Se Connecter/S’inscrire
Votre courriel a été envoyé.
Certaines informations ont été traduites automatiquement.
FAITS SUR LE PARC
| Superficie totale disponible | 23 600 pi² | Type de parc | Parc industriel |
| Min. divisible | 4 500 pi² |
| Superficie totale disponible | 23 600 pi² |
| Min. divisible | 4 500 pi² |
| Type de parc | Parc industriel |
TOUS LES ESPACES DISPONIBLES(4)
Afficher les taux de location en
1960 Industrial District
4711 E Richey Rd - Building A
4 900 pi²
|
Sur demande
Sur demande
Sur demande
Sur demande
Sur demande
Sur demande
Type/classe de bâtiment
Industriel/B
Sous-type de bâtiment
Entrepôt
Taille du bâtiment
4 900 pi²
Taille du lot
0,35 AC
Année de construction
2023
Hauteur libre
18’
Baies d’entrée
1
Alimentation électrique
Ampères: 4-200 Volts: 277-480 Phase: 3
- ESPACE
- TAILLE
- TERME
- TAUX DE LOCATION
- UTILISATION DE L’ESPACE
- ÉTAT
- DISPONIBLE
- Espace en excellent état
| Espace | Taille | Terme | Taux de location | Utilisation de l’espace | État | Disponible |
| 1er étage | 4 900 pi² | Négociable | Sur demande Sur demande Sur demande Sur demande | Industriel | construction partielle | Maintenant |
1960 Industrial District
4711 E Richey Rd - Building A
4 900 pi²
|
Sur demande
Sur demande
Sur demande
Sur demande
Sur demande
Sur demande
Type/classe de bâtiment
Industriel/B
Sous-type de bâtiment
Entrepôt
Taille du bâtiment
4 900 pi²
Taille du lot
0,35 AC
Année de construction
2023
Hauteur libre
18’
Baies d’entrée
1
Alimentation électrique
Ampères: 4-200 Volts: 277-480 Phase: 3
4711 E Richey Rd - 1er étage
Taille
4 900 pi²
Terme
Négociable
Taux de location
Sur demande
Sur demande
Sur demande
Sur demande
Utilisation de l’espace
Industriel
État
construction partielle
Disponible
Maintenant
1960 Industrial District
4711 E Richey Rd - Building B
5 250 pi²
|
Sur demande
Sur demande
Sur demande
Sur demande
Sur demande
Sur demande
Type/classe de bâtiment
Industriel/B
Sous-type de bâtiment
Entrepôt
Taille du bâtiment
5 250 pi²
Taille du lot
0,37 AC
Année de construction
2023
Hauteur libre
18’
Baies d’entrée
1
Alimentation électrique
Ampères: 4-200 Volts: 277-480 Phase: 3
- ESPACE
- TAILLE
- TERME
- TAUX DE LOCATION
- UTILISATION DE L’ESPACE
- ÉTAT
- DISPONIBLE
- Le taux de location ne comprend pas les services publics, les services de bâtiment ou les dépenses immobilières.
- Fully Fenced Property
- Frontage on FM 1960
- Espace en excellent état
- ±2.5 Miles from Hardy Toll Road
| Espace | Taille | Terme | Taux de location | Utilisation de l’espace | État | Disponible |
| 1er étage | 5 250 pi² | Négociable | Sur demande Sur demande Sur demande Sur demande | Industriel | construction partielle | Maintenant |
1960 Industrial District
4711 E Richey Rd - Building B
5 250 pi²
|
Sur demande
Sur demande
Sur demande
Sur demande
Sur demande
Sur demande
Type/classe de bâtiment
Industriel/B
Sous-type de bâtiment
Entrepôt
Taille du bâtiment
5 250 pi²
Taille du lot
0,37 AC
Année de construction
2023
Hauteur libre
18’
Baies d’entrée
1
Alimentation électrique
Ampères: 4-200 Volts: 277-480 Phase: 3
4711 E Richey Rd - 1er étage
Taille
5 250 pi²
Terme
Négociable
Taux de location
Sur demande
Sur demande
Sur demande
Sur demande
Utilisation de l’espace
Industriel
État
construction partielle
Disponible
Maintenant
1960 Industrial District
4711 E Richey Rd - Building C
5 950 pi²
|
Sur demande
Sur demande
Sur demande
Sur demande
Sur demande
Sur demande
Type/classe de bâtiment
Industriel/B
Sous-type de bâtiment
Entrepôt
Taille du bâtiment
5 950 pi²
Taille du lot
0,46 AC
Année de construction
2023
Hauteur libre
18’
Baies d’entrée
2
Alimentation électrique
Volts: 480 Phase: 3
- ESPACE
- TAILLE
- TERME
- TAUX DE LOCATION
- UTILISATION DE L’ESPACE
- ÉTAT
- DISPONIBLE
- Espace en excellent état
| Espace | Taille | Terme | Taux de location | Utilisation de l’espace | État | Disponible |
| 1er étage | 5 950 pi² | Négociable | Sur demande Sur demande Sur demande Sur demande | Industriel | construction partielle | Maintenant |
