Se Connecter/S’inscrire
Votre courriel a été envoyé.
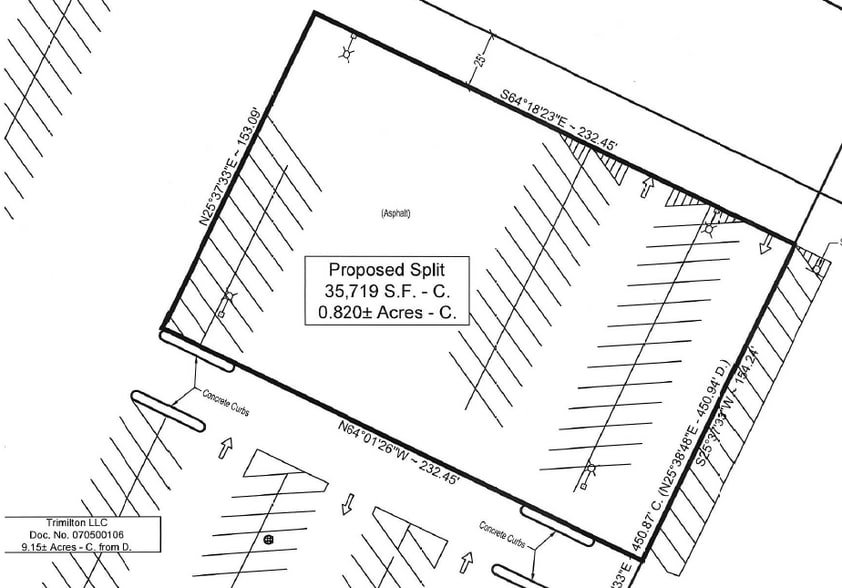
510 Fairview Blvd
Kendallville, IN 46755
Rural King · Commerce de détail Propriété À louer
·
35 719 pi²


Certaines informations ont été traduites automatiquement.
Faits saillants
- Superbe vue depuis State Road 6
- 1 758 Toits à moins d'un mille de l'emplacement
Faits sur la propriété
| Superficie totale disponible | 35 719 pi² | Superficie commerciale brute | 69 894 pi² |
| Type de propriété | Commerce de détail | Superficie totale du terrain | 9,16 AC |
| Sous-type de propriété | Boutique | Année de construction | 1990 |
| Superficie totale disponible | 35 719 pi² |
| Type de propriété | Commerce de détail |
| Sous-type de propriété | Boutique |
| Superficie commerciale brute | 69 894 pi² |
| Superficie totale du terrain | 9,16 AC |
| Année de construction | 1990 |
À propos de la propriété
3 000 $/mois Bail foncier Délot de 0,82 acre disponible sur la route State 6 à Kendallville Possibilité de vente, de construction adaptée ou de location foncier Outlot ancré par Rural King, Dollar Tree, Label Shopper, Rent-A-Center, Applebee's et Burger King
- Affichage
- Climatisation
1 de 6
Vidéos
Visite extérieure 3D Matterport
Visite 3D Matterport
Photos
Vue depuis la rue
Rue
Carte
