Se Connecter/S’inscrire
Votre courriel a été envoyé.
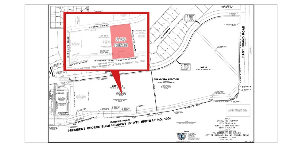
4780 N George Bush Hwy - Freeway Commercial PAD site 2.36 ACRES Lot • Terrain commercial • 2,36 Acres • 3 049 931 $ CAD • Garland, TX 75044



Certaines informations ont été traduites automatiquement.
Faits saillants de l'investissement
- Prime Frontage & Visibility on George Bush Highway Highly visible site w/ strong daily exposure and natural wayfinding, ideal for retail, medical, QSR
- Last Remaining Outparcel Final opportunity to control the last available commercial pad within the larger Regional DMV Corridor
Résumé de l'annonce
The George Bush Highway corridor is seeing meaningful new density from Firewheel Community, plus continued local demand the new Super Regional DMV with over 1,100 appointments daily. As rooftops increase, the market typically experiences a lag in neighborhood-serving commercial supply—creating a strong opening for well-located sites that can deliver daily-needs retail and services.
In practical terms, more residents means:
1. higher convenience retail demand (food, pharmacy, personal services)
2. increased need for medical/dental/urgent care
3. stronger performance for QSR and fast casual
4. improved absorption for multi-tenant neighborhood centers
This site offers a timely chance to develop in front of that demand curve—on one of the corridor’s most visible remaining commercial pads.
This 2.36-acre commercial outparcel sits in a high-demand corridor off George Bush Highway, positioned to capture both daily commuter traffic and rooftop-driven neighborhood spending. The surrounding trade area is experiencing continued residential buildout and reinvestment, which increases the need for convenient retail, medical, service, and restaurant options close to where people live and travel.
For a buyer, the appeal is straightforward: scarcity + visibility + growth. This parcel is a clean, flexible opportunity to deliver the next “needed” use in the market, whether that’s a medical user, QSR, daycare, service retail, or neighborhood strip.
In practical terms, more residents means:
1. higher convenience retail demand (food, pharmacy, personal services)
2. increased need for medical/dental/urgent care
3. stronger performance for QSR and fast casual
4. improved absorption for multi-tenant neighborhood centers
This site offers a timely chance to develop in front of that demand curve—on one of the corridor’s most visible remaining commercial pads.
This 2.36-acre commercial outparcel sits in a high-demand corridor off George Bush Highway, positioned to capture both daily commuter traffic and rooftop-driven neighborhood spending. The surrounding trade area is experiencing continued residential buildout and reinvestment, which increases the need for convenient retail, medical, service, and restaurant options close to where people live and travel.
For a buyer, the appeal is straightforward: scarcity + visibility + growth. This parcel is a clean, flexible opportunity to deliver the next “needed” use in the market, whether that’s a medical user, QSR, daycare, service retail, or neighborhood strip.
Faits sur la propriété
1 Lot disponible
Lot 1
| Prix | 3 049 931 $ CAD | Taille du lot | 2,36 AC |
| Prix par AC | 1 292 343,53 $ CAD |
| Prix | 3 049 931 $ CAD |
| Prix par AC | 1 292 343,53 $ CAD |
| Taille du lot | 2,36 AC |
2.36 ACRE | $22 psf | $2,261,000
Description
AVAILABLE: 2.36 ACRES | $22 psf | $2,261,000 Lot 1: SOLD - NATIONAL PRE-SCHOOL Lot 2: SOLD - MEDICAL Lot 3: SOLD - MEDICAL
1 1
Impôts fonciers
| Numéro de lot | 26045000010050100 | Évaluation des bâtiments | 0 $ CAD |
| Évaluation du terrain | 2 833 341 $ CAD | Évaluation totale | 2 833 341 $ CAD |
Impôts fonciers
Numéro de lot
26045000010050100
Évaluation du terrain
2 833 341 $ CAD
Évaluation des bâtiments
0 $ CAD
Évaluation totale
2 833 341 $ CAD
1 de 7
Vidéos
Visite extérieure 3D Matterport
Visite 3D Matterport
Photos
Vue depuis la rue
Rue
Carte
1 de 1
Présenté par
4780 N George Bush Hwy - Freeway Commercial PAD site 2.36 ACRES
Vous êtes déjà membre? Connectez-vous
Hmm, il semble y avoir eu une erreur lors de l’envoi de votre message. Veuillez réessayer.
Merci! Votre message a été envoyé.
Votre message a été envoyé !
Activez votre compte LoopNet dès maintenant pour suivre les propriétés, recevoir des alertes en temps réel, gagner du temps sur vos demandes futures et bien plus encore.
