Votre courriel a été envoyé.
500 E 101st Ave
Crown Point, IN 46307
AmeriPlex at the Crossroads - Eon Lots · Terrain À vendre
·
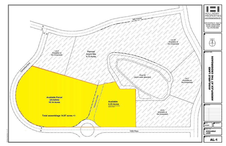
4,23 AC


Certaines informations ont été traduites automatiquement.
Faits saillants de l'investissement
- AmeriPlex à la croisée des chemins est un parc d'affaires technologique certifié Indiana Certified Technology de 386 acres à usages mixtes et planifié par un maître.
- Situé avec accès sur Broadway (S.R. 53), 93e Avenue et 101e Avenue.
- Ce parc d'affaires de premier ordre se trouve à 30 milles au sud-est de Chicago, en bordure de l'autoroute I-65 et à 1,2 mille au sud de l'autoroute 30 américaine.
- À environ 1/2 mille au sud de l'hôpital méthodiste et à seulement 1 pâté de maisons au nord du nouvel hôpital communautaire de quatre étages.
Résumé de l'annonce
Faits sur la propriété Sous contrat
1 Lot disponible
Lot 3
| Prix | 1 320 544 $ CAD | Taille du lot | 4,23 AC |
| Prix par AC | 312 185,26 $ CAD |
| Prix | 1 320 544 $ CAD |
| Prix par AC | 312 185,26 $ CAD |
| Taille du lot | 4,23 AC |
225 000 $/acre. L'infrastructure en place comprend le drainage hors site.
Description
AmeriPlex à la croisée des chemins est un parc d'affaires technologique certifié Indiana Certified Technology de 386 acres à usages mixtes et planifié par un maître. L'infrastructure en place comprend le drainage hors site, les sentiers pédestres, les égouts, l'eau, l'électricité, le gaz et les lignes de fibre optique « AT&T SmartMoves ». Ces 3 lots sont disponibles à l'achat ou le vendeur peut les construire en fonction des besoins. Le lot 1 est de 3,00 acres. Le lot 2 est de 3,76 acres. Le lot 3 est de 4,23 acres. Zonage approprié pour le bureau ou la médecine flexible. AmeriPlex à la croisée des chemins est l'un des cinq développements d'AmeriPlex dans l'État de l'Indiana. Voir le document PDF ci-joint sur Pourquoi Indiana ! IEDC Marketing de l'État pour toutes les bonnes raisons d'envisager le déménagement ou l'agrandissement de cette propriété. Ce parc d'affaires de premier choix est situé à 30 milles au sud-est de Chicago, en bordure de l'autoroute I-65 et à 1,2 mille au sud de l'autoroute 30 américaine. Situé avec accès sur Broadway (S.R.53), 93e Avenue et 101e Avenue, environ 1/2 mille au sud de l'Hôpital méthodiste et à seulement 1 pâté de maisons au nord du nouvel hôpital communautaire de 4 étages ! Delaware Street est bientôt disponible !. Le nouvel échangeur I-65 situé à la 109e Avenue est situé à 1 mille au sud. Les locataires actuellement situés dans le parc sont : Purdue Technology Center, Ivy Tech, Pinnacle Hospital, Vibra Long Term Acute Care, Law Offices, Dawn Foods, Oh Pharmaceuticals et Pipefitters Union. Delaware Parkway en voie d'être prolongée jusqu'à la 105th Street.
Impôts fonciers
| Numéro de lot | 45-12-34-377-001.000-030 | Évaluation des bâtiments | 0 $ CAD |
| Évaluation du terrain | 570 120 $ CAD | Évaluation totale | 570 120 $ CAD |
