toile exceptionnelle pour réaliser vos rêves d'entrepreneuriat.
Impôts fonciers
| Numéro de lot | 38-2N-27-0000-0014-0170 | Évaluation des bâtiments | 154 102 $ CAD (2025) |
| Évaluation du terrain | 823 021 $ CAD (2025) | Évaluation totale | 977 123 $ CAD (2025) |
Impôts fonciers
Présenté par
463493 State Road 200
Hmm, il semble y avoir eu une erreur lors de l’envoi de votre message. Veuillez réessayer.
Merci! Votre message a été envoyé.




