Votre courriel a été envoyé.
5 Tiger Lily Dr 2 906 pi² d'espace disponible • Commerce de détail • Sturry CT2 0FL



Certaines informations ont été traduites automatiquement.
Faits saillants
- Installations pour le personnel
- Zone résidentielle avoisinante occupée et en expansion
- Plan ouvert pour l'aménagement
Disponibilité de l’espace (1)
Afficher les taux de location en
- Espace
- Taille
- Terme
- Taux de location
- Type
| Espace | Taille | Terme | Taux de location | Type de loyer | ||
| RDC, ste 1 | 2 906 pi² | Négociable | 31,73 $ CAD/pi²/an 2,64 $ CAD/pi²/mois 92 205 $ CAD/an 7 684 $ CAD/mois | Réparation complète et assurance |
RDC, ste 1
The property comprises a newly constructed detached retail unit located prominently on the Buddy’s Retail Park. Of steel frame construction with brick and glazed elevations, the accommodation will provide open plan retail space on the ground floor with additional ancillary space on the first floor. The building will be available as one unit or may be divided into two self contained units. The accommodation will be left to developers shell finish so fitting out will be required by the tenant.
- Classe d’utilisation : E
- L’espace est une parcelle de terrain de cette propriété
- Cuisine
- Toilettes communes
- Détecteur de fumée
- Unité de vente au détail flambant neuve
- Stationnement hors rue
- Espace auxiliaire au premier étage
Types de services
Le type de service et le montant du loyer que le locataire (preneur) est tenu de payer au propriétaire (bailleur) sur la durée du bail sont négociés avant la signature du bail par les deux parties. Le type de service varie selon les services fournis. Contactez le courtier inscripteur pour tout connaître sur les frais connexes et additionnels associés à chaque type de service.
1. Réparations et assurances complètes: Toutes les obligations de réparer et d’assurer la propriété (ou de sa part de la propriété) à l’interne comme à l’externe.
2. Réparations internes seulement: Le locataire est responsable des réparations internes seulement. Le propriétaire est responsable des réparations structurelles et externes.
3. Réparations et assurances internes: Le locataire est responsable des réparations internes et des assurances pour les parties internes de la propriété seulement. Le propriétaire est responsable des réparations structurelles et externes.
4. Négociable ou à déterminer: Cette option est utilisée lorsque le contact de location ne fournit pas le type de service.
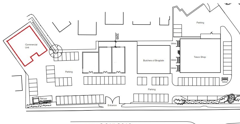
Plan de site
Faits sur la propriété
| Superficie totale disponible | 2 906 pi² | Superficie commerciale brute | 4 370 pi² |
| Type de propriété | Commerce de détail | Année de construction | 2024 |
| Sous-type de propriété | Boutique |
| Superficie totale disponible | 2 906 pi² |
| Type de propriété | Commerce de détail |
| Sous-type de propriété | Boutique |
| Superficie commerciale brute | 4 370 pi² |
| Année de construction | 2024 |
À propos de la propriété
La propriété comprend une unité de vente au détail détachée nouvellement construite située bien en vue sur le Buddies Retail Park. De construction à ossature d'acier avec élévations en briques et vitrages, le logement offrira un espace commercial ouvert au rez-de-chaussée avec des espaces auxiliaires supplémentaires au premier étage. Buddies Retail Park est situé sur la route Herne Bay, à seulement un demi-mile au nord du centre de Sturry et à 4 milles au nord-est de la ville de Canterbury. La ville balnéaire de Herne Bay, dans le nord du Kent, se trouve à 6 milles au nord.
Principaux détaillants à proximité
Présenté par
5 Tiger Lily Dr
Hmm, il semble y avoir eu une erreur lors de l’envoi de votre message. Veuillez réessayer.
Merci! Votre message a été envoyé.
