Votre courriel a été envoyé.
Certaines informations ont été traduites automatiquement.
Faits saillants de l'investissement
- 0.721 acre pad at 4771 Saturn Rd within active retail hub
- Excellent access to I-635 and Centerville Rd traffic corridors
- Strong exposure to I-635 with 186,336 vehicles per day nearby.
- Walkable to Walmart, Joe V’s Smart Shop, Aldi and Tom Thumb
- Urban Business zoning with broad commercial permitted uses
- For a complete list of all available properties, please visit www.ridgepcre.com
Résumé de l'annonce
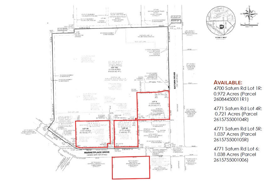
This portfolio consists of four Urban Business zoned infill pad sites totaling ± 3.77 Acres at 4700 and 4771 Saturn Rd in Garland, Texas. Lots included in this portfolio consist of Lot 1R (0.972 AC), Lot 4R (0.721 AC), Lot 5R (1.037 AC) and Lot 6 (1.038 AC), with all featuring utilities to site.
Adjacent to the nearly 300-unit Filament multifamily community and just west of the signalized Saturn Rd and Marketplace Blvd intersection
Nearby retailers include Walmart, Joe V’s Smart Shop (H-E-B), Aldi, Tom Thumb, LA Fitness, Starbuck’s, IHOP, Discount Tire, Ross, Dollar Tree, Chili’s, Braum’s, Scooter’s Coffee, Golden Corral, Stanton Optical, Olive Garden, On the Border and dozens of others.
Urban Business Uses: Permitted by right uses include retail, restaurant, office, medical and townhomes or mixed use per the Garland Development Code. Complete list of permitted uses available upon request.
For additional information, please contact David English or Jonathan Young, CCIM
For a complete list of all available properties, please visit www.ridgepcre.com
Faits sur la propriété
1 Lot disponible
Lot 4R
| Taille du lot | 0,72 AC |
| Taille du lot | 0,72 AC |
4771 Saturn Rd Lot 4R: 0.721 AC (Parcel 261575500104R) Part of a four parcel portfolio totaling ± 3.77 Acres.
Description
4771 Saturn Rd Lot 4R: 0.721 AC (Parcel 261575500104R) Part of a four parcel portfolio totaling ± 3.77 Acres Rare infill pad sites at the NWQ of I-635 and Saturn Road offer investors the opportunity to acquire development-ready land in one of Garland’s most active retail corridors. Adjacent to the newly built Filament multifamily development and surrounded by a deep lineup of national retailers and restaurants, the subject property benefits from built-in consumer demand, excellent regional access, and substantial traffic exposure. Urban Business zoning and utilities to the site support a broad range of uses, including retail, restaurant, office, medical, and mixed-use development, while the combination of strong daytime population, growing households, and a heavily trafficked corridor positions this asset for long-term value appreciation and flexible execution. This portfolio consists of four Urban Business zoned infill pad sites totaling ± 3.77 Acres at 4700 and 4771 Saturn Rd in Garland, Texas. Lots included in this portfolio consist of Lot 1R (0.972 AC), Lot 4R (0.721 AC), Lot 5R (1.037 AC) and Lot 6 (1.038 AC), with all featuring utilities to site. Adjacent to the nearly 300-unit Filament multifamily community and just west of the signalized Saturn Rd and Marketplace Blvd intersection Nearby retailers include Walmart, Joe V’s Smart Shop (H-E-B), Aldi, Tom Thumb, LA Fitness, Starbuck’s, IHOP, Discount Tire, Ross, Dollar Tree, Chili’s, Braum’s, Scooter’s Coffee, Golden Corral, Stanton Optical, Olive Garden, On the Border and dozens of others. Urban Business Uses: Permitted by right uses include retail, restaurant, office, medical and townhomes or mixed use per the Garland Development Code. Complete list of permitted uses available upon request. For additional information, please contact David English or Jonathan Young, CCIM For a complete list of all available properties, please visit www.ridgepcre.com
Impôts fonciers
| Numéro de lot | 261575500104R0000 | Évaluation des bâtiments | 0 $ CAD |
| Évaluation du terrain | 298 556 $ CAD | Évaluation totale | 298 556 $ CAD |
Impôts fonciers
Présenté par
4771 Saturn Rd
Hmm, il semble y avoir eu une erreur lors de l’envoi de votre message. Veuillez réessayer.
Merci! Votre message a été envoyé.



