Se Connecter/S’inscrire
Votre courriel a été envoyé.
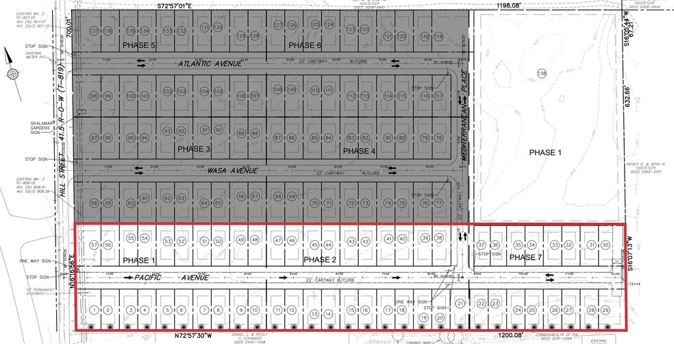
48 Pacific Ave 28 Unité Immeuble d’appartements À vendre Milroy, PA 17063



Certaines informations ont été traduites automatiquement.
Faits saillants de l'investissement
- 28-Unit Residential Investment Opportunity
- In-Place NOI: $259,550 (Stabilized Portion)
- Modern Duplex-Style Workforce Housing Product
- 19 Units Stabilized and 9 Units Vacant
- Ability to Increase NOI Through Lease-Up of Vacant Units
- Limited Competing Supply in Submarket
Résumé de l'annonce
Shalamar Gardens, located near State College, PA, presents a opportunity to acquire a partially stabilized residential asset with both immediate cash flow and near-term upside. The offering includes 28 units within a larger 57-unit completed community, consisting of 19 fully leased units generating $259,550in NOI and nine (9) currently vacant units that provide a clear path to increased income through lease-up.
Located in Milroy, the asset benefits from direct access to the State College, PA economic base, anchored by Penn State University, Mount Nittany health, and a diverse mix of government, education, and private sector employers. This demand profile supports strong leasing activity and long-term occupancy stability. Further, the combination of in-place income and lease-up potential allows investors to enhance returns by stabilizing the remaining units in a proven and established community.
In addition to the current offering, investors may pursue a sperate acquisition of Phase 2, fully approved for 80 additional units, providing long-term scalability. Shalamar Gardens offers a unique blend of day-one income and value-add upside in a resilient Central Pennsylvania market.
Located in Milroy, the asset benefits from direct access to the State College, PA economic base, anchored by Penn State University, Mount Nittany health, and a diverse mix of government, education, and private sector employers. This demand profile supports strong leasing activity and long-term occupancy stability. Further, the combination of in-place income and lease-up potential allows investors to enhance returns by stabilizing the remaining units in a proven and established community.
In addition to the current offering, investors may pursue a sperate acquisition of Phase 2, fully approved for 80 additional units, providing long-term scalability. Shalamar Gardens offers a unique blend of day-one income and value-add upside in a resilient Central Pennsylvania market.
Faits sur la propriété
| Type de vente | Investissement | Classe d’immeuble | C |
| Nombre d’unités | 28 | Taille du lot | 0,35 AC |
| Type de propriété | Immeuble residentiel | Taille du bâtiment | 2 196 pi² |
| Sous-type de propriété | Appartement | Nombre d’étages | 1 |
| Style d’appartement | Jardin | Année de construction | 2005 |
| Type de vente | Investissement |
| Nombre d’unités | 28 |
| Type de propriété | Immeuble residentiel |
| Sous-type de propriété | Appartement |
| Style d’appartement | Jardin |
| Classe d’immeuble | C |
| Taille du lot | 0,35 AC |
| Taille du bâtiment | 2 196 pi² |
| Nombre d’étages | 1 |
| Année de construction | 2005 |
Unité renseignements sur le mélange
| Description | Nombre d’unités | Loyer moyen/mois | pi² |
|---|---|---|---|
| 3+2 | 28 | - | - |
Plutôt praticable à pied
20/100
Exceptionnellement facile d’accès en voiture
100/100
Assez praticable en vélo
30/100
1 de 4
Vidéos
Visite extérieure 3D Matterport
Visite 3D Matterport
Photos
Vue depuis la rue
Rue
Carte
Présenté par
48 Pacific Ave
Vous êtes déjà membre? Connectez-vous
Hmm, il semble y avoir eu une erreur lors de l’envoi de votre message. Veuillez réessayer.
Merci! Votre message a été envoyé.

