Votre courriel a été envoyé.
Build-to-Suite 12th Street Vacant Land 5010 D Terrain à louer de 2,75–6,38 acres • Terrain commercial • Kalamazoo, MI 49009



Certaines informations ont été traduites automatiquement.
LOT Disponible
Afficher les taux de location en
| Taux de location |
|
Taille du lot | 2,75 à 6,38 AC |
| Durée du bail | 5 ans |
| Taux de location | |
| Durée du bail | 5 ans |
| Taille du lot | 2,75 à 6,38 AC |
Aperçu de la propriété
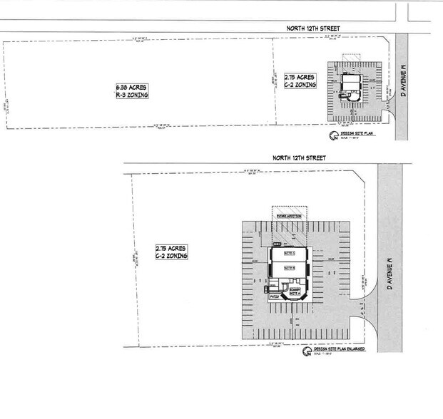
Occasion de construction sur mesure sur une propriété commerciale de premier ordre située à l'angle nord-ouest de la 12e rue et de l'avenue D. Le site comprend 2,75 acres de commerces de détail et 6,38 acres de terrains résidentiels ou multifamiliaux. Situé juste à côté de l'autoroute US-131, à la sortie de l'avenue D. Ce site est en pleine croissance avec de nouveaux aménagements à l'est et à l'ouest de l'autoroute US-131. C'est le moment idéal pour prendre part à l'excitation entourant cette sortie. Près de la station-service Love, de McDonalds et du métro. Un Biggby Coffee est à bord pour louer l'une des suites, soyez le prochain locataire !
Faits sur la propriété
| Superficie totale disponible | 6,38 AC | Sous-type de propriété | Terrain commercial |
| Min. divisible | 2,75 AC | Rues transversales | 12th & US-131 Hwy |
| Type de propriété | Terrain |
| Superficie totale disponible | 6,38 AC |
| Min. divisible | 2,75 AC |
| Type de propriété | Terrain |
| Sous-type de propriété | Terrain commercial |
| Rues transversales | 12th & US-131 Hwy |
Présenté par
Build-to-Suite 12th Street Vacant Land | 5010 D
Hmm, il semble y avoir eu une erreur lors de l’envoi de votre message. Veuillez réessayer.
Merci! Votre message a été envoyé.
