Se Connecter/S’inscrire
Votre courriel a été envoyé.
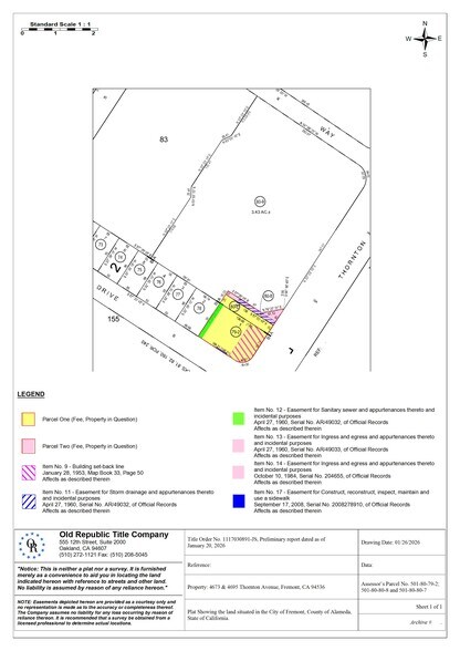
Corner Thornton Ave & Cabrillo Dr 4695 Thornton Ave 2 984 pi² Commerce de détail Immeuble Fremont, CA 94536 3 417 000 $ CAD (1 145,11 $ CAD/pi²)



Certaines informations ont été traduites automatiquement.
Faits saillants de l'investissement
- Hard signalized corner just off I-880
- Seller financing considered
- Mo-Mo Food Truck
- Lender owner property (REO)
- 23,000 Traffic Count
Résumé de l'annonce
Rare high traffic hard corner just off 880 Freeway. Lender owned asset. 23,000 Traffic County. Zoned Mixed -Use (MX). Parcels 501-80-79-2, 501-80-80-7 and 501-80-80-8. Seller financing with 20% cash down. 5.5% fixed rate. 3 year term. No prepayment penalty.
Faits sur la propriété
Type de vente
Investissement ou propriétaire utilisateur
Condition de vente
Vente du regroupement des propriétés saisies
Type de propriété
Commerce de détail
Sous-type de propriété
Taille du bâtiment
2 984 pi²
Classe d’immeuble
B
Année de construction
2009
Prix
3 417 000 $ CAD
Prix par pi²
1 145,11 $ CAD
Location
Unique
Hauteur du bâtiment
1 étage
Coefficient d’occupation des sols de l’immeuble
0,35
Taille du lot
0,19 AC
Zonage
MX - Usage mixte
Stationnement
10 places (3,35 places par 1 000 pi² loué)
Façade
111’ sur Thornton Ave
Walk Score®
Très pratique à pied (72)
Principaux détaillants à proximité
Impôts fonciers
| Numéro de lot | 501-0080-079-02 | Évaluation des bâtiments | 373 772 $ CAD |
| Évaluation du terrain | 194 737 $ CAD | Évaluation totale | 568 509 $ CAD |
Impôts fonciers
Numéro de lot
501-0080-079-02
Évaluation du terrain
194 737 $ CAD
Évaluation des bâtiments
373 772 $ CAD
Évaluation totale
568 509 $ CAD
1 de 5
Vidéos
Visite extérieure 3D Matterport
Visite 3D Matterport
Photos
Vue depuis la rue
Rue
Carte
Présenté par
Milestone Financial LLC
Corner Thornton Ave & Cabrillo Dr | 4695 Thornton Ave
Vous êtes déjà membre? Connectez-vous
Hmm, il semble y avoir eu une erreur lors de l’envoi de votre message. Veuillez réessayer.
Merci! Votre message a été envoyé.
Votre message a été envoyé !
Activez votre compte LoopNet dès maintenant pour suivre les propriétés, recevoir des alertes en temps réel, gagner du temps sur vos demandes futures et bien plus encore.
