Se Connecter/S’inscrire
Votre courriel a été envoyé.
47365 Ford Rd
Canton Township, MI 48187
12.15 ac. Ford Road, 3 Parcels, Canton Twp. · Terrain À vendre
·
12,15 AC

Certaines informations ont été traduites automatiquement.
Faits sur la propriété Sous contrat
| Type de vente | Investissement | Sous-type de propriété | Résidentiel |
| Nombre de lots | 1 | Taille totale du lot | 12,15 AC |
| Type de propriété | Terrain | ||
| Zonage | Residential | ||
| Type de vente | Investissement |
| Nombre de lots | 1 |
| Type de propriété | Terrain |
| Sous-type de propriété | Résidentiel |
| Taille totale du lot | 12,15 AC |
| Zonage | Residential |
1 Lot disponible
Lot
| Prix | 4 109 130 $ CAD | Taille du lot | 12,15 AC |
| Prix par AC | 338 199,99 $ CAD |
| Prix | 4 109 130 $ CAD |
| Prix par AC | 338 199,99 $ CAD |
| Taille du lot | 12,15 AC |
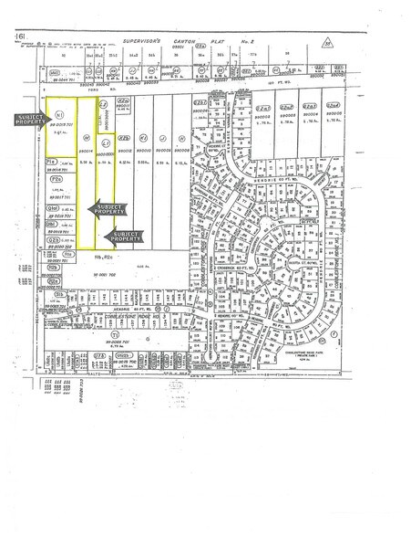
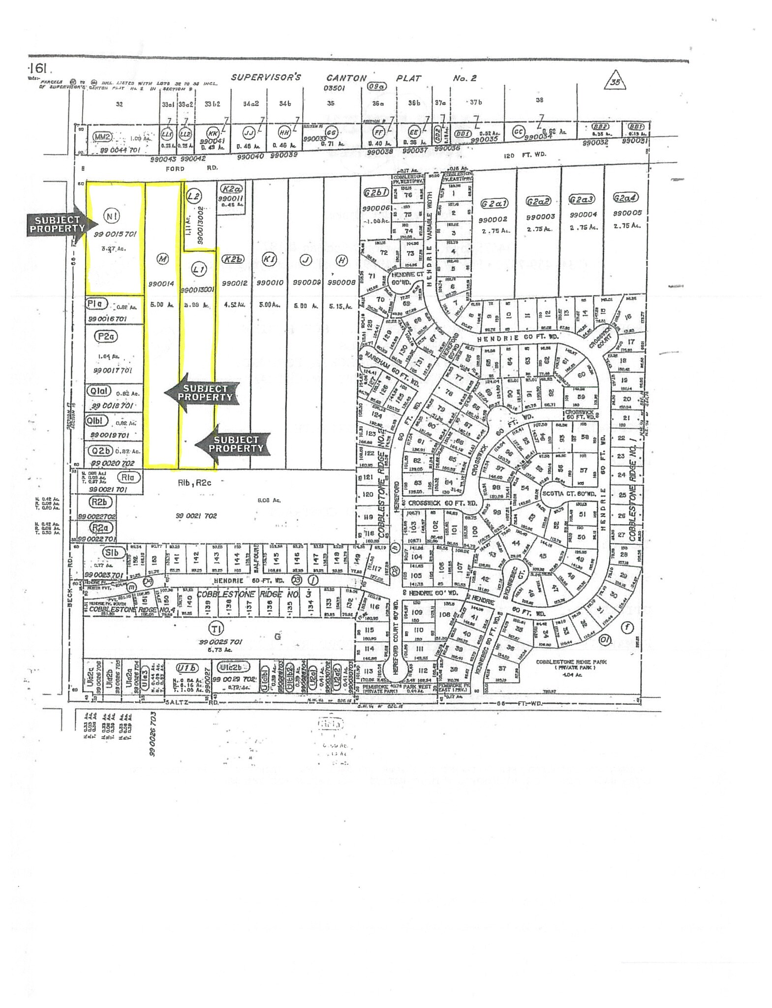
Emplacement du coin ! Biens immobiliers de premier choix sur Ford Road. Excellent emplacement avec façade de Ford Road. La vente comprend l'ID de propriété #71062990013001 (3,88 acres), l'ID de propriété #71062990014000 (5 acres) et l'ID de propriété #71062990015701 (3,27 acres).
1 de 2
Vidéos
Visite extérieure 3D Matterport
Visite 3D Matterport
Photos
Vue depuis la rue
Rue
Carte