1960 Industrial District
4711 E Richey Rd - Building C
5 950 pi²
|
Sur demande
Sur demande
Sur demande
Sur demande
Sur demande
Sur demande
Type/classe de bâtiment
Industriel/B
Sous-type de bâtiment
Entrepôt
Taille du bâtiment
5 950 pi²
Taille du lot
0,46 AC
Année de construction
2023
Hauteur libre
18’
Baies d’entrée
2
Alimentation électrique
Volts: 480 Phase: 3
4711 E Richey Rd - 1er étage
Taille
5 950 pi²
Terme
Négociable
Taux de location
Sur demande
Sur demande
Sur demande
Sur demande
Utilisation de l’espace
Industriel
État
construction partielle
Disponible
Maintenant
1960 Industrial District
4711 E Richey Rd - Building D
4 500 à 7 500 pi²
|
Sur demande
Sur demande
Sur demande
Sur demande
Sur demande
Sur demande
Type/classe de bâtiment
Industriel/B
Sous-type de bâtiment
Entrepôt
Taille du bâtiment
7 500 pi²
Taille du lot
0,69 AC
Année de construction
2023
Construction
Métal
Hauteur libre
18’
Baies d’entrée
5
Alimentation électrique
Ampères: 4-200 Volts: 277-480 Phase: 3
- ESPACE
- TAILLE
- TERME
- TAUX DE LOCATION
- UTILISATION DE L’ESPACE
- ÉTAT
- DISPONIBLE
- Le taux de location ne comprend pas les services publics, les services de bâtiment ou les dépenses immobilières.
- Frontage on FM 1960
- ±2.5 Miles from Hardy Toll Road
- ±4,500 SF Available -Divisible into 1,500 SF Space
- ±0.5 Miles from IAH Airport
| Espace | Taille | Terme | Taux de location | Utilisation de l’espace | État | Disponible |
| 1er étage | 4 500 à 7 500 pi² | Négociable | Sur demande Sur demande Sur demande Sur demande | Industriel | espace cloisonné | Maintenant |
1960 Industrial District
4711 E Richey Rd - Building D
4 500 à 7 500 pi²
|
Sur demande
Sur demande
Sur demande
Sur demande
Sur demande
Sur demande
Type/classe de bâtiment
Industriel/B
Sous-type de bâtiment
Entrepôt
Taille du bâtiment
7 500 pi²
Taille du lot
0,69 AC
Année de construction
2023
Construction
Métal
Hauteur libre
18’
Baies d’entrée
5
Alimentation électrique
Ampères: 4-200 Volts: 277-480 Phase: 3
4711 E Richey Rd - 1er étage
Taille
4 500 à 7 500 pi²
Terme
Négociable
Taux de location
Sur demande
Sur demande
Sur demande
Sur demande
Utilisation de l’espace
Industriel
État
espace cloisonné
Disponible
Maintenant
4711 E Richey Rd - 1er étage
| Taille | 4 900 pi² |
| Terme | Négociable |
| Taux de location | Sur demande |
| Utilisation de l’espace | Industriel |
| État | construction partielle |
| Disponible | Maintenant |
- Espace en excellent état
4711 E Richey Rd - 1er étage
| Taille | 5 250 pi² |
| Terme | Négociable |
| Taux de location | Sur demande |
| Utilisation de l’espace | Industriel |
| État | construction partielle |
| Disponible | Maintenant |
- Le taux de location ne comprend pas les services publics, les services de bâtiment ou les dépenses immobilières.
- Espace en excellent état
- Fully Fenced Property
- ±2.5 Miles from Hardy Toll Road
- Frontage on FM 1960
4711 E Richey Rd - 1er étage
| Taille | 5 950 pi² |
| Terme | Négociable |
| Taux de location | Sur demande |
| Utilisation de l’espace | Industriel |
| État | construction partielle |
| Disponible | Maintenant |
- Espace en excellent état
4711 E Richey Rd - 1er étage
| Taille | 4 500 à 7 500 pi² |
| Terme | Négociable |
| Taux de location | Sur demande |
| Utilisation de l’espace | Industriel |
| État | espace cloisonné |
| Disponible | Maintenant |
- Le taux de location ne comprend pas les services publics, les services de bâtiment ou les dépenses immobilières.
- ±4,500 SF Available -Divisible into 1,500 SF Space
- Frontage on FM 1960
- ±0.5 Miles from IAH Airport
- ±2.5 Miles from Hardy Toll Road
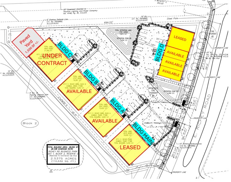
PLAN DE SITE
1 1
1 de 7
VIDÉOS
VISITE EXTÉRIEURE 3D MATTERPORT
VISITE 3D MATTERPORT
PHOTOS
VUE DEPUIS LA RUE
RUE
CARTE
1 de 1
Présenté par
1960 Industrial District | Humble, TX 77338
Vous êtes déjà membre? Connectez-vous
Hmm, il semble y avoir eu une erreur lors de l’envoi de votre message. Veuillez réessayer.
Merci! Votre message a été envoyé.



