Votre courriel a été envoyé.
510 & 514 N Brentwood Drive - Walmart & Sam's Anchored Commercial Pad Sites Lot • Terrain commercial • 0,94 Acres • 1 131 517 $ CAD • Lufkin, TX 75904



Certaines informations ont été traduites automatiquement.
FAITS SAILLANTS DE L'INVESTISSEMENT
- Prime commercial development opportunity along US 59 near US 287 (S John Reddit Drive)
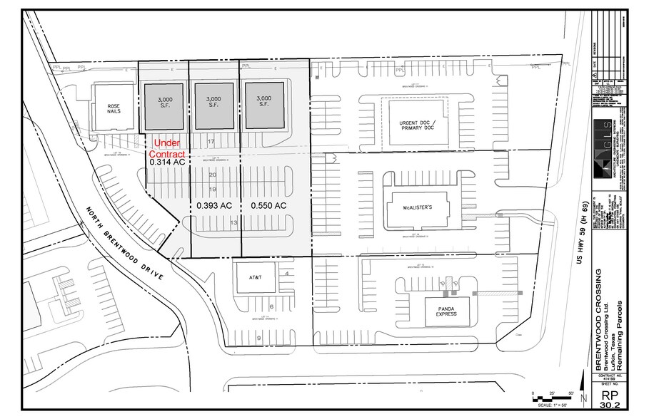
- Power Center anchored by Sams’ Club, Walmart, Tractor Supply, national brands like Starbucks, Raising Canes, McAllister’s, Outback, AT&T, and Panda
- Situated in major retail corridor near Lufkin Mall, PetSmart, The Home Depot, Hobby Lobby, and Academy
- Pad Sites with commercial zoning, full utilities, off-site detention, and ready for construction
- US 59 is primary route between Houston and East Texas and Louisiana
- 0.95 AC pad site can be purchased or divided into two smaller pads, up to 6,000 SF building size
RÉSUMÉ DE L'ANNONCE
FAITS SUR LA PROPRIÉTÉ
| Prix | 1 131 517 $ CAD | Sous-type de propriété | Terrain commercial |
| Type de vente | Investissement | Utilisation proposée | Commercial |
| Nombre de lots | 1 | Taille totale du lot | 0,94 AC |
| Type de propriété | Terrain | ||
| Zonage | Commercial District | ||
| Prix | 1 131 517 $ CAD |
| Type de vente | Investissement |
| Nombre de lots | 1 |
| Type de propriété | Terrain |
| Sous-type de propriété | Terrain commercial |
| Utilisation proposée | Commercial |
| Taille totale du lot | 0,94 AC |
| Zonage | Commercial District |
1 LOT DISPONIBLE
Lot 11
| Prix | 1 131 517 $ CAD | Taille du lot | 0,94 AC |
| Prix par AC | 1 203 741,13 $ CAD |
| Prix | 1 131 517 $ CAD |
| Prix par AC | 1 203 741,13 $ CAD |
| Taille du lot | 0,94 AC |
DESCRIPTION
Occasion exceptionnelle pour développer dans l’un des corridors commerciaux les plus recherchés de Lufkin. Ces terrains commerciaux sont stratégiquement situés le long de l’US 59 près de l’US 287, offrant une visibilité et un accès remarquables. Avec des enseignes nationales majeures telles que Walmart, Sam’s Club, Tractor Supply, Starbucks et bien d’autres, cet emplacement garantit un fort achalandage et une grande interaction avec les consommateurs. - **Emplacement à fort achalandage** – L’US 59 accueille plus de 34 800 véhicules par jour - **Prêt pour le développement** – Zonage commercial, services publics et bassin de rétention hors site déjà en place - **Options flexibles** – Terrain de 0,94 acre (divisible en 0,39 et 0,55 acre), permettant la construction d’un bâtiment jusqu’à 6 000 pi² - **Pôle commercial** – À proximité du Lufkin Mall, Home Depot, Hobby Lobby et Academy
Présenté par
510 & 514 N Brentwood Drive - Walmart & Sam's Anchored Commercial Pad Sites
Hmm, il semble y avoir eu une erreur lors de l’envoi de votre message. Veuillez réessayer.
Merci! Votre message a été envoyé.

