Se Connecter/S’inscrire
Votre courriel a été envoyé.
503 N West St - Vacant Land Lot • Terrain commercial • 1,7 Acres • 1 659 795 $ CAD • Bushnell, FL 33513


Certaines informations ont été traduites automatiquement.
FAITS SAILLANTS DE L'INVESTISSEMENT
- Intersection signalée
- Près de la US Hwy 301
- Près de I-75
FAITS SUR LA PROPRIÉTÉ
1 LOT DISPONIBLE
Lot
| Prix | 1 659 795 $ CAD | Taille du lot | 1,70 AC |
| Prix par AC | 976 350,14 $ CAD |
| Prix | 1 659 795 $ CAD |
| Prix par AC | 976 350,14 $ CAD |
| Taille du lot | 1,70 AC |
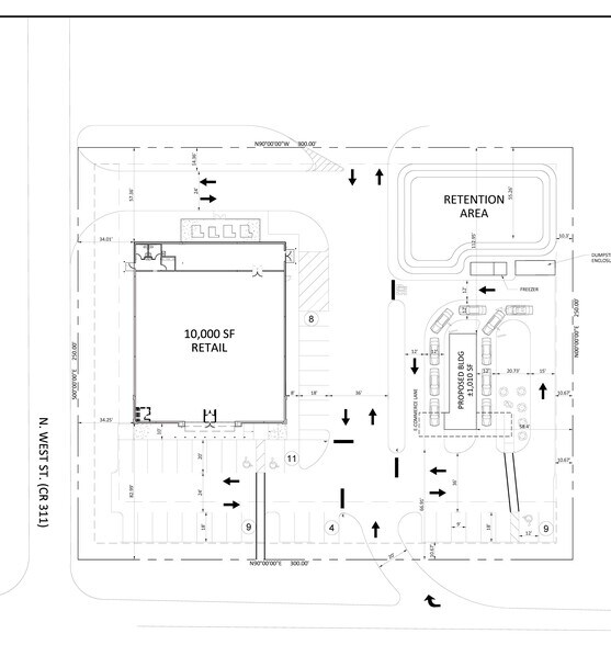
Terrain d'angle de 9 acres disponible avec rétention hors site adjacent à un nouveau Checkers Build. Intersection signalée
DESCRIPTION
CONSTRUIRE SUR PLACE OU BAIL AU SOL. .9 Acre Hard Corner à une intersection avec signalisation à côté d'un projet NEW CHECKERS à Bushnell. Conservation hors site fournie. Situation centrale à 1,25 milles à l'est de l'I-75, sortie 314 et 1/2 mille à l'ouest de l'autoroute 301.
1 1
1 de 3
VIDÉOS
VISITE EXTÉRIEURE 3D MATTERPORT
VISITE 3D MATTERPORT
PHOTOS
VUE DEPUIS LA RUE
RUE
CARTE
1 de 1
Présenté par
503 N West St - Vacant Land
Vous êtes déjà membre? Connectez-vous
Hmm, il semble y avoir eu une erreur lors de l’envoi de votre message. Veuillez réessayer.
Merci! Votre message a été envoyé.
