Votre courriel a été envoyé.
Bldg 3 4865 E Franklin Rd 1 500–18 000 pi² d'espace disponible • Commerce de détail • Nampa, ID 83687



Certaines informations ont été traduites automatiquement.
FAITS SAILLANTS
- NEW Highway visible strip retail w/ drive thrus
DISPONIBILITÉ DES ESPACES (2)
Afficher les taux de location en
- ESPACE
- TAILLE
- PLAFOND
- TERME
- TAUX DE LOCATION
- TYPE DE LOYER
| Espace | Taille | Plafond | Terme | Taux de location | Type de loyer | |
| 1er étage, ste A | 1 500 à 9 000 pi² | 15’ | 5-10 ans | Sur demande Sur demande Sur demande Sur demande | Loyer hypernet | |
| 1er étage, ste B | 1 500 à 9 000 pi² | 15’ | 5-10 ans | Sur demande Sur demande Sur demande Sur demande | Loyer hypernet |
1er étage, ste A
New High Visibility Strip retail. Delivery Summer 2026. Very busy daytime site, adjacent to New Interstate-84 exit in Nampa, Idaho. Drive thrus (2) and Patio endcaps (2) available for Lease. 1,500 sf - 9,000 sf contiguous. Common Grease Trap. Rt 16 Central Valley Expressway will tie the Interstate with the Northwest Boombergs of Boise ID, specifically, Eagle, Meridian, Star, Middleton and Emmett. Landlord to deliver a "vanilla-shell" inclusive of restrooms plus a negotiable TI Allowance, and in this instance, the Landlord group is willing to do the full build out for a group with reasonably strong financials in an "open books" manner + OHP (inquire with broker).
- Le taux de location ne comprend pas les services publics, les services de bâtiment ou les dépenses immobilières.
- Espace embout très recherché
- Air central et chauffage
- Salle de bains privée
- Plafonds finis: 15’
- Service au volant
- Aération – Ventilation
- Two (2) drive - thrus available
- pylon sign
1er étage, ste B
New High Visibility Strip retail. Delivery Summer 2026. Very busy daytime site, adjacent to New Interstate-84 exit in Nampa, Idaho. Drive thrus (2) and Patio endcaps (2) available for Lease. 1,500 sf - 9,000 sf contiguous. Common Grease Trap. Rt 16 Central Valley Expressway will tie the Interstate with the Northwest Boombergs of Boise ID, specifically, Eagle, Meridian, Star, Middleton and Emmett. Landlord to deliver a "vanilla-shell" inclusive of restrooms plus a negotiable TI Allowance, and in this instance, the Landlord group is willing to do the full build out for a group with reasonably strong financials in an "open books" manner + OHP (inquire with broker).
- Le taux de location ne comprend pas les services publics, les services de bâtiment ou les dépenses immobilières.
- Espace embout très recherché
- Air central et chauffage
- Plafonds finis: 15’
- Service au volant
- Aération – Ventilation
- drive-thru
- common grease trap
- end cap
- patio
- pylon sign
Types de loyers
Le type et le montant du loyer que le locataire (preneur) est tenu de payer au propriétaire (bailleur) sur la durée du bail sont négociés avant la signature du bail par les deux parties. Le type de loyer varie selon les services fournis. Par exemple, le prix d’un loyer hypernet est habituellement inférieur à celui d’un bail à service complet puisque le locataire est tenu d’assumer des dépenses additionnelles par rapport au loyer de base. Contactez le courtier inscripteur pour tout connaître sur les frais connexes et additionnels associés à chaque type de loyer.
1. Service complet: Un taux de location qui comprend des services standards liés à l’immeuble fournis par le propriétaire dans le cadre d’une location annuelle de base.
2. Loyer supernet: Le locataire paie seulement deux des frais de l’immeuble. Le propriétaire et le locataire déterminent ces frais spécifiques avant la signature du bail.
3. Loyer hypernet: Un bail en vertu duquel le locataire est responsable de tous les frais liés à sa part proportionnelle d’occupation de l’immeuble.
