Votre courriel a été envoyé.
5013 Miriam Ave - Miriam | Platoon | Brigade | Battalion Lots • Terrain industriel • 1,33-11,39 Acre • 438 680 $-3 759 494 $ CAD par lot • Bismarck, ND 58501



Certaines informations ont été traduites automatiquement.
Faits saillants de l'investissement
- Accès facile à l'autoroute Bismarck et à l'Interstate 94
- • Industrial Park with city water & sewer
- • Zoning: MA – Light Industrial
- • Vacant land SE of the ND National Guard Armory, just off 52nd St NE
- • Easy Access to Bismarck Expressway & I-94
Résumé de l'annonce
4,75$ PI²
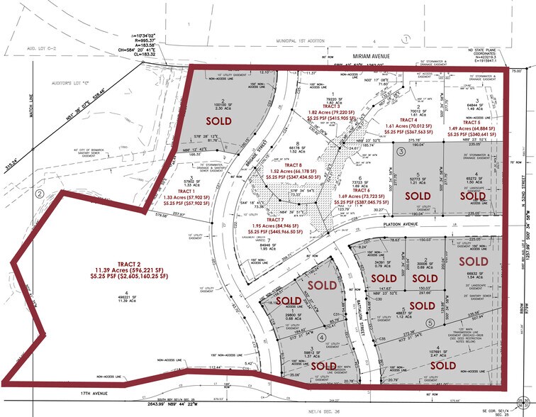
Partie 1 : 57 902 pieds carrés (1,33 acres)
Terrain 2:496 221 pi2 (11,39 acres)
Partie 3:79 200 pieds carrés (1,82 acres)
Parcelle 4:70 012 SF (1,61 Acres)
Parcelle 5 : 84 844 SF (1,49 Acres)
Parcelle 6 : 73 723 SF (1,69 acres)
Parcelle 7 : 84 946 SF (1,95 Acres)
Parcelle 8 : 66 178 SF (1,52 Acres)
Parcelle 9 : 29 943 SF (0,69 acres)
parcelle 10 : 66 932 pieds carrés (1,54 acres)
Terrain vacant - 25,03 acres ; Bismarck Est par l'armurerie de la Garde nationale
Faits sur la propriété
8 Lots disponibles
Lot Tract 1
| Prix | 438 680 $ CAD | Taille du lot | 1,33 AC |
| Prix par AC | 329 833,63 $ CAD |
| Prix | 438 680 $ CAD |
| Prix par AC | 329 833,63 $ CAD |
| Taille du lot | 1,33 AC |
Avenue Miriam, rue Brigade, avenue Platoon, rue Battalion et 52e rue près de l'Armorie de la Garde nationale de la ND Eau et égout jusqu'au bord de la propriété Industrielle légère Zonée MA
Lot Tract 2
| Prix | 3 759 494 $ CAD | Taille du lot | 11,39 AC |
| Prix par AC | 330 069,98 $ CAD |
| Prix | 3 759 494 $ CAD |
| Prix par AC | 330 069,98 $ CAD |
| Taille du lot | 11,39 AC |
• 8 Parcels varying between 1.33 acres – 11.39 acres • Vacant land SE of the ND National Guard Armory, just off 52nd St NE • Industrial Park with city water & sewer • Easy Access to Bismarck Expressway & I-94 • Zoning: MA – Light Industrial
Lot Tract 3
| Prix | 600 191 $ CAD | Taille du lot | 1,82 AC |
| Prix par AC | 329 775,93 $ CAD |
| Prix | 600 191 $ CAD |
| Prix par AC | 329 775,93 $ CAD |
| Taille du lot | 1,82 AC |
• 8 Parcels varying between 1.33 acres – 11.39 acres • Vacant land SE of the ND National Guard Armory, just off 52nd St NE • Industrial Park with city water & sewer • Easy Access to Bismarck Expressway & I-94 • Zoning: MA – Light Industrial
Lot Tract 4
| Prix | 530 346 $ CAD | Taille du lot | 1,61 AC |
| Prix par AC | 329 405,48 $ CAD |
| Prix | 530 346 $ CAD |
| Prix par AC | 329 405,48 $ CAD |
| Taille du lot | 1,61 AC |
• 8 Parcels varying between 1.33 acres – 11.39 acres • Vacant land SE of the ND National Guard Armory, just off 52nd St NE • Industrial Park with city water & sewer • Easy Access to Bismarck Expressway & I-94 • Zoning: MA – Light Industrial
Lot Tract 5
| Prix | 491 577 $ CAD | Taille du lot | 1,49 AC |
| Prix par AC | 329 919,95 $ CAD |
| Prix | 491 577 $ CAD |
| Prix par AC | 329 919,95 $ CAD |
| Taille du lot | 1,49 AC |
• 8 Parcels varying between 1.33 acres – 11.39 acres • Vacant land SE of the ND National Guard Armory, just off 52nd St NE • Industrial Park with city water & sewer • Easy Access to Bismarck Expressway & I-94 • Zoning: MA – Light Industrial
Lot Tract 6
| Prix | 558 543 $ CAD | Taille du lot | 1,69 AC |
| Prix par AC | 330 500,90 $ CAD |
| Prix | 558 543 $ CAD |
| Prix par AC | 330 500,90 $ CAD |
| Taille du lot | 1,69 AC |
• 8 Parcels varying between 1.33 acres – 11.39 acres • Vacant land SE of the ND National Guard Armory, just off 52nd St NE • Industrial Park with city water & sewer • Easy Access to Bismarck Expressway & I-94 • Zoning: MA – Light Industrial
Lot Tract 7
| Prix | 643 572 $ CAD | Taille du lot | 1,95 AC |
| Prix par AC | 330 037,17 $ CAD |
| Prix | 643 572 $ CAD |
| Prix par AC | 330 037,17 $ CAD |
| Taille du lot | 1,95 AC |
• 8 Parcels varying between 1.33 acres – 11.39 acres • Vacant land SE of the ND National Guard Armory, just off 52nd St NE • Industrial Park with city water & sewer • Easy Access to Bismarck Expressway & I-94 • Zoning: MA – Light Industrial
Lot Tract 8
| Prix | 501 381 $ CAD | Taille du lot | 1,52 AC |
| Prix par AC | 329 857,07 $ CAD |
| Prix | 501 381 $ CAD |
| Prix par AC | 329 857,07 $ CAD |
| Taille du lot | 1,52 AC |
• 8 Parcels varying between 1.33 acres – 11.39 acres • Vacant land SE of the ND National Guard Armory, just off 52nd St NE • Industrial Park with city water & sewer • Easy Access to Bismarck Expressway & I-94 • Zoning: MA – Light Industrial
Description
4,75$ PI² Eau et égout jusqu'au bord de la propriété
Impôts fonciers
| Numéros de lot | Évaluation des bâtiments | 0 $ CAD | |
| Évaluation du terrain | 1 042 354 $ CAD | Évaluation totale | 1 042 354 $ CAD |
Impôts fonciers
Présenté par
5013 Miriam Ave - Miriam | Platoon | Brigade | Battalion
Hmm, il semble y avoir eu une erreur lors de l’envoi de votre message. Veuillez réessayer.
Merci! Votre message a été envoyé.

