Se Connecter/S’inscrire
Votre courriel a été envoyé.
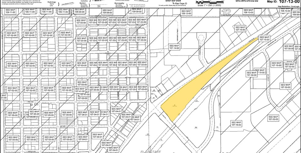
4th St & Route 66
Flagstaff, AZ 86004
4th Street Commons · Terrain À vendre
·
8,70 AC


Certaines informations ont été traduites automatiquement.
FAITS SAILLANTS DE L'INVESTISSEMENT
- Site is readily equipped with perimeter sidewalks, gutters and comprehensive utilities.
- Flagstaff is experiencing steady population growth, making it an attractive market for businesses and investors.
- Numerous retail developments surrounding location, including Chick-fil-a, Dutch Bros and Texas Roadhouse.
- The city has a thriving retail and dining scene, with national brands, local businesses, and ongoing commercial and residential developments.
FAITS SUR LA PROPRIÉTÉ
1 LOT DISPONIBLE
Lot
| Taille du lot | 8,70 AC |
| Taille du lot | 8,70 AC |
Retail pads in a great location for quick service restaurants, gas station, automotive services, shops, casual dining restaurants, and mini-anchor. Site-ready equipped with perimeter sidewalks, gutters, and comprehensive utilities.
Impôts fonciers
| Numéro de lot | 107-13-009 | Évaluation des bâtiments | 0 $ CAD |
| Évaluation du terrain | 0 $ CAD | Évaluation totale | 778 206 $ CAD |
Impôts fonciers
Numéro de lot
107-13-009
Évaluation du terrain
0 $ CAD
Évaluation des bâtiments
0 $ CAD
Évaluation totale
778 206 $ CAD
1 de 3
VIDÉOS
VISITE EXTÉRIEURE 3D MATTERPORT
VISITE 3D MATTERPORT
PHOTOS
VUE DEPUIS LA RUE
RUE
CARTE