4. Brut modifié: Le loyer brut modifié désigne un type général de taux de location dans lequel le locataire est habituellement responsable de sa part proportionnelle d’un ou de plusieurs frais. C’est le propriétaire qui paie les frais restants. Considérez les structures tarifaires courantes suivantes applicables aux loyers bruts modifiés: 4. Plus les services: Un type de bail brut modifié suivant lequel le locataire est responsable de sa part proportionnelle des coûts des services publics, en plus du loyer. 4. Plus le nettoyage: Un type de bail brut modifié suivant lequel le locataire est responsable de sa part proportionnelle des coûts de nettoyage, en plus du loyer. 4. Plus l'électricité: Un type de bail brut modifié suivant lequel le locataire est responsable de sa part proportionnelle des coûts d’électricité, en plus du loyer. 4. Plus l’électricité et le nettoyage: Un type de bail brut modifié dans lequel le locataire est responsable de sa part proportionnelle des coûts d’électricité et de nettoyage, en plus du loyer. 4. Plus les services publics et le nettoyage: Un type de bail brut modifié dans lequel le locataire est responsable de sa part proportionnelle des coûts des services publics et de nettoyage, en plus du loyer. 4. Bail industriel brut: Un type de bail brut modifié dans lequel le locataire paie un ou plusieurs des frais, en plus du loyer. Le propriétaire et le locataire déterminent ces frais spécifiques avant la signature du bail.
5. L’électricité est à la charge du locataire: Le propriétaire paie pour tous les services et le locataire est responsable de sa propre utilisation de l’éclairage et des prises électriques dans l’espace qu’il occupe.
6. Négociable ou sur demande: Cette option est utilisée lorsque le contact de location ne précise pas le type de loyer ou de service.
7. À déterminer: À déterminer ; utilisé pour les immeubles dont le type de services ou de loyer n’est pas connu, souvent quand l’immeuble n’est pas encore construit.
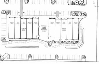
PLAN DE SITE
FAITS SUR LA PROPRIÉTÉ
| Superficie totale disponible | 18 000 pi² | Superficie commerciale brute | 18 000 pi² |
| Min. divisible | 1 500 pi² | Année de construction | 2027 |
| Type de propriété | Commerce de détail | Ratio de stationnement | 4,78/1 000 pi² |
| Sous-type de propriété | Commerce de détail | État de la construction | Proposé |
| Superficie totale disponible | 18 000 pi² |
| Min. divisible | 1 500 pi² |
| Type de propriété | Commerce de détail |
| Sous-type de propriété | Commerce de détail |
| Superficie commerciale brute | 18 000 pi² |
| Année de construction | 2027 |
| Ratio de stationnement | 4,78/1 000 pi² |
| État de la construction | Proposé |
À PROPOS DE LA PROPRIÉTÉ
Nouveau Centre Commercial - Nampa, ID, Adjacent à la nouvelle sortie de l'Interstate I-84 et à la jonction avec l'Autoroute 16/Central Valley Expressway. Livraison prévue pour l'été 2026 - Opportunités de service au volant et de terrasses en bout de bâtiment pour les restaurants à service rapide, les banques, les services, les cliniques médicales et les commerces de proximité. Situé juste à côté de l'intersection de Star Rd. et E. Franklin Rd. Rejoignez des enseignes comme Jacksons Gas Station and Food Store, Tin Roof Tacos, ainsi que des dizaines d'employeurs locaux générant un trafic quotidien, notamment Amazon, Lactalis, PepsiCo, FedEx, l'Hôpital St. Alphonsus Nampa, le Ford Idaho Center et le College of Western Idaho. ***Le propriétaire livrera un espace "prêt à aménager" incluant des toilettes, avec une allocation pour les améliorations locatives (TI) négociable. Dans ce cas précis, le groupe propriétaire est disposé à réaliser l'aménagement complet pour un locataire ayant des finances solides, dans une approche de transparence totale ("open books").
- Accès 24 heures
- Enseigne sur pylône
- Restaurant
- Service au volant
- Climatisation
PRINCIPAUX DÉTAILLANTS À PROXIMITÉ
Présenté par
Streetsmart
Bldg 3 | 4865 E Franklin Rd
Hmm, il semble y avoir eu une erreur lors de l’envoi de votre message. Veuillez réessayer.
Merci! Votre message a été envoyé.




